iFlightPlanner

 

...
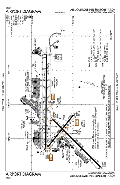
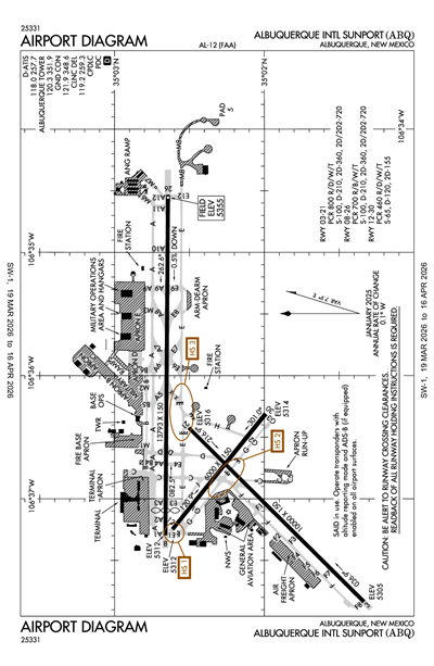
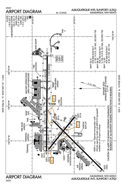
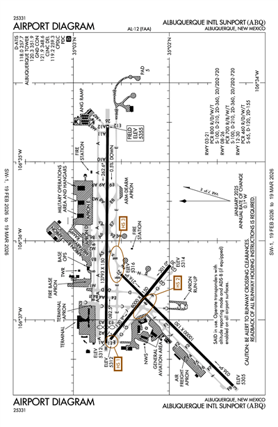
