iFlightPlanner

 

...
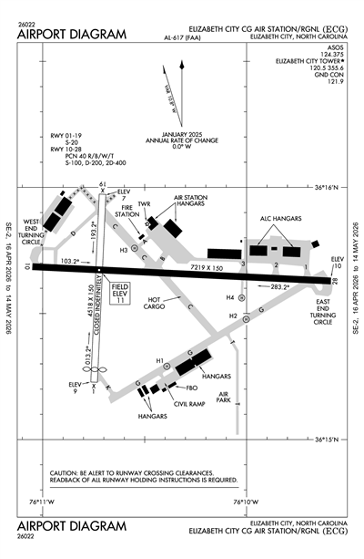
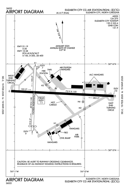
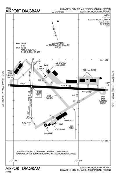
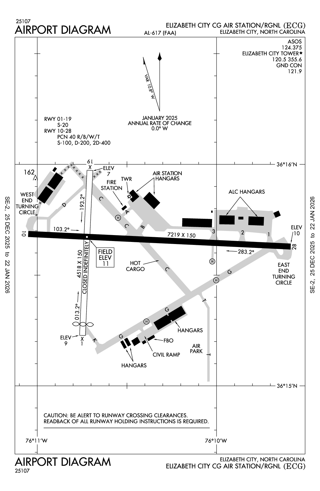
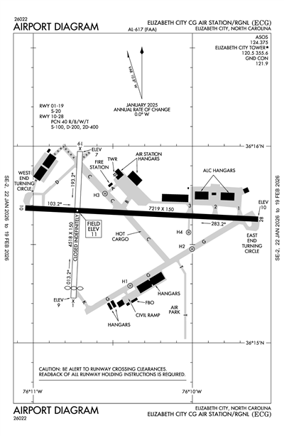
ELIZABETH CITY CG AIR STATION/RGNL - Airport Diagram
LiveATC.net: Live Air Traffic - From Their Headsets to You

KECG
ELIZABETH CITY CG AIR STATION/RGNL
PublicPUB

3 miles SE of ELIZABETH CITY, NC, US
LiveATC.net: Live Air Traffic - From Their Headsets to You
Operational
36° 15' 38"N 76° 10' 28"W
11' MSL
1011' MSL
11W
JET A-1+, 100LL
RALEIGH (RDU)
WASHINGTON
WASHINGTON (ZDC)
1/22/26-2/19/26
KECG MVFR
5:54 AM EST  
Haze
Overcast 2,800'
3sm
20°F
13°F
29.76"Hg
340° 27kts
Gusts 36kts
AO2 PK WND 33036/1054 SLP077 T10671106 PWINO $
METAR KECG 011054Z AUTO 34027G36KT 3SM HZ OVC028 M07/M11 A2976 RMK AO2 PK WND 33036/1054 SLP077 T10671106 PWINO $

KECG FBOs

Elizabeth City Regional Airport
UNICOM: 122.95
Phone: (252) 335-5634
No Rating Available
0 Reviews (Read | Sign In To Write)
Titan
As of 1/13
100LL JET A JET A (FSII) MOGAS UL94
Self Serve 5.74
Full Serve 5.99 4.99
Fuel Notes
Prices include tax
X

Send Message to Airport Company
Enter your information and message below.

Your Information
 
Processing 

Weather and Advisory

ASOS 124.375
(252) 338-4750

Common

CTAF 120.5
ACTVT SALS RWY 10; HIRL RWY 10/28 - CTAF. WHEN ATCT CLSD, REILS RWY 10 & 28; PAPI RWY 10 & 28 OPR CONSLY. VASI RWY 01 & 19; MIRL RWY 01/19; TWY RWY 19 - OTS INDEFLY.
UNICOM 122.95

Ground

ELIZABETH CITY GROUND 121.9
1200-0300Z++.

Tower

ELIZABETH CITY TOWER 120.5
1200-0300Z++.

