iFlightPlanner
»
Sign In
X
Home
Features
Join
Resources
A/FD - Airport/Facility Directory
Aviation Charts & Wx on Google Maps
Flight Instructor Directory
METAR & TAF Translator
Coded Departure Route Lookup
Preferred Route Lookup
Data Services
Aviation Chart Map Tile Service
Business & Fuel Price Data
Blog
Contact Us
21D
Local
21D
LAKE ELMO
Public
PUB
9 miles E of ST PAUL, MN, US
View on
Map
Status
Operational
Coordinates
44° 59' 50"N
92° 51' 13"W
Elevation
933' MSL
Pattern Alt
1933' MSL
Mag Variation
0°
Declination
1°E
Fuel
JET A, 100LL
FSS
PRINCETON (PNM)
Sectional
GREEN BAY
ARTCC
MINNEAPOLIS (ZMP)
Data Effective
2/19/26-3/19/26
K21D
IFR
4:35 AM CDT
RAW
Light Snow
Overcast 1,000'
Viz
2sm
Temp
28°F
Dew
27°F
Pres
29.79"Hg
Wind
050° 9kts
Gusts 14kts
RMK
AO2 LTG DSNT S
METAR K21D 150935Z AUTO 05009G14KT 2SM -SN OVC010 M02/M03 A2979 RMK AO2 LTG DSNT S
Services
Frequencies & Documents
Freqs & Docs
TAF
NOTAM
Operations
Runways
Remarks
Add Your Business
21D FBOs
Promote Listing
Lake Elmo Aero
UNICOM: 123.075
Phone: (651) 777-1399
0 Reviews
(
Read
|
Sign In To Write
)
Titan
As of
2/24
100LL
JET
A
JET
A (FSII)
MOGAS
UL94
Self Serve
5.39
Full Serve
Fuel Notes
Prices include tax
Assistance is available for self-serve 100LL.
X
Send Message to Airport Company
Enter your information and message below.
Your Information