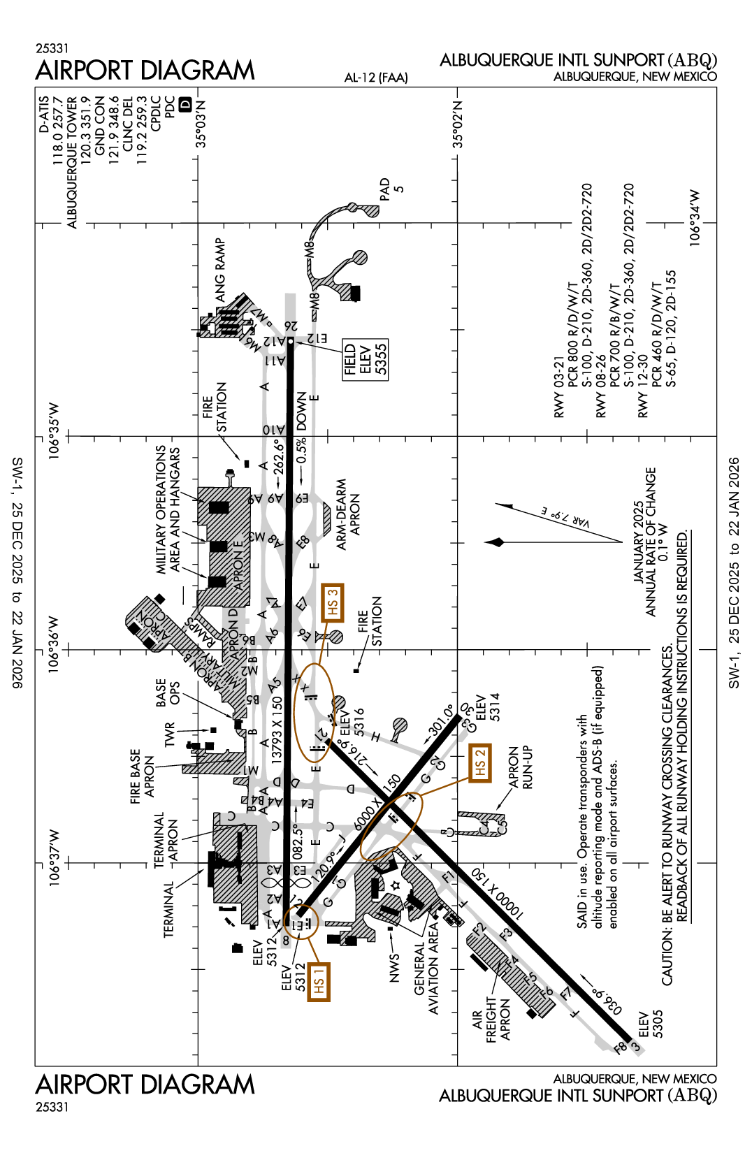
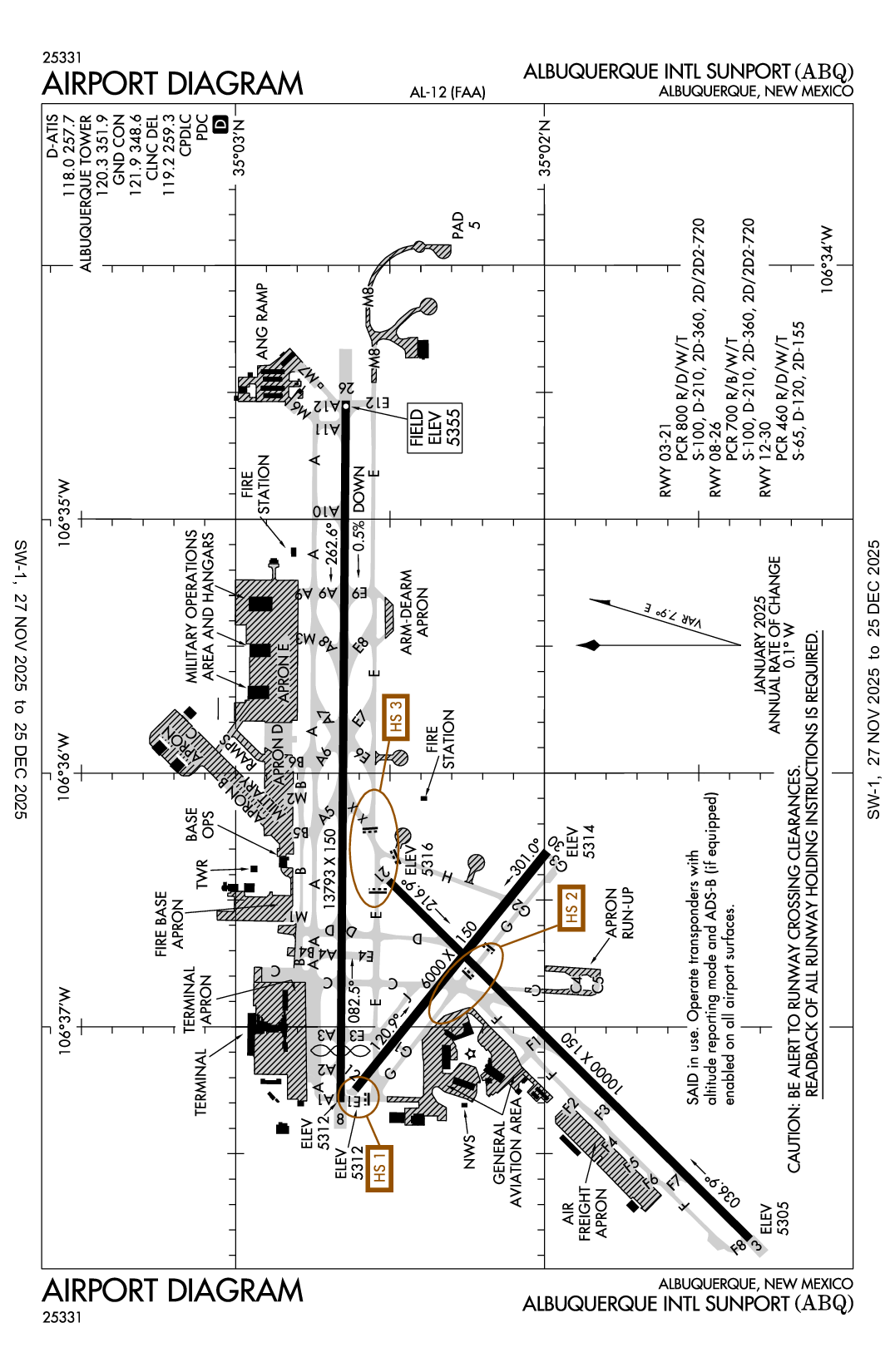
ALBUQUERQUE INTL SUNPORT - Airport Diagram
LiveATC.net: Live Air Traffic - From Their Headsets to You