Approach

NORFOLK APPROACH 119.55

Departure

NORFOLK DEPARTURE 119.55

Flight Service

Flight Service 122.2
(RDU)

Emergency

Emergency 121.5

Terminal Area Forecast

KECG
Sun, 2/1 6:20 AM EST
Sun, 2/1 7:00 AM EST - Mon, 2/2 7:00 AM EST
MVFR
Temporary 7:00 AM EST - 8:00 AM EST
Light Snow
No Clouds
3sm
Calm
MVFR
7:00 AM EST - 12:00 PM EST
Overcast 2,500'
6sm
330° 25kts
Gusts 37kts
VFR
12:00 PM EST - 5:00 PM EST
Broken 15,000'
6sm
320° 21kts
Gusts 33kts
VFR
5:00 PM EST - 7:00 AM EST
Scattered 25,000'
6sm
310° 16kts
Gusts 24kts
TAF KECG 011120Z 0112/0212 33025G37KT P6SM OVC025
   TEMPO 0112/0113 3SM -SN
   FM011700 32021G33KT P6SM BKN150
   FM012200 31016G24KT P6SM SCT250
KECG
EffectiveExpiresCategoryNOTAM
Domestic
2/3/26
0400Z
2/3/26
1100Z
!ECG 01/017 ECG COM REMOTE TRANS/REC 119.55 U/S USE 127.9 2602030400-2602031100
2/3/26
0400Z
2/3/26
1100Z
!ECG 01/016 ECG NAV LLW NDB NOT MNT 2602030400-2602031100
1/31/26
2313Z
2/2/26
1700Z
Runway!ECG 01/025 ECG RWY 10/28 CLSD 2601312313-2602021700
1/20/26
0847Z
3/20/26
2359Z
!ECG 01/014 ECG OBST TOWER LGT (ASR 1005453) 361829.00N0761728.00W (6.2NM WNW ECG) 395.0FT (390.1FT AGL) U/S 2601200847-2603202359
1/1/26
0040Z
Runway!ECG 01/002 ECG RWY 19 VASI U/S 2601010040-2704092000EST
1/1/26
0038Z
Runway!ECG 01/001 ECG RWY 01 VASI U/S 2601010038-2704092000EST
12/31/25
0737Z
2/28/26
2359Z
!ECG 12/024 ECG OBST TOWER LGT (ASR 1003902) 362120.00N0763307.00W (18.9NM WNW ECG) 396.0FT (350.1FT AGL) U/S 2512310737-2602282359
12/29/25
1717Z
6/29/26
2359Z
!ECG 12/020 ECG TWY G BTN FIXED BASE OPR RAMP AND TWY K CLSD 2512291717-2606292359
12/29/25
1716Z
6/29/26
2359Z
!ECG 12/019 ECG TWY K CLSD 2512291716-2606292359
12/29/25
1716Z
6/29/26
2359Z
Runway!ECG 12/018 ECG RWY 01/19 CLSD 2512291716-2606292359
12/17/25
1815Z
2/17/26
2359Z
!ECG 12/012 ECG OBST TOWER LGT (ASR 1002813) 360934.00N0760431.00W (7.7NM SE ECG) 269.7FT (259.8FT AGL) U/S 2512171815-2602172359
12/1/25
1623Z
2/28/26
2359Z
!ECG 12/001 ECG SVC PCL ALL U/S EXC MEDIUM INTST ON CONS 2512011623-2602282359
10/1/25
0500Z
3/31/26
2359Z
!ECG 09/031 ECG AD AP FUEL NOT AVBL TO HEL HOT REFUELING EXC 2HR PPR 252-335-5634/252-702-7425 2510010500-2603312359
6/18/25
1454Z
6/18/26
2359Z
!ECG 06/005 ECG OBST TOWER LGT (ASR 1005177) 362017.30N0761605.50W (6.4NM NW ECG) 420.9FT (416.0FT AGL) U/S 2506181454-2606182359
FDC
1/31/26
0339Z
2/27/26
0339Z
!FDC 6/9196 ECG IAP ELIZABETH CITY CG AIR STATION/RGNL, ELIZABETH CITY, NC.
ILS OR LOC RWY 10, AMDT 2...
VOR/DME RWY 10, ORIG-G...
VOR/DME RWY 19, AMDT 10I...
VOR/DME RWY 28, AMDT 1E...
ALTERNATE MINIMUMS NA EXCEPT FOR ACFT EQUIPPED WITH SUITABLE RNAV SYSTEM WITH GPS,
ECG VOR/DME UNMONITORED. 2601310339-2602270339EST
1/30/26
2101Z
!FDC 6/9130 ECG IAP ELIZABETH CITY CG AIR STATION/RGNL, ELIZABETH CITY, NC.
ILS OR LOC RWY 10, AMDT 2...
MISSED APPROACH: CLIMB TO 500 THEN CLIMBING LEFT TURN TO 2000 DIRECT CVI VORTAC AND HOLD,
ECG VOR OUT OF SERVICE. 2601302101-2602062101EST
1/22/26
1650Z
!FDC 6/6266 ECG IAP ELIZABETH CITY CG AIR STATION/RGNL, ELIZABETH CITY, NC.
ILS OR LOC RWY 10, AMDT 2...
NDB RWY 10, ORIG-H...
RNAV (GPS) RWY 10, AMDT 2...
RNAV (GPS) RWY 19, ORIG-C...
RNAV (GPS) RWY 28, ORIG-B...
VOR/DME RWY 10, ORIG-G...
VOR/DME RWY 19, AMDT 10I...
VOR/DME RWY 28, AMDT 1E...
CIRCLING RWY 1 NA AT NIGHT.
2601221650-2704162355EST
4/16/25
1408Z
!FDC 5/7292 ECG IAP ELIZABETH CITY CG AIR STATION/RGNL, ELIZABETH CITY, NC.
RNAV (GPS) RWY 1, ORIG-D...
STRAIGHT-IN RWY 1 NA AT NIGHT, CIRCLING RWY 1 NA AT NIGHT.
2504161408-2704161408EST
4/15/25
1821Z
!FDC 5/6571 ECG IAP ELIZABETH CITY CG AIR STATION/RGNL, ELIZABETH CITY, NC.
NDB RWY 10, ORIG-H...
TERMINAL ROUTE WINAL INT TO LLW NDB (IAF) 1700. TERMINAL ROUTE ECG VOR/DME TO LLW NDB (IAF) 1700. PROCEDURE TURN COMPLETION ALTITUDE 1700.
2504151821-2704151821EST
Yes
MON-FRI 0800-2100
SAT-SUN 0800-1700
FOR GA ATTENDANCE AFTER HRS AND HOLIDAYS CALL 252-562-2472 OR CTC NOS. POSTED ON TRML DOOR.
USCG BASE ELIZABETH CITY
USCG BASE-ELIZABETH CITY OPS MNGR 1664 WEEKSVILLE RD
ELIZABETH CITY, NC 27909
Phone: 252-334-5388
ROBERT POPP, CIV USCG
1664 WEEKSVILLE RD
ELIZABETH CITY, NC 27909
Phone: (252) 334-5388
RALEIGH FSS (RDU)
Toll Free: 1-800-WX-BRIEF
ECG
--
ACTVT SALS RWY 10; HIRL RWY 10/28 - CTAF. WHEN ATCT CLSD, REILS RWY 10 & 28; PAPI RWY 10 & 28 OPR CONSLY. VASI RWY 01 & 19; MIRL RWY 01/19; TWY RWY 19 - OTS INDEFLY.
N/A
Yes - Lighted
No
No
Tie-Down
NOT a Landing Rights Airport
NOT an Airport of Entry
Major
Major
None
None
Charter Service
Pilot Instruction
Aircraft Rental

