iFlightPlanner

 

...
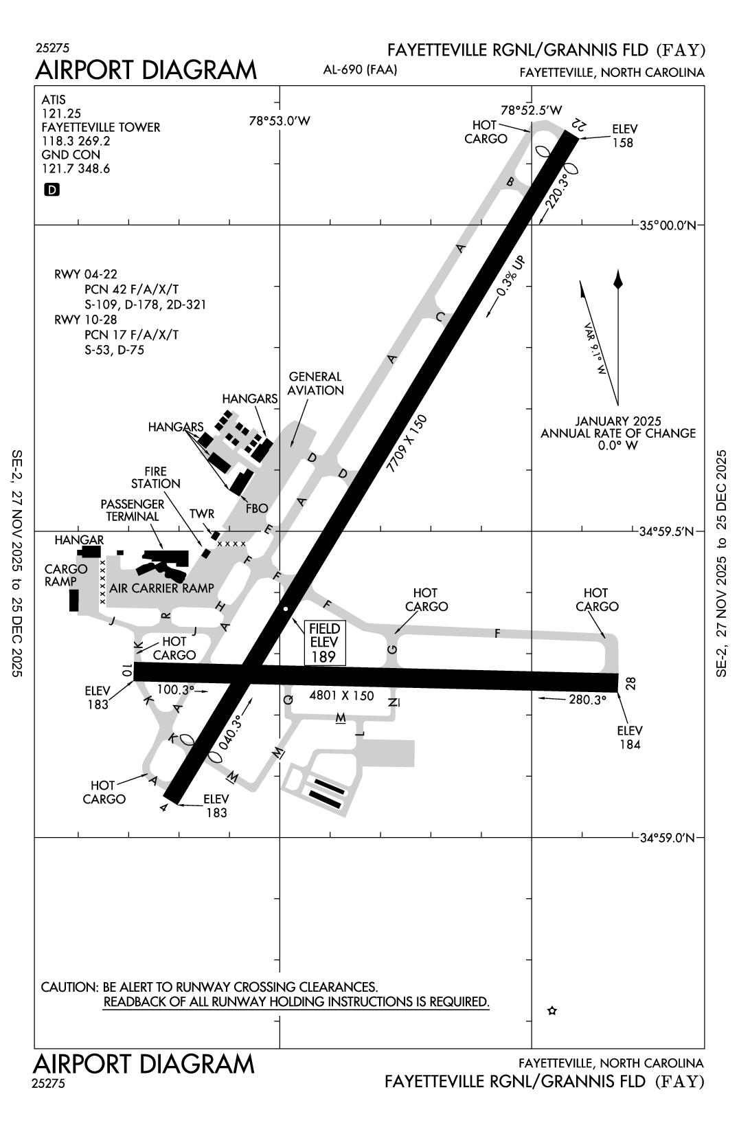
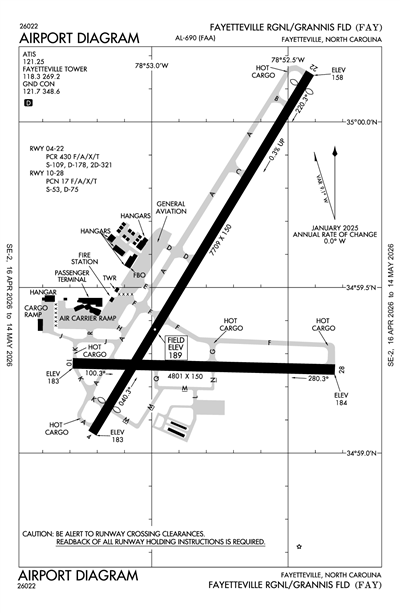
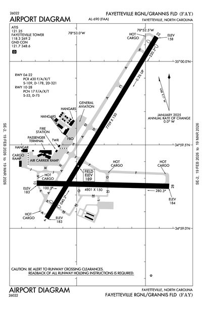
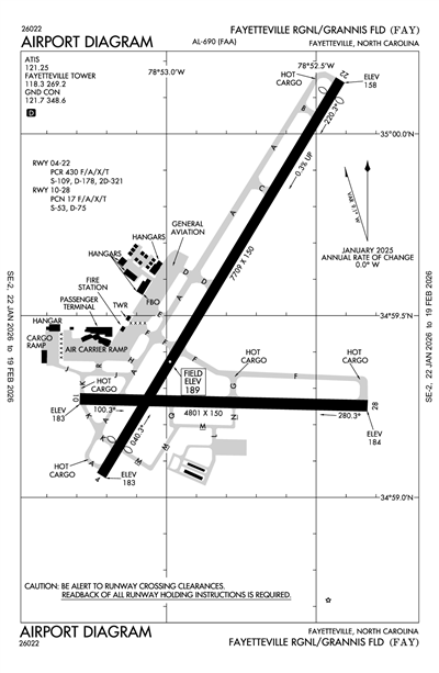
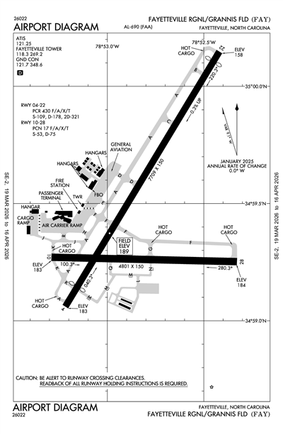
FAYETTEVILLE RGNL/GRANNIS FLD - Airport Diagram
LiveATC.net: Live Air Traffic - From Their Headsets to You

