iFlightPlanner

 

...
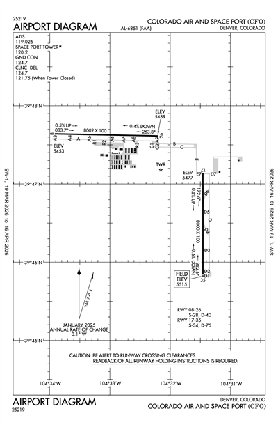
COLORADO AIR AND SPACE PORT - Airport Diagram
LiveATC.net: Live Air Traffic - From Their Headsets to You

KCFO
ICAO KCFOLocal CFO
COLORADO AIR AND SPACE PORT
PublicPUB

19 miles E of DENVER, CO, US
LiveATC.net: Live Air Traffic - From Their Headsets to You
Status
Operational
Coordinates
39° 47' 03"N 104° 32' 15"W
Elevation
5515' MSL
Pattern Alt
6503' MSL
Mag Variation
8°E
Declination
8°E
Fuel
JET A, 100LL
FSS
DENVER (DEN)
Sectional
DENVER
ARTCC
DENVER (ZDV)
Data Effective
5/14/26-6/11/26
KCFO VFR
5:47 PM MDT  
Clear
10sm
86°F
18°F
29.85"Hg
350° 3kts
METAR KCFO 142347Z 35003KT 10SM CLR 30/M08 A2985

KCFO FBOs

Colorado Air & Space Port
UNICOM: 122.95
Phone: (303) 261-9100
No Rating Available
0 Reviews (Read | Sign In To Write)
World Fuel
As of 5/5
100LL JET A JET A (FSII) MOGAS UL94
Self Serve 6.82
Full Serve 7.52 7.35
Fuel Notes
Prices include tax
X

Send Message to Airport Company
Enter your information and message below.

Your Information
 
Processing 

Weather and Advisory

ATIS 119.025
AWOS-3 119.025
(303) 261-9104

Common

CTAF 120.2
ACTVT MALSR RWY 26 & 35; REIL RWY 08 & 17; PAPI RWY 08 & 26, 17 & 35; HIRL RWY 08/26; MIRL RWY 17/35 - CTAF.
UNICOM 122.95