Runway 01/19

4518 ft. x 150 ft.
ASPH CONC  
Poor 
NONE 
MED 
 
20,000lbs 
-- 
-- 
-- 
  Runway 01 Runway 19
True Heading 182°
Traffic Pattern Right Right
Markings NPI NPI
Markings Condition POOR POOR
Latitude 36° 15' 14"N 36° 15' 58"N
Longitude 76° 10' 45"W 76° 10' 42"W
Elevation 9' 7'
Threshold Crossing Height 25 ft. AGL 30 ft. AGL
Visual Glide Path Angle 2.75° 2.75°
Visual Slope Indicator V4L V4L
Approach Lights
Centerline Lights
Runway End Identifier Lights

Runway 10/28

7219 ft. x 150 ft.
CONC  
Good 
NONE 
HIGH 
40/R/B/W/T 
100,000lbs 
200,000lbs 
400,000lbs 
-- 
  Runway 10 Runway 28
True Heading 92°272°
Traffic Pattern Right Left
Markings PIR PIR
Markings Condition GOOD GOOD
Latitude 36° 15' 41"N 36° 15' 38"N
Longitude 76° 11' 03"W 76° 09' 35"W
Elevation 10' 10'
Threshold Crossing Height 49 ft. AGL 50 ft. AGL
Visual Glide Path Angle
Visual Slope Indicator P2L P2L
Approach Lights SALS
Centerline Lights No No
Runway End Identifier Lights Yes Yes