KABQ
ICAO KABQIATA ABQLocal ABQ
ALBUQUERQUE INTL SUNPORT
PublicPUB

3 miles SE of ALBUQUERQUE, NM, US
LiveATC.net: Live Air Traffic - From Their Headsets to You
Status
Operational
Coordinates
35° 02' 20"N 106° 36' 30"W
Elevation
5355' MSL
Pattern Alt
6355' MSL
Mag Variation
8°E
Declination
11°E
Fuel
JET A, JET A-1, JET A-1+, 100LL
FSS
ALBUQUERQUE (ABQ)
Sectional
ALBUQUERQUE
ARTCC
ALBUQUERQUE (ZAB)
Data Effective
5/14/26-6/11/26
KABQ VFR
11:52 PM MDT  
Broken 20,000'
Broken 15,000'
10sm
70°F
28°F
30.05"Hg
090° 17kts
Gusts 23kts
AO2 SLP101 T02111022 10278 20211 51023 $
METAR KABQ 200552Z 09017G23KT 10SM BKN150 BKN200 21/M02 A3005 RMK AO2 SLP101 T02111022 10278 20211 51023 $

KABQ FBOs

Atlantic Aviation
UNICOM: 130.675
Phone: (505) 842-4990
No Rating Available
0 Reviews (Read | Sign In To Write)
Independent
As of 5/17
100LL JET A JET A (FSII) MOGAS UL94
Self Serve
Full Serve 6.89 9.81
Fuel Notes
Prices include tax
Cutter Aviation
UNICOM: 128.875
Phone: (505) 842-4184
No Rating Available
0 Reviews (Read | Sign In To Write)
Other
As of 5/19
100LL JET A JET A (FSII) MOGAS UL94
Self Serve
Full Serve 6.99 9.81
Fuel Notes
Prices include tax

KABQ Other Aviation Services

Reliable Airlines
Phone: (559) 260-4381
No Rating Available
0 Reviews (Read | Sign In To Write)
X

Send Message to Airport Company
Enter your information and message below.

Your Information
 
Processing 

Weather and Advisory

Digital ATIS 118.0
(505) 856-4928
ASOS (505) 373-2492

Common

UNICOM 122.95

Clearance

Clearance Delivery 119.2

Ground

ALBUQUERQUE GROUND 121.9

Tower

ALBUQUERQUE TOWER 120.3
ALBUQUERQUE TOWER 123.775
Secondary

Arrival

CURLY STAR 127.4
LAVAN STAR 123.9
MIERA STAR 123.9

Approach

ALBUQUERQUE APPROACH 123.9
Initial Contact - SOUTH OF V12
ALBUQUERQUE APPROACH 127.4
ON OR NORTH OF V12
ALBUQUERQUE APPROACH 126.3
Secondary