KFAY
ICAO KFAYIATA FAYLocal FAY
FAYETTEVILLE RGNL/GRANNIS FLD
PublicPUB

3 miles S of FAYETTEVILLE, NC, US
LiveATC.net: Live Air Traffic - From Their Headsets to You
Status
Operational
Coordinates
34° 59' 28"N 78° 52' 49"W
Elevation
189' MSL
Pattern Alt
1189' MSL
Mag Variation
9°W
Declination
7°W
Fuel
JET A, 100LL
FSS
RALEIGH (RDU)
Sectional
CHARLOTTE
ARTCC
WASHINGTON (ZDC)
Data Effective
3/19/26-4/16/26
KFAY VFR
1:53 AM EDT  
Clear
10sm
66°F
61°F
30.14"Hg
210° 6kts
AO2 SLP199 T01890161 10244 20189 58009 $
METAR KFAY 050553Z 21006KT 10SM CLR 19/16 A3014 RMK AO2 SLP199 T01890161 10244 20189 58009 $

KFAY FBOs

Signature Aviation
UNICOM: 122.95
Phone: (910) 321-7540
No Rating Available
0 Reviews (Read | Sign In To Write)
Independent
As of 4/2
100LL JET A JET A (FSII) MOGAS UL94
Self Serve
Full Serve 7.24 8.95
Fuel Notes
Prices include tax

KFAY Aircraft Service & Maintenance

Powell Avionics
Phone: (919) 537-5293
No Rating Available
0 Reviews (Read | Sign In To Write)
Wings Avionics Inc.
Phone: (479) 587-0005
Fax: (479) 587-0020
No Rating Available
0 Reviews (Read | Sign In To Write)
X

Send Message to Airport Company
Enter your information and message below.

Your Information
 
Processing 

Weather and Advisory

ATIS 121.25
ASOS 121.25
(910) 484-1546

Common

UNICOM 122.95

Ground

FAYETTEVILLE GROUND 121.7

Tower

FAYETTEVILLE TOWER 118.3

Approach

FAYETTEVILLE APPROACH 125.175
321-060
FAYETTEVILLE APPROACH 127.8
231-320
FAYETTEVILLE APPROACH 133.0
Initial Contact - 061-230

Departure

FAYETTEVILLE DEPARTURE 125.175
321-060
FAYETTEVILLE DEPARTURE 127.8
231-320
FAYETTEVILLE DEPARTURE 133.0
Initial Contact - 061-230