Clearance

Clearance Delivery 121.75
2100-0700 LCL
Clearance Delivery 124.7

Ground

SPACE PORT GROUND 124.7
0700-2100

Tower

SPACE PORT TOWER 120.2
0700-2100

Arrival

DANDD STAR 120.35
POWDR STAR 120.35
QUAIL STAR 120.35
RAMMS STAR 120.35
TOMSN STAR 119.3
ZOMBZ RNAV STAR 128.45

Approach

DENVER APPROACH 128.25

Departure

DENVER DEPARTURE 128.25

Terminal Area Forecast

KDEN (7nm)
Thu, 5/14 7:15 PM MDT
Thu, 5/14 7:00 PM MDT - Sat, 5/16 12:00 AM MDT
VFR
7:00 PM MDT - 10:00 PM MDT
Showers in vicinity
Broken 22,000'
Broken 16,000'
Broken 13,000'
6sm
050° 12kts
VFR
10:00 PM MDT - 12:00 AM MDT
Broken 22,000'
Scattered 13,000'
6sm
090° 9kts
VFR
12:00 AM MDT - 3:00 AM MDT
Few 20,000'
Few 12,000'
6sm
120° 8kts
VFR
3:00 AM MDT - 7:00 AM MDT
Sky Clear
6sm
190° 9kts
VFR
7:00 AM MDT - 9:00 AM MDT
Sky Clear
6sm
150° 8kts
VFR
9:00 AM MDT - 4:00 PM MDT
Few 22,000'
6sm
090° 9kts
VFR
4:00 PM MDT - 6:00 PM MDT
Few 22,000'
Few 12,000'
6sm
130° 10kts
VFR
6:00 PM MDT - 12:00 AM MDT
Few 22,000'
Few 12,000'
6sm
160° 12kts
TAF KDEN 150115Z 1501/1606 05012KT P6SM VCSH BKN130 BKN160 BKN220
   FM150400 09009KT P6SM SCT130 BKN220
   FM150600 12008KT P6SM FEW120 FEW200
   FM150900 19009KT P6SM SKC
   FM151300 15008KT P6SM SKC
   FM151500 09009KT P6SM FEW220
   FM152200 13010KT P6SM FEW120 FEW220
   FM160000 16012KT P6SM FEW120 FEW220
KCFO
EffectiveExpiresCategoryNOTAM
Domestic
5/18/26
0100Z
5/20/26
0300Z
!CFO 05/017 CFO SVC TWR CLSD MNT CTAF 120.2 CTC DENVER APP FOR CLR DELIVERY ON 121.75 DLY 0100-0300 2605180100-2605200300
5/16/26
0100Z
5/16/26
0300Z
!CFO 05/016 CFO SVC TWR CLSD MNT CTAF 120.2 CTC DENVER APP FOR CLR DELIVERY ON 121.75 2605160100-2605160300
5/15/26
0030Z
5/15/26
0300Z
!CFO 05/020 CFO SVC TWR CLSD MNT CTAF 120.2 2605150030-2605150300
5/14/26
1158Z
5/14/26
1300Z
!CFO 05/019 CFO TWY B, C, E WIP GRASS CUTTING 2605141158-2605141300
2/4/26
1200Z
6/20/26
2330Z
!CFO 02/001 CFO OBST RIG (ASN 2025-ANM-3226-OE) 394426N1043202W (2.6NM S CFO) 5753FT (180FT AGL) FLAGGED AND LGTD 2602041200-2606202330
FDC
5/14/26
1545Z
5/21/26
1503Z
!FDC 6/0035 CFO SID COLORADO AIR AND SPACE PORT, DENVER, CO.
YELLOWSTONE FIVE DEPARTURE...
MEDICINE BOW TRANSITION NA EXCEPT FOR ACFT EQUIPPED WITH SUITABLE RNAV SYSTEM WITH GPS.
NATTI TRANSITION DME REQUIRED EXCEPT FOR ACFT EQUIPPED WITH SUITABLE RNAV SYSTEM WITH GPS,
MBW VOR/DME OUT OF SERVICE. 2605141545-2605211503EST
5/8/26
1335Z
!FDC 6/8997 CFO SID COLORADO AIR AND SPACE PORT, DENVER, CO.
ROCKIES SEVEN DEPARTURE...
DOVE CREEK TRANSITION,MONTROSE TRANSITION NA EXCEPT FOR ACFT EQUIPPED WITH SUITABLE RNAV SYSTEM WITH GPS,
MTJ VOR OUT OF SERVICE. 2605081335-2607011335EST
4/24/26
2356Z
5/22/26
2356Z
!FDC 6/5680 CFO IAP COLORADO AIR AND SPACE PORT, DENVER, CO.
ILS OR LOC RWY 17, AMDT 1C...
ILS OR LOC RWY 26, AMDT 6B...
ILS OR LOC RWY 35, AMDT 2B...
ALTERNATE MINIMUMS NA EXCEPT FOR ACFT EQUIPPED WITH SUITABLE RNAV SYSTEM WITH GPS,
FQF VORTAC UNMONITORED. 2604242356-2605222356EST
4/23/26
0248Z
5/23/26
0248Z
!FDC 6/5331 CFO SID COLORADO AIR AND SPACE PORT, DENVER, CO.
ROCKIES SEVEN DEPARTURE...
RED TABLE TRANSITION NA EXCEPT FOR ACFT EQUIPPED WITH SUITABLE RNAV SYSTEM WITH GPS.
DBL VOR OUT OF SERVICE. 2604230248-2605230248EST
4/21/26
2102Z
5/21/26
2102Z
!FDC 6/4930 CFO IAP COLORADO AIR AND SPACE PORT, DENVER, CO.
ILS OR LOC RWY 35, AMDT 2B...
ALTERNATE MINIMUMS NA EXCEPT FOR ACFT EQUIPPED WITH SUITABLE RNAV SYSTEM WITH GPS,
GLL VOR/DME UNMONITORED. 2604212102-2605212102EST
3/27/26
1510Z
!FDC 6/4842 CFO SID COLORADO AIR AND SPACE PORT, DENVER, CO.
PLAINS TWO DEPARTURE...
GARDEN CITY TRANSITION NA EXCEPT FOR ACFT EQUIPPED WITH SUITABLE RNAV SYSTEM WITH GPS,
GCK VORTAC OUT OF SERVICE. 2603271510-2606241510EST
1/12/26
1345Z
!FDC 6/2285 CFO ODP COLORADO AIR AND SPACE PORT, DENVER, CO.
TAKEOFF MINIMUMS AND (OBSTACLE) DEPARTURE PROCEDURES AMDT 3B...
TAKE-OFF MINIMUMS: RWY 17, 300-1 1/4 OR STANDARD WITH MINIMUM CLIMB OF 325 FT PER NM TO 5900. TEMPORARY CRANE 5747FT FROM DER, 1459FT LEFT OF CENTERLINE, 115FT AGL/5697FT MSL (2024-ANM-5099-OE).
2601121345-2608241345EST
1/12/26
1345Z
!FDC 6/2283 CFO IAP COLORADO AIR AND SPACE PORT, DENVER, CO.
RNAV (GPS) RWY 35, AMDT 2A...
LNAV/VNAV DA 6049/HAT 534 ALL CATS. VISIBILITY ALL CATS 1. CIRCLING MDA 6060/HAA 545 CAT A/B. TEMPORARY CRANE 5697FT MSL 1.02NM SOUTH OF RWY 35 (2024-ANM-5099-OE).
2601121345-2608241345EST
1/12/26
1344Z
!FDC 6/2281 CFO IAP COLORADO AIR AND SPACE PORT, DENVER, CO.
ILS OR LOC RWY 17, AMDT 1C...
ILS OR LOC RWY 26, AMDT 6B...
ILS OR LOC RWY 35, AMDT 2B...
RNAV (GPS) RWY 17, AMDT 1D...
RNAV (GPS) RWY 26, AMDT 2A...
CIRCLING MDA 6060/HAA 545 CAT A/B. TEMPORARY CRANE 5697FT MSL 2.38NM SOUTH OF CFO AIRPORT (2024-ANM-5099-OE).
2601121344-2608241344EST
1/5/26
1434Z
8/17/26
1434Z
!FDC 6/0374 CFO SID COLORADO AIR AND SPACE PORT, DENVER, CO.
PIKES THREE DEPARTURE...
ALAMOSA TRANSITION, BINKE TRANSITION NA EXCEPT FOR ACFT EQUIPPED WITH SUITABLE RNAV SYSTEM WITH GPS,
ALS VORTAC OUT OF SERVICE. 2601051434-2608171434EST
9/26/25
1700Z
9/26/27
2359Z
!FDC 5/0968 CFO STAR COLORADO AIR AND SPACE PORT AIRPORT, DENVER,
CO.
DANDD ONE ARRIVAL: INCREASE ALL MOCA VALUES TO 8300. ALL OTHER DATA
REMAINS AS PUBLISHED 2509261700-2709262359
9/16/25
1846Z
!FDC 5/5228 CFO IAP COLORADO AIR AND SPACE PORT, DENVER, CO.
RNAV (GPS) RWY 17, AMDT 1D...
MISSED APPROACH: CLIMB TO 8500 DIRECT VIBPU AND ON TRACK 160 TO HUNTN AND HOLD, CONTINUE CLIMB-IN-HOLD TO 8500.
2509161846-2709161846EST
Yes
0700-2100
AFT HR SVC - AMGR.
ADAMS COUNTY
4430 SOUTH ADAMS COUNTY PKWY
BRIGHTON, CO 80601
Phone: (303) 659-2120
JEFF KLOSKA
5200 FRONT RANGE PKWY
WATKINS, CO 80137
Phone: 303-261-9100
DENVER FSS (DEN)
Toll Free: 1-800-WX-BRIEF
CFO
--
ACTVT MALSR RWY 26 & 35; REIL RWY 08 & 17; PAPI RWY 08 & 26, 17 & 35; HIRL RWY 08/26; MIRL RWY 17/35 - CTAF.
N/A
Yes - Lighted
Yes
No
Hanger, Tie-Down
No
Major
Major
None
High & Low Pressure
Crop Dusting
Avionics
Charter Service
Pilot Instruction
Aircraft Rental
Aircraft Sales