Runway H1

60 ft. x 55 ft.
ASPH  
Good 
NONE 
 
 
-- 
-- 
-- 
-- 
  Runway H1 Runway
True Heading Not ListedNot Listed
Traffic Pattern
Markings BSC
Markings Condition GOOD
Latitude 36° 15' 17"N N/A
Longitude 76° 10' 23"W N/A
Elevation 8' --
Threshold Crossing Height -- --
Visual Glide Path Angle -- --
Visual Slope Indicator -- --
Approach Lights
Centerline Lights
Runway End Identifier Lights

Runway H2

50 ft. x 50 ft.
ASPH  
Good 
NONE 
 
 
-- 
-- 
-- 
-- 
  Runway H2 Runway
True Heading Not ListedNot Listed
Traffic Pattern
Markings NRS
Markings Condition GOOD
Latitude 36° 15' 29"N N/A
Longitude 76° 10' 00"W N/A
Elevation 7' --
Threshold Crossing Height -- --
Visual Glide Path Angle -- --
Visual Slope Indicator -- --
Approach Lights
Centerline Lights
Runway End Identifier Lights

Runway H3

50 ft. x 50 ft.
ASPH  
Good 
NONE 
 
 
-- 
-- 
-- 
-- 
  Runway H3 Runway
True Heading Not ListedNot Listed
Traffic Pattern
Markings NRS
Markings Condition GOOD
Latitude 36° 15' 46"N N/A
Longitude 76° 10' 33"W N/A
Elevation 7' --
Threshold Crossing Height -- --
Visual Glide Path Angle -- --
Visual Slope Indicator -- --
Approach Lights
Centerline Lights
Runway End Identifier Lights