Departure

ALBUQUERQUE DEPARTURE 123.9
Initial Contact - SOUTH OF V12
ALBUQUERQUE DEPARTURE 127.4
ON OR NORTH OF V12

Flight Service

Flight Service 122.3

Emergency

Emergency 121.5

Other

CLASS C 123.9
SOUTH OF V12
CLASS C 127.4
ON OR NORTH OF V12

Terminal Area Forecast

KABQ
Tue, 5/19 11:28 PM MDT
Wed, 5/20 12:00 AM MDT - Thu, 5/21 12:00 AM MDT
VFR
Temporary 12:00 AM MDT - 4:00 AM MDT
No Clouds
N/A
090° 25kts
Gusts 35kts
VFR
12:00 AM MDT - 10:00 AM MDT
Broken 20,000'
Scattered 10,000'
6sm
090° 15kts
Gusts 25kts
VFR
10:00 AM MDT - 12:00 PM MDT
Broken 20,000'
Scattered 10,000'
6sm
120° 11kts
VFR
12:00 PM MDT - 9:00 PM MDT
Broken 20,000'
Scattered 10,000'
6sm
170° 15kts
Gusts 25kts
VFR
9:00 PM MDT - 12:00 AM MDT
Broken 20,000'
Scattered 10,000'
6sm
100° 20kts
Gusts 30kts
TAF KABQ 200528Z 2006/2106 09015G25KT P6SM SCT100 BKN200
   TEMPO 2006/2010 09025G35KT
   FM201600 12011KT P6SM SCT100 BKN200
   FM201800 17015G25KT P6SM SCT100 BKN200
   FM210300 10020G30KT P6SM SCT100 BKN200
KABQ
EffectiveExpiresCategoryNOTAM
Domestic
5/22/26
1400Z
5/22/26
2359Z
!ABQ 05/231 ABQ AIRSPACE UAS WI AN AREA DEFINED AS 1NM RADIUS OF 351742N1063002W (16.2NM N ABQ) SFC-399FT AGL 2605221400-2605222359
5/21/26
0100Z
5/21/26
0800Z
!ABQ 05/234 ABQ AIRSPACE MIL AIRDROP WI AN AREA DEFINED AS 5NM RADIUS OF 345721N1063046W (7.4NM SE ABQ) SFC-6500FT AGL. 2605210100-2605210800
5/20/26
1500Z
5/20/26
2100Z
!ABQ 05/233 ABQ AIRSPACE MIL AIRDROP WI AN AREA DEFINED AS 5NM RADIUS OF 345721N1063046W (7.4NM SE ABQ) SFC-6500FT AGL. 2605201500-2605202100
5/20/26
0100Z
5/20/26
0800Z
!ABQ 05/227 ABQ AIRSPACE MIL OPS AIRDROP WI AN AREA DEFINED AS 5NM RADIUS OF 345721N1063046W (7.4NM SE ABQ) SFC-6500FT AGL. 2605200100-2605200800
5/18/26
1917Z
5/29/26
2300Z
!ABQ 05/219 ABQ TWY E4 CLSD 2605181917-2605292300
5/18/26
1914Z
5/29/26
2300Z
!ABQ 05/218 ABQ TWY D BTN RWY 03/21 AND RWY 08/26 CLSD 2605181914-2605292300
5/18/26
1400Z
5/29/26
2300Z
!ABQ 05/170 ABQ TWY E BTN TWY C AND TWY E6 CLSD 2605181400-2605292300
5/18/26
1200Z
5/21/26
2000Z
!ABQ 05/191 ABQ AIRSPACE UAS WI AN AREA DEFINED AS 0.4NM RADIUS OF 345751N1063035W (6.6NM ESE ABQ) SFC-700FT AGL MON-THU 1200-2000 2605181200-2605212000
5/15/26
1615Z
6/7/26
2300Z
Runway!ABQ 05/197 ABQ RWY 30 RWY END ID LGT U/S 2605151615-2606072300
5/15/26
1613Z
6/7/26
2359Z
Runway!ABQ 05/196 ABQ RWY 30 PAPI U/S 2605151613-2606072359
5/15/26
1610Z
6/7/26
2359Z
Runway!ABQ 05/195 ABQ RWY 03 PAPI U/S 2605151610-2606072359
5/15/26
1608Z
6/7/26
2359Z