Business
x
Weather and Advisory
AWOS-3
120.075
(651) 779-5949
Common
CTAF
123.075
ACTVT OR INCR INTST REIL RWY 14 & 32; PAPI RWY 14 & 32; MIRL RWY 14/32 - CTAF. MIRL RWY 14/32 PRESET LOW INTST.
UNICOM
123.075
Clearance
Clearance Delivery
118.625
Approach
MINNEAPOLIS APPROACH
121.2
Departure
MINNEAPOLIS DEPARTURE
121.2
FAA A/FD Pages
FAA A/FD Page
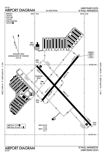
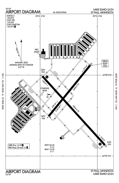
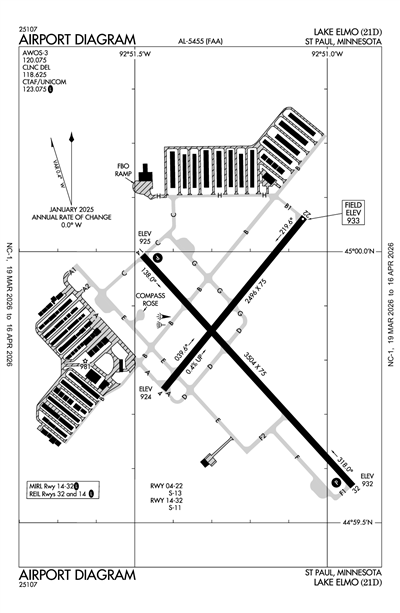
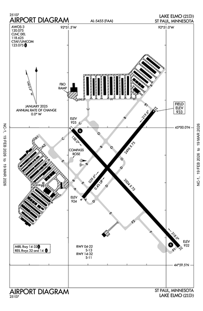
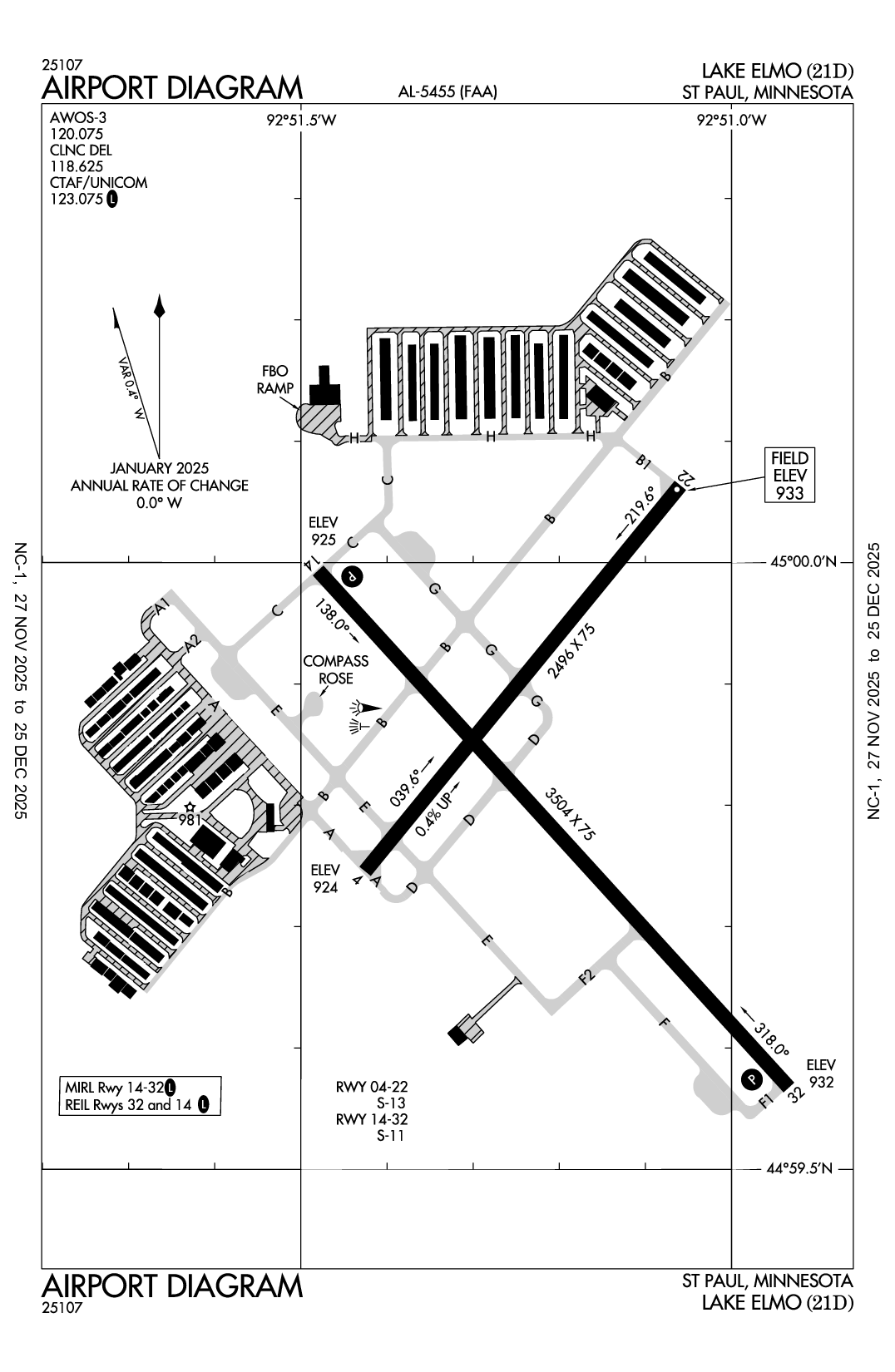
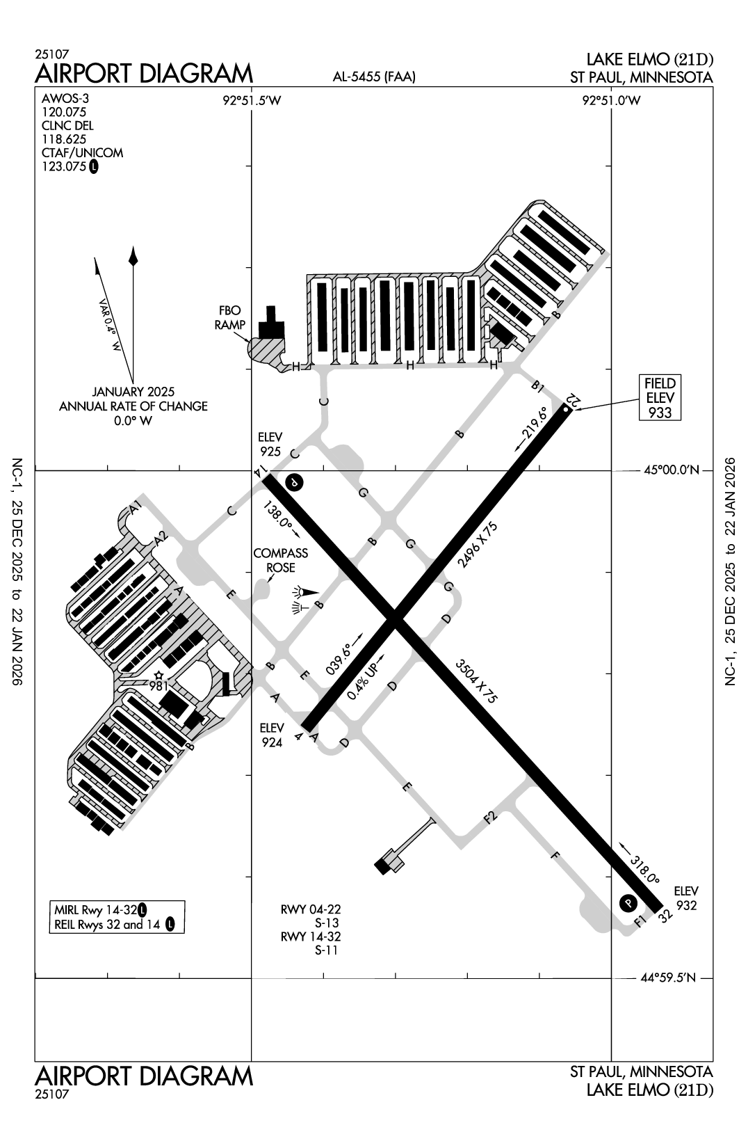
Airport Diagrams
AIRPORT DIAGRAM
Airport Minimums
ALTERNATE MINIMUMS
TAKEOFF MINIMUMS
Arrival Procedures
AGUDE SIX
Instrument Approach
RNAV (GPS) RWY 14
RNAV (GPS) RWY 32
Terminal Area Forecast
KRNH (16nm)
RAW
Reported
Sun, 3/15 12:20 AM CDT
Valid
Sun, 3/15 1:00 AM CDT - Mon, 3/16 1:00 AM CDT
LIFR
1:00 AM CDT - 9:00 AM CDT
Snow
Overcast 700'
Viz
0.5sm
Wind
070° 14kts
Gusts 23kts
LIFR
Temporary
2:00 AM CDT - 6:00 AM CDT
Heavy Snow
Obscured
Viz
0.25sm
Wind
Calm
LIFR
9:00 AM CDT - 4:00 PM CDT
Snow and Blowing Snow
Overcast 1,200'
Viz
0.5sm
Wind
030° 23kts
Gusts 35kts
IFR
4:00 PM CDT - 10:00 PM CDT
Light Snow and Blowing Snow
Overcast 1,200'
Viz
2sm
Wind
360° 23kts
Gusts 33kts
IFR
10:00 PM CDT - 1:00 AM CDT
Blowing Snow