Emergency

Emergency 121.5

Other

CLASS C 125.175
321-060
CLASS C 127.8
231-320
CLASS C 133.0
061-230

Terminal Area Forecast

KFAY
Sun, 4/5 1:24 AM EDT
Sun, 4/5 2:00 AM EDT - Mon, 4/6 2:00 AM EDT
VFR
2:00 AM EDT - 4:00 AM EDT
Scattered 7,000'
6sm
190° 10kts
IFR
Temporary 4:00 AM EDT - 8:00 AM EDT
Broken 700'
N/A
Calm
MVFR
4:00 AM EDT - 9:00 AM EDT
Broken 1,500'
Scattered 700'
6sm
200° 11kts
VFR
9:00 AM EDT - 1:00 PM EDT
Broken 5,000'
Scattered 1,500'
6sm
220° 14kts
Gusts 24kts
VFR
1:00 PM EDT - 12:00 AM EDT
Light Showers and Rain
Broken 5,000'
6sm
230° 14kts
Gusts 24kts
MVFR
Temporary 2:00 PM EDT - 6:00 PM EDT
Light Thunderstorm and Rain
Broken 4,000'
Broken 1,500'
4sm
Calm
VFR
12:00 AM EDT - 2:00 AM EDT
Overcast 5,000'
6sm
340° 10kts
TAF KFAY 050524Z 0506/0606 19010KT P6SM SCT070
   FM050800 20011KT P6SM SCT007 BKN015
   TEMPO 0508/0512 BKN007
   FM051300 22014G24KT P6SM SCT015 BKN050
   FM051700 23014G24KT P6SM -SHRA BKN050
   TEMPO 0518/0522 4SM -TSRA BKN015 BKN040CB
   FM060400 34010KT P6SM OVC050
KFAY
EffectiveExpiresCategoryNOTAM
Domestic
4/4/26
0038Z
4/6/26
1600Z
Runway!FAY 04/006 FAY RWY 04 2000FT DIST REMAINING SIGN LGT U/S 2604040038-2604061600
3/30/26
1247Z
6/1/26
1600Z
!FAY 03/020 FAY AD AP WINDCONE FOR RWY 22 LGT U/S 2603301247-2606011600
3/24/26
1005Z
6/22/26
0400Z
!FAY 03/014 FAY OBST TOWER LGT (ASR 1012255) 345858.80N0785004.90W (2.3NM ESE FAY) 310.0FT (228.0FT AGL) U/S 2603241005-2606220400
3/9/26
1106Z
4/23/26
1105Z
!FAY 03/010 FAY OBST TOWER LGT (ASR 1059252) 350407.00N0785408.00W (4.8NM NNW FAY) 492.8FT (352.0FT AGL) U/S 2603091106-2604231105
3/7/26
0857Z
6/5/26
0500Z
!FAY 03/007 FAY OBST TOWER LGT (ASR 1006402) 350515.80N0785727.20W (6.9NM NNW FAY) 412.1FT (170.9FT AGL) U/S 2603070857-2606050500
3/5/26
2108Z
7/3/26
2108Z
!FAY 03/005 FAY OBST TOWER LGT (ASR 1004960) 350440.70N0784835.70W (6.3NM NNE FAY) 359.6FT (264.8FT AGL) U/S 2603052108-2607032108
FDC
1/15/26
1441Z
!FDC 6/3861 FAY IAP FAYETTEVILLE RGNL/GRANNIS FLD, FAYETTEVILLE, NC.
ILS OR LOC RWY 4, AMDT 18...
LOC BC RWY 22, AMDT 9...
PROCEDURE NA EXCEPT FOR ACFT EQUIPPED WITH SUITABLE RNAV SYSTEM WITH GPS,
FAY VOR OUT OF SERVICE. 2601151441-2608271441EST
8/15/25
1914Z
!FDC 5/8663 FAY IAP FAYETTEVILLE RGNL/GRANNIS FLD, FAYETTEVILLE, NC.
RNAV (GPS) RWY 4, AMDT 3C...
TAA STRAIGHT-IN SECTOR 308/30 CW 128/30 MINIMUM ALTITUDE 3200, SECTOR 128/30 CW 308/30 MINIMUM ALTITUDE 3200. INITIAL HOLDING 3200 TO 6000, IF/IAF 3200..
2508151914-2708151914EST
Yes
0600-0000
CITY OF FAYETTEVILLE
400 AIRPORT RD SUITE 1
FAYETTEVILLE, NC 28306
Phone: 910-433-1160
ANDREW LAGALA
400 AIRPORT RD SUITE 1
FAYETTEVILLE, NC 28306
Phone: 910-433-1625
RALEIGH FSS (RDU)
Toll Free: 1-800-WX-BRIEF
FAY
Sunset to Sunrise
--
N/A
Yes - Lighted
No
No
Hanger, Tie-Down
NOT a Landing Rights Airport
NOT an Airport of Entry
Major
Major
None
None
Air Freight
Avionics
Cargo Handling
Charter Service
Pilot Instruction
Aircraft Rental
Aircraft Sales

Runway 04/22

7709 ft. x 150 ft.
ASPH  
Good 
GRVD 
HIGH 
 
109,000lbs 
178,000lbs 
321,000lbs 
-- 
  Runway 04 Runway 22
True Heading 31°211°
Traffic Pattern Left Left
Markings PIR PIR
Markings Condition GOOD GOOD
Latitude 34° 59' 04"N 35° 00' 09"N
Longitude 78° 53' 13"W 78° 52' 25"W
Elevation 183' 158'
Threshold Crossing Height 47 ft. AGL 48 ft. AGL
Visual Glide Path Angle 3.13°
Visual Slope Indicator P4R P4L
Approach Lights MALSR
Centerline Lights
Runway End Identifier Lights Yes

Runway 10/28

4801 ft. x 150 ft.
ASPH  
Excellent 
NONE 
MED 
17/F/A/X/T 
53,000lbs 
75,000lbs 
-- 
-- 
  Runway 10 Runway 28
True Heading 91°271°
Traffic Pattern Left Left
Markings NPI NPI
Markings Condition GOOD GOOD
Latitude 34° 59' 16"N 34° 59' 15"N
Longitude 78° 53' 17"W 78° 52' 20"W
Elevation 183' 184'
Threshold Crossing Height -- 36 ft. AGL
Visual Glide Path Angle --
Visual Slope Indicator -- P4L
Approach Lights
Centerline Lights
Runway End Identifier Lights Yes Yes
A110-1CLSD TO ALL MIL ACFT OVER 17000 LBS FOR ACR RAMP OPNS EXCP 24 HR PPR. CALL AMGR 910-433-1160 MON-FRI.
A39-04/22PCR VALUE: 430/F/A/X/T
A72MAJOR POWER PLANT REPAIRS AVBL FOR PISTON ENGINES ONLY.
FAYETTEVILLE RGNL/GRANNIS FLD (ICAO: KFAY, IATA: FAY) is a public airport located in FAYETTEVILLE, NC, US.