Runway!ABQ 05/194 ABQ RWY 03 ALS U/S 2605151608-2606072359
5/15/26
1607Z
6/7/26
2359Z
Runway!ABQ 05/193 ABQ RWY 21 PAPI U/S 2605151607-2606072359
4/28/26
1528Z
6/1/26
2300Z
!ABQ 04/332 ABQ NAV ILS RWY 03 U/S 2604281528-2606012300
4/21/26
2043Z
6/19/26
0559Z
Runway!ABQ 04/286 ABQ RWY 08/26 RCLL NOT STD 2604212043-2606190559
4/21/26
2041Z
5/28/26
2300Z
!ABQ 04/285 ABQ TWY D BTN RWY 03/21 AND TWY E CLSD 2604212041-2605282300
4/21/26
2040Z
5/28/26
2300Z
!ABQ 04/284 ABQ TWY E HLDG PSN SIGN EAST SIDE FOR APCH END RWY 21 LGT U/S 2604212040-2605282300
4/21/26
2040Z
5/28/26
2300Z
!ABQ 04/283 ABQ TWY F8, F7, TWY F BTN TWY F8 AND TWY F6 CLSD 2604212040-2605282300
4/21/26
2040Z
5/28/26
2300Z
Runway!ABQ 04/282 ABQ RWY 12 HLDG PSN SIGN AT RWY 03/21 LGT U/S 2604212040-2605282300
4/21/26
2039Z
5/28/26
2300Z
Runway!ABQ 04/281 ABQ RWY 30 HLDG PSN SIGN AT RWY 03/21 LGT U/S 2604212039-2605282300
4/21/26
2039Z
5/28/26
2300Z
!ABQ 04/280 ABQ TWY G HLDG PSN SIGN FOR RWY 03/21 LGT U/S 2604212039-2605282300
4/21/26
2038Z
5/28/26
2300Z
!ABQ 04/279 ABQ TWY G LOCATION SIGN BTN TWY C AND TWY G2 LGT U/S 2604212038-2605282300
4/21/26
2037Z
5/28/26
2300Z
!ABQ 04/277 ABQ TWY E LOCATION SIGN BTN TWY D AND TWY E6 LGT U/S 2604212037-2605282300
4/21/26
2037Z
5/28/26
2300Z
!ABQ 04/276 ABQ TWY G LOCATION SIGN BTN TWY C AND TWY G2 LGT U/S 2604212037-2605282300
4/21/26
2037Z
5/28/26
2300Z
!ABQ 04/275 ABQ TWY E HLDG PSN SIGN WEST SIDE FOR APCH END RWY 21 LGT U/S 2604212037-2605282300
4/8/26
1838Z
Runway!ABQ 04/087 ABQ RWY 08/26 CL MARKINGS OBSC 2604081838-2606192300EST
3/18/26
1303Z
5/28/26
2300Z
Runway!ABQ 03/190 ABQ RWY 03/21 CLSD 2603181303-2605282300
3/16/26
1425Z
5/28/26
2300Z
!ABQ 03/167 ABQ TWY G BTN TWY C AND TWY G2 CLSD 2603161425-2605282300
3/16/26
1400Z
5/28/26
2300Z
Runway!ABQ 03/155 ABQ RWY 12/30 CLSD 2603161400-2605282300
3/9/26
1300Z
7/10/26
2200Z
!ABQ 03/077 ABQ OBST CRANE (ASN 2024-ASW-8675-OE) 350229N1063228W (3.3NM E ABQ) 5606FT (180FT AGL) FLAGGED AND LGTD MON-FRI 1300-2200 2603091300-2607102200
2/18/26
1618Z
!ABQ 02/196 ABQ NAV VOT U/S 2602181618-2606302111EST
2/10/26
1450Z
Runway!ABQ 02/104 ABQ RWY 03 DECLARED DIST: TORA 10000FT TODA 10000FT ASDA 9754FT LDA 9754FT. 2602101450-PERM
1/7/26
1300Z
1/1/27
0300Z
!ABQ 01/037 ABQ AIRSPACE UAS WI AN AREA DEFINED AS 0.3NM RADIUS OF
350259N1063211W (3.6NM ENE ABQ) SFC-150FT AGL WED THU FRI MON TUE
1300-0300 2601071300-2701010300
1/7/26
1300Z
1/1/27
0300Z
!ABQ 01/036 ABQ AIRSPACE UAS WI AN AREA DEFINED AS 1.7NM RADIUS OF