Overcast 1,500'
Viz
2sm
Wind
350° 22kts
Gusts 34kts
TAF KRNH 150520Z 1506/1606 07014G23KT 1/2SM SN OVC007
TEMPO 1507/1511 1/4SM +SN VV006
FM151400 03023G35KT 1/2SM SN BLSN OVC012
FM152100 36023G33KT 2SM -SN BLSN OVC012
FM160300 35022G34KT 2SM BLSN OVC015
21D
Effective
Expires
Category
NOTAM
Domestic
3/15/26
0943Z
3/16/26
0943Z
!21D 03/041 21D TWY ALL FICON 4IN DRY SN OVER PATCHY COMPACTED SN OBS AT 2603150943. 2603150943-2603160943
3/15/26
0941Z
Runway
!21D 03/040 21D RWY 04 FICON 3/3/3 100 PCT 4IN DRY SN OBS AT 2603150941. 2603150941-2603160941EST
3/15/26
0939Z
3/16/26
0939Z
Runway
!21D 03/039 21D RWY 14 FICON 3/3/3 100 PCT 4IN DRY SN OBS AT 2603150939. 2603150939-2603160939
3/14/26
2229Z
3/16/26
2200Z
!21D 03/036 21D AD AP ALL SFC WIP SN REMOVAL 2603142229-2603162200
3/5/26
1153Z
5/5/26
1100Z
!21D 03/003 21D COM CLR DELIVERY 612-726-9086 NOW 612-713-4016 2603051153-2605051100
ATC Tower
No
Attendance
APR-OCT 0700-1900
NOV-MAR 0700-1700
Owner
METROPOLITAN AIRPORT CMSN
6040 28TH AVE A
MINNEAPOLIS, MN 55450
Phone: 612-726-8100
Manager
PHILIP TIEDEMAN
6040 28TH AVE S
MINNEAPOLIS, MN 55450
Phone: 763-717-0001
FSS
PRINCETON FSS (PNM)
Toll Free: 1-800-WX-BRIEF
NOTAM
21D
Light Schedule
--
Lights
ACTVT OR INCR INTST REIL RWY 14 & 32; PAPI RWY 14 & 32; MIRL RWY 14/32 - CTAF. MIRL RWY 14/32 PRESET LOW INTST.