Runway 08/26

8002 ft. x 100 ft.
ASPH  
Good 
NONE 
HIGH 
 
28,000lbs 
40,000lbs 
-- 
-- 
  Runway 08 Runway 26
True Heading 91°271°
Traffic Pattern Right
Markings PIR PIR
Markings Condition GOOD GOOD
Latitude 39° 47' 38"N 39° 47' 37"N
Longitude 104° 33' 55"W 104° 32' 12"W
Elevation 5,453' 5,489'
Threshold Crossing Height 50 ft. AGL 50 ft. AGL
Visual Glide Path Angle
Visual Slope Indicator P2L P2L
Approach Lights MALSR
Centerline Lights
Runway End Identifier Lights Yes

Runway 17/35

8000 ft. x 100 ft.
ASPH  
Good 
NONE 
MED 
 
34,000lbs 
75,000lbs 
-- 
-- 
  Runway 17 Runway 35
True Heading 180°360°
Traffic Pattern Right
Markings PIR PIR
Markings Condition FAIR FAIR
Latitude 39° 47' 08"N 39° 45' 49"N
Longitude 104° 31' 27"W 104° 31' 27"W
Elevation 5,476' 5,515'
Threshold Crossing Height 55 ft. AGL 56 ft. AGL
Visual Glide Path Angle
Visual Slope Indicator P4L P4L
Approach Lights MALSR
Centerline Lights
Runway End Identifier Lights Yes
A110-1TWY EDGE LIGHTS ALONG A, B, C, D, & E.
A110-2NOISE SENSITIVE AREAS SE, S & SW OF ARPT. AVOID FLT BLW 1000 FT OVR POPULATED AREAS.
A110-4CTN: USAF TRNG ACT INVOF COLORADO SPRINGS & PUEBLO ARPT.
A17-H1AFT HR SVC - AMGR.
A70-100LL100LL SELF SVC AVBL H24 WITH CREDIT CARD.
A81-APTACTVT MALSR RWY 26 & 35; REIL RWY 08 & 17; PAPI RWY 08 & 26, 17 & 35; HIRL RWY 08/26; MIRL RWY 17/35 - CTAF.
COLORADO AIR AND SPACE PORT (ICAO: KCFO, IATA: CFO) is a public airport located in DENVER, CO, US.