345825N1062927W (7.0NM ESE ABQ) SFC-700FT AGL WED THU FRI MON TUE
1300-0300 2601071300-2701010300
8/20/25
0012Z
!ABQ 08/213 ABQ OBST TOWER LGT (ASR 1259646) 345726.60N1062934.60W (7.5NM SE ABQ) 5996.1FT (295.9FT AGL) U/S 2508200012-PERM
FDC
4/8/26
1343Z
!FDC 6/9587 ABQ ODP ALBUQUERQUE INTL SUNPORT, ALBUQUERQUE, NM.
DIVERSE VECTOR AREA (DVA), ORIG ...
RWY 3: HEADING AS ASSIGNED BY ATC; REQUIRES MINIMUM CLIMB OF 245 FT/NM TO 5600.
ALL OTHER DATA REMAINS AS PUBLISHED 2604081343-2804081343EST
4/6/26
1854Z
!FDC 6/8662 ABQ SID ALBUQUERQUE INTL SUNPORT, ALBUQUERQUE, NM.
LARGO THREE DEPARTURE...
TAKEOFF MINIMUMS: RWY 3: 300-1 OR STANDARD WITH MINIMUM CLIMB OF 245 FT/NM TO 5600.
ALL OTHER DATA REMAINS AS PUBLISHED. 2604061854-2804061854EST
4/6/26
1854Z
!FDC 6/8661 ABQ SID ALBUQUERQUE INTL SUNPORT, ALBUQUERQUE, NM.
GRZZZ FOUR DEPARTURE (RNAV)...
TAKEOFF MINIMUMS: RWY 3: 300-1 OR STANDARD WITH MINIMUM CLIMB OF 245 FT/NM TO 5600.
ALL OTHER DATA REMAINS AS PUBLISHED. 2604061854-2804061854EST
4/6/26
1854Z
!FDC 6/8660 ABQ SID ALBUQUERQUE INTL SUNPORT, ALBUQUERQUE, NM.
ALBUQUERQUE THREE DEPARTURE...
TAKEOFF MINIMUMS: RWY 3: 300-1 OR STANDARD WITH MINIMUM CLIMB OF 245 FT/NM TO 5600.
ALL OTHER DATA REMAINS AS PUBLISHED. 2604061854-2804061854EST
4/6/26
1854Z
!FDC 6/8659 ABQ ODP ALBUQUERQUE INTL SUNPORT, ALBUQUERQUE, NM.
TAKEOFF MINIMUMS AND (OBSTACLE) DEPARTURE PROCEDURES AMDT 7...
TAKEOFF MINIMUMS: RWY 3: 300-1 OR STANDARD WITH MINIMUM CLIMB OF 245 FT/NM TO 5600.
ALL OTHER DATA REMAINS AS PUBLISHED. 2604061854-2804061854EST
3/4/26
1338Z
!FDC 6/3376 ABQ IAP ALBUQUERQUE INTL SUNPORT, ALBUQUERQUE, NM.
RNAV (GPS) Y RWY 3, AMDT 1...
RNAV (RNP) Y RWY 21, ORIG-B...
RNAV (RNP) Z RWY 21, AMDT 1A...
RNAV (RNP) Z RWY 3, AMDT 1A...
PROCEDURE NA.
2603041338-2803041338EST
12/20/25
0121Z
!FDC 5/2159 ABQ ODP ALBUQUERQUE INTL SUNPORT, ALBUQUERQUE, NM.
TAKEOFF MINIMUMS AND (OBSTACLE) DEPARTURE PROCEDURES AMDT 7...
TAKEOFF OBSTACLE NOTES: RWY 03, TEMPORARY CONSTRUCTION EQUIPMENT, BEGINNING 378 FT FROM DER, BEGINNING 207 FT RIGHT OF CENTERLINE, 35 AGL/UP TO 5350 MSL (2021-ASW-7386 AND 7390-NRA). ALL OTHER DATA REMAINS AS PUBLISHED. 2512200121-2608012355EST
10/30/25
1344Z
!FDC 5/8850 ABQ IAP ALBUQUERQUE INTL SUNPORT, ALBUQUERQUE, NM.
ILS OR LOC RWY 8, AMDT 6B...
S-ILS 8 DA 5570/HAT 250 ALL CATS.
TEMPORARY MISCELLANEOUS EQUIPMENT, 5367 MSL, 545FT NW OF RWY 08 (2023-ASW-2058-NRA), TEMPORARY CRANE, 5452 MSL, 1419FT NORTH OF RWY 08 (2022-ASW-7887-NRA).
2510301344-2606112355EST
10/30/25
1338Z