Beacon
N/A
Wind Indicator
Yes - Lighted
Segmented Cir.
No
Landing Fee
No
Parking
Hanger, Tie-Down
Int'l Operations
NOT a Landing Rights Airport
NOT an Airport of Entry
Airframe Repair
Major
Pwrplant Repair
Major
Bottled Oxygen
None
Bulk Oxygen
None
Other Services
Pilot Instruction
Aircraft Rental
Aircraft Sales
Runway 04/22
Dimensions
2496 ft. x 75 ft.
Surface Type
ASPH
Surface Cond
Fair
Treatment
NONE
Rwy Edge Lgts
Pavement Class
Single Wheel
13,000lbs
Double Wheel
--
Double Tandem
--
Dual Dbl Tand
--
Runway 04
Runway 22
True Heading
39°
219°
Traffic Pattern
Left
Left
Markings
NPI
BSC
Markings Condition
GOOD
GOOD
Latitude
44° 59' 45"N
45° 00' 04"N
Longitude
92° 51' 25"W
92° 51' 03"W
Elevation
924'
933'
Threshold Crossing Height
--
--
Visual Glide Path Angle
--
--
Visual Slope Indicator
--
--
Approach Lights
Centerline Lights
Runway End Identifier Lights
Runway 14/32
Dimensions
3504 ft. x 75 ft.
Surface Type
ASPH
Surface Cond
Good
Treatment
NONE
Rwy Edge Lgts
MED
Pavement Class
Single Wheel
11,000lbs
Double Wheel
--
Double Tandem
--
Dual Dbl Tand
--
Runway 14
Runway 32
True Heading
138°
318°
Traffic Pattern
Left
Left
Markings
NPI
NPI
Markings Condition
GOOD
GOOD
Latitude
44° 59' 60"N
44° 59' 34"N
Longitude
92° 51' 29"W
92° 50' 56"W
Elevation
925'
932'
Threshold Crossing Height
25 ft. AGL
25 ft. AGL
Visual Glide Path Angle
3.5°
3.5°
Visual Slope Indicator
P4L
P4L
Approach Lights
Centerline Lights
Runway End Identifier Lights
Yes
Yes
A110-1
ULTRALIGHT OPS PROHIBITED.
A110-2
VOLUNTARY NOISE ABATEMENT PROCS IN EFCT. SEE ARPT WEBSITE FOR MORE INFO.
A110-3
DEER, BIRDS, & WILDLIFE ON & INVOF ARPT.
A110-4
FOR CD CTC MINNEAPOLIS APCH AT 612-726-9086.
A30A-32
CALM WND RWY.
A70-100LL
FUEL AVBL H24 SELF SVC VIA CREDIT CARD.
A81-APT
ACTVT OR INCR INTST REIL RWY 14 & 32; PAPI RWY 14 & 32; MIRL RWY 14/32 - CTAF. MIRL RWY 14/32 PRESET LOW INTST.
A83
ADNL LGTD WIND-T.
LAKE ELMO (IATA: 21D) is a public airport located in ST PAUL, MN, US.
© iFlightPlanner | Web, iPad, & iPhone Flight Planning
|
Site Map
|
Privacy Policy