Runway H4

100 ft. x 100 ft.
CONC  
Good 
NONE 
PERI 
 
-- 
-- 
-- 
-- 
  Runway H4 Runway
True Heading Not ListedNot Listed
Traffic Pattern
Markings BSC
Markings Condition GOOD
Latitude 36° 15' 34"N N/A
Longitude 76° 10' 01"W N/A
Elevation 11' --
Threshold Crossing Height -- --
Visual Glide Path Angle -- --
Visual Slope Indicator -- --
Approach Lights
Centerline Lights
Runway End Identifier Lights
A10THIS IS A SHARED-USE ARPT. THE USCG OWNS AND OPERATES ALL RWYS AND THE MAJORITY OF THE TWYS. THE PASQUOTANK COUNTY AIRPORT AUTHORITY OPERATES THE FBO, CIVILIAN TERMINAL AND ASSOCIATED TAXIWAYS.
A11USCG BASE - ELIZABETH CITY, AIRFIELD MANAGER: ROBERT POPP, PHONE: 252-334-5388; EMAIL: ROBERT.A.POPP@USCG.MIL
A110-1NO LINE-OF-SIGHT BETWEEN RWY ENDS.
A110-11COAST GUARD COMPLEX HAS NUMEROUS BLDGS WI THE BLDG RSTRN LINES.
A110-13RWY 01/19 & TWY K WEST OF THE CIVIL RAMP CLSD TO ALL OPNS.
A110-16ALL DOD TBJT ACFT FULL STOP ONLY, PRACTICE APCHS AND VFR TOUCH-N-GOS PROHIBITED.
A110-19FLUID: SP LHOX OIL: O-133-156 TRAN ALERT- NO TRANS MAINT, LTD SVC, TRAN A/C MUST REMAIN WITH ACFT TO PROVIDE TECH DRCT/ASSIST IN SVCG.
A110-2ACFT WITH TAIL HEIGHTS TO 50 FT PARKED ON APRON FIRST 2000 FT FM RWY 28 R SIDE 250 FT FM RWY CNTRLN.
A110-21CG ALC RAMP ATTENDED 1200-2000Z++.
A110-22CIV RAMP ATNDD M-F 0800-2100, SAT-SUN 0800-1700 FOR CIV ATTENDANT AFTER HRS & HOL C252-562-2472 DUR HR ATNDD.
A110-23SAR MAY RQR H24 ATCT STAFF 0200-1300Z++; TRANS INTENTIONS IN THE BLIND ON 120.5.
A110-24SEE FLIP AP/1 SUPP ARPT INFO.
A110-26NOISE ABATEMENT PROCEDURES IN EFFECT, CALL AMGR 252-334-5388.
A110-27ALL ACFT DESTINED FOR CG AIR STATION CTC ELIZABETH CITY AIR ON 345.0, 10 MIN PRIOR TO LDG. ALL ACFT DESTINED FOR CG ALC CTC ALC DUTY OFFICER (C252-333-5389) NLT 24HRS FOR PPR AND CTC ALC FLT OPS 123.1 PRIOR TO LANDING.
A110-28RWY AND TWY SFC COND NOT MNT WKENDS OR MON-FRI BTN 2000Z-1200Z.
A110-29MISC: NON-FRANGIBLE HIGH VOLTAGE BOXES LOCATED ON S EDGE OF ALC RAMP.
A110-3FACILITIES AND RAMPS NORTH OF RWY 10/28 RSTRD TO OFFL CG BUS ONLY.
A110-30MISC: PORTIONS OF ALC PRK RAMP NOT VIS FROM TWR.
A110-31MISC: RWY 01/19 RWY HOLD SIGNS AT TWY K AND D NOT COINCIDENTAL WITH COR PAINTED RWY HOLD MARKINGS.
A110-35MISC: AFLD MOWING SEASON APR-OCT. EXPCT INCREASED BIRD ACT IN VCNTY OF MOWERS OPR ON AFLD.
A110-36PPR IF ACN EXCEEDS PUBL PCN. CTC CG AFLD MGR C252-334-5388 TO OBTAIN APVL.
A110-37FOR CD WHEN ATCT CLSD, CTC NORFOLK APCH AT 757-464-0757.
A110-38RWY 10/28 INCRD POTENTIAL FOR HYDROPLANING DUE TO RUBBER DEPOSITS, CNTRLN OBSC.
A110-5INTERMITTENT TETHERED BLN OPNS 3 NM SE; DALGT HRS AT 3000 FT.
A110-9SEASONAL LOW-FLYING AGRI ACFT BASED IN THE LOCAL AREA.
A14MR. SCOTT HINTON IS THE ELIZABETH CITY RGNL ARPT DIR FOR THE ELIZABETH CITY-PASQUOTANK COUNTY ARPT AUTH. EMAIL: MANAGER@ECGAIRPORT.COM; PHONE: 252-335-5634.
A17-M2FOR GA ATTENDANCE AFTER HRS AND HOLIDAYS CALL 252-562-2472 OR CTC NOS. POSTED ON TRML DOOR.
A30-01/19RWY 01/19 CLSD INDEFLY.
A33-01/19_CONDPAVEMENT IS FAILED, NMRS RUTS, HEAVES, STRUCTURAL INTEGRITY UNKN. FOD POTENTIAL. SFC MRKS OBSC. NOT AUZD FOR USE.
A37-10/28TWIN-TANDEM WEIGHT BEARING CAPACITY 400000 LBS.
A42-01_CONDMKD WITH X CLOSED.
A57-01CLSD INDEFLY APCH RATIO 20:1 FROM DSPLCD THR.
A58-01CLSD INDEFLY HAS +6 FT FENCE 0-200 FT FM THR 200-250 FT L.
A58-28HAS +11 FT ROAD 156 FT FM THR OFFSET 337 L OF CNTRLN.
A70-100LL100LL FUEL 24 HR CREDIT CARD SVC AVBL.
A70-A1+DLA MILITARY FUELING CONTRACT SVC AVBL ON GA RAMP, US GOVT AIRCARD ACCEPTED, NO DELAY FOR FUEL.
A81-APTACTVT SALS RWY 10; HIRL RWY 10/28 - CTAF. WHEN ATCT CLSD, REILS RWY 10 & 28; PAPI RWY 10 & 28 OPR CONSLY. VASI RWY 01 & 19; MIRL RWY 01/19; TWY RWY 19 - OTS INDEFLY.
E147TPA: ROTARY WING 1000 FT AGL/1011 FT MSL, FIXED WING 1500 FT AGL/1511 FT MSL.
ELIZABETH CITY CG AIR STATION/RGNL (ICAO: KECG, IATA: ECG) is a public airport located in ELIZABETH CITY, NC, US.