!FDC 5/8826 ABQ IAP U.S. DOD ALBUQUERQUE INTL SUNPORT, ALBUQUERQUE, NM.
HI - ILS OR LOC RWY 8, AMDT 2A...
S-ILS 8* CAT C/D/E DA 5580/HAT 260 ALL CATS.
TEMPORARY MISCELLANEOUS EQUIPMENT, 5367 MSL, 545FT NW OF RWY 08 (2023-ASW-2058-NRA), TEMPORARY CRANE, 5452 MSL, 1419FT NORTH OF RWY 08 (2022-ASW-7887-NRA).
2510301338-2606112355EST
8/8/25
1416Z
!FDC 5/3808 ABQ IAP U.S. DOD ALBUQUERQUE INTL SUNPORT, ALBUQUERQUE, NM.
HI - ILS OR LOC RWY 8, AMDT 2A...
S-ILS 8* DA 5570/HAT 250 ALL CATS.
2508081416-2708081416EST
8/8/25
1410Z
!FDC 5/3803 ABQ IAP ALBUQUERQUE INTL SUNPORT, ALBUQUERQUE, NM.
ILS OR LOC RWY 8, AMDT 6B...
S-ILS 8 DA 5570/HAT 250 ALL CATS.
2508081410-2708081410EST
3/13/25
1300Z
6/7/26
1218Z
!FDC 5/2684 ABQ SID ALBUQUERQUE INTL SUNPORT, ALBUQUERQUE, NM.
BOSQE THREE DEPARTURE (RNAV)...
SOCORRO TRANSITION: GPS REQUIRED,
CNX VORTAC OUT OF SERVICE. 2503131300-2606071218EST
3/11/25
1304Z
!FDC 5/1470 ABQ IAP ALBUQUERQUE INTL SUNPORT, ALBUQUERQUE, NM.
VOR RWY 8, AMDT 21...
PROCEDURE NA EXCEPT FOR ACFT EQUIPPED WITH SUITABLE RNAV SYSTEM WITH GPS.
ABQ DME RESTRICTED.
2503111304-2703111304EST
3/11/25
1303Z
!FDC 5/1468 ABQ IAP U.S. DOD ALBUQUERQUE INTL SUNPORT, ALBUQUERQUE, NM.
HI - ILS OR LOC RWY 8, AMDT 2A...
HI - TACAN RWY 8, AMDT 2A...
PROCEDURE NA EXCEPT FOR ACFT EQUIPPED WITH SUITABLE RNAV SYSTEM WITH GPS.
ABQ DME RESTRICTED.
2503111303-2703111303EST
Military
5/19/26
1648Z
5/22/26
1648Z
M0124/26 NOTAMC M0122/26
5/18/26
2243Z
5/21/26
2243Z
M0121/26 NOTAMC M0120/26
5/4/26
1404Z
7/6/26
2359Z
B RAMP PARKING SPOT B1 CLOSED.
4/30/26
1712Z
5/29/26
1400Z
ALL AIRCRAFT RESCUE AND FIRE FIGHTING (ARFF) CAPABILITIES REDUCED. ARFF CAT IS: CAT 1-8 RLS, CAT 9-10 CLS. 15 PERSONNEL AND 9,300 LBS AVAILABLE. CONTACT AM OPS DSN 246-8335 FOR MORE INFORMATION
4/27/26
1519Z
6/27/26
2359Z
D RAMP GROUND EQUIPMENT LOCATED ON PARKING SPOT D12.
4/23/26
1815Z
6/30/26
2359Z
AIRFIELD MANAGEMENT HOURS OF OPERATING ARE 1400Z-2300Z++, MON-FRI, CLOSED SAT-SUN, FEDERAL HOLIDAYS, AND AFGSC DOWN DAYS.
Yes
ALL
CITY OF ALBUQUERQUE
PO BOX 1293
ALBUQUERQUE, NM 87103
Phone: 505-768-3000
MANNY MANRIQUEZ
PO BOX 9948
ALBUQUERQUE, NM 87119
Phone: 505-244-7700
ALBUQUERQUE FSS (ABQ)
Toll Free: 1-800-WX-BRIEF
ABQ
Sunset to Sunrise
--
N/A
Yes - Lighted
No
No
Hanger, Tie-Down
Landing Rights Airport
NOT an Airport of Entry
Major
Major
High & Low Pressure
High & Low Pressure
Air Ambulance
Avionics
Cargo Handling
Charter Service
Pilot Instruction
Aircraft Rental
Aircraft Sales
Annual Surveying

Runway 03/21

10000 ft. x 150 ft.
CONC  
Good 
GRVD 
HIGH 
 
100,000lbs 
210,000lbs 
360,000lbs 
720,000lbs 
  Runway 03 Runway 21
True Heading 45°225°
Traffic Pattern Right Left
Markings PIR PIR
Markings Condition GOOD GOOD
Latitude 35° 01' 20"N 35° 02' 30"N
Longitude 106° 37' 50"W 106° 36' 25"W
Elevation 5,305' 5,316'
Threshold Crossing Height 59 ft. AGL 74 ft. AGL
Visual Glide Path Angle
Visual Slope Indicator P4L P4L
Approach Lights MALSR
Centerline Lights Yes Yes
Runway End Identifier Lights No Yes

Runway 08/26

13793 ft. x 150 ft.
CONC  
Good 
GRVD 
HIGH 
 
100,000lbs 
210,000lbs 
360,000lbs 
720,000lbs 
  Runway 08 Runway 26
True Heading 90°270°
Traffic Pattern Right Left
Markings PIR PIR
Markings Condition GOOD GOOD
Latitude 35° 02' 40"N 35° 02' 39"N
Longitude 106° 37' 18"W 106° 34' 32"W
Elevation 5,312' 5,355'
Threshold Crossing Height 55 ft. AGL 83 ft. AGL
Visual Glide Path Angle 2.95°
Visual Slope Indicator V6L P4L
Approach Lights MALSR
Centerline Lights Yes Yes
Runway End Identifier Lights Yes

Runway 12/30

6000 ft. x 150 ft.
CONC  
Good 
GRVD 
MED 
 
65,000lbs 
120,000lbs 
155,000lbs 
-- 
  Runway 12 Runway 30
True Heading 129°309°
Traffic Pattern Right Left
Markings BSC BSC
Markings Condition GOOD GOOD
Latitude 35° 02' 37"N 35° 01' 60"N
Longitude 106° 37' 15"W 106° 36' 19"W
Elevation 5,312' 5,314'
Threshold Crossing Height -- 46 ft. AGL
Visual Glide Path Angle --
Visual Slope Indicator -- P4L
Approach Lights
Centerline Lights
Runway End Identifier Lights Yes
A110-17ACR GND HANDLING NA 0100-0430.
A110-2BIRD HAZ OCT-DEC & MAR-MAY; STUDENT HEL TFC.
A110-21TWY H MIL USE ONLY.
A110-22FIGHTER ACFT DEP S ONLY.
A110-24TWY E5 CLSD.
A110-25SVC: MIL FUEL A++; A++ 100.
A110-26MIL WX SVC AVBL 1300-0600Z++ MON-FRI; CLSD WKEND, HOL & DOWN DAYS. AFT HR MSN WX SUPPORT BRIEFINGS - 25 OWS/DAVIS-MONTHAN AFB D228-6604/C520-228-6604. NWS KABQ FCST - D246-9707/C505-846-9707. FAA OBS H24 - C505-246-4200.
A110-27MISC: FOR TMPRY DUTY OF 2 OR MORE DAYS, OR MSN REQ SPECIAL HANDLING, CTC 377ABW/IG AT DSN 253-4376/1304 OR C505-853-4376/1304 NLT 14 DAYS PRIOR TO ANTICIPATED ARR DATE.
A110-28AF - MIL WX SVC AVBL 1300-0600Z++ MON-FRI.
A110-29AF - KIRTLAND AFB AFLD MGMNT OPR 1400-0300Z++ MON-FRI.
A110-6CTL FIRING AREA S.
A110-8ARFF PRVDD BY USAF.
A14RICHARD MCCURLEY
A30A-03DEP RSTRD; PPR - ATCT.
A30A-08RWY 08 & 12 APCH END DECOUPLED; COMMON HOLD SHORT LINE SHARED.
A30A-12TKOF VIA TXY E; FULL LEN AVBL VIA BACK TAX. RWY 08 & 12 APCH ENDS DECOUPLED; COMMON HOLD SHORT LINE SHARED.
A30A-30LNDG: LAST AVBL EXIT TXY E; EXIT E1 NOT PSBL.
A39-03/21PCR VALUE: 800/R/D/W/T
A39-08/26PCR VALUE: 700/R/B/W/T
A39-12/30PCR VALUE: 460/R/D/W/T
A43-26PAPI DOES NOT PRVD OBST CLNC BYD 3.5 NM FM THR; UNUSBL BYD 3.5 NM.
A57-08APCH RATIO 50:1 TO DTHR.
ALBUQUERQUE INTL SUNPORT (ICAO: KABQ, IATA: ABQ) is a public airport located in ALBUQUERQUE, NM, US.