iFlightPlanner

 

...
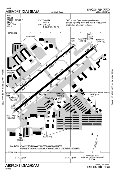
FALCON FLD - Airport Diagram
LiveATC.net: Live Air Traffic - From Their Headsets to You

KFFZ
ICAO KFFZIATA MSCLocal FFZ
FALCON FLD
PublicPUB

5 miles NE of MESA, AZ, US
LiveATC.net: Live Air Traffic - From Their Headsets to You
Status
Operational
Coordinates
33° 27' 39"N 111° 43' 42"W
Elevation
1394' MSL
Pattern Alt
2702' MSL
Mag Variation
10°E
Declination
12°E
Fuel
JET A, JET A-1+, 100LL
FSS
PRESCOTT (PRC)
Sectional
PHOENIX
ARTCC
ALBUQUERQUE (ZAB)
Data Effective
5/14/26-6/11/26
KFFZ VFR
2:54 AM MST  
Clear
10sm
73°F
31°F
29.88"Hg
110° 5kts
AO2 SLP095 T02281006
METAR KFFZ 140954Z AUTO 11005KT 10SM CLR 23/M01 A2988 RMK AO2 SLP095 T02281006

KFFZ FBOs

Heliponents
UNICOM: 122.95
Phone: (480) 981-8300
No Rating Available
0 Reviews (Read | Sign In To Write)
Other
As of 5/12
100LL JET A JET A (FSII) MOGAS UL94
Self Serve
Full Serve 7.42
Fuel Notes
Prices include tax
Full Service FBO
Ramp Parking Fee waived with Fuel purchase.
Fuel Hours
Normal Business Hours: M-F 7:30 a.m. to 4:00 p.m.
~ IF NEEDED AFTER HOURS OR WEEKENDS:
For Fuel or Maintenance, Call (480) 904-6001
For Emergency or Parts, Call (480) 223-8348
Volume Discounts
World Fuel & Phillips Into-Plane Rates:
251-500 gals $0.05 off of discounted fuel price rate
501-1000 gals $0.15 off
1000 gals or more $0.25 off

KFFZ Aircraft Service & Maintenance

Flite Instruments
Phone: (480) 463-0697
No Rating Available
0 Reviews (Read | Sign In To Write)
Precision Heli-Support
Phone: (480) 985-7994
Fax: (480) 323-2724
No Rating Available
0 Reviews (Read | Sign In To Write)

KFFZ Other Aviation Services

Aero Components LLC
Phone: (480) 621-8880
Fax: (480) 621-8889
No Rating Available
0 Reviews (Read | Sign In To Write)

KFFZ Other Businesses

Charlie Foxtrot India
Phone: (480) 256-8150
No Rating Available
0 Reviews (Read | Sign In To Write)
X

Send Message to Airport Company
Enter your information and message below.

Your Information
 
Processing 

Weather and Advisory

ATIS 118.25
(480) 641-9378
ASOS (480) 641-4111

Common

CTAF 124.6
ACTVT MIRL RWY 04L/22R; TWY LGTS - CTAF. WHEN ATCT CLSD MIRL RWY 04L/22R NA; MIRL RWY 04R/22L; TWY LGTS PRESET LOW INTST; INCR INTST - CTAF.
UNICOM 122.95

Ground

FALCON GROUND 121.3
MAY 15-AUG 15 0530-2100, AUG 16-MAY14 0600-2100.

Tower

FALCON TOWER 124.6
MAY 15-AUG 15 0530-2100, AUG 16-MAY14 0600-2100.

Arrival

BLYTHE STAR 124.1
DSERT STAR 120.7
HUUTY STAR 124.9
SUNSS STAR 124.1

Approach

PHOENIX APPROACH 120.7

Departure

PHOENIX DEPARTURE 120.7

Terminal Area Forecast

KIWA (11nm)
Wed, 5/13 10:20 PM MST
Wed, 5/13 11:00 PM MST - Thu, 5/14 11:00 PM MST
VFR
11:00 PM MST - 12:00 AM MST
Few 25,000'
Few 15,000'
6sm
280° 7kts
VFR
12:00 AM MST - 12:00 PM MST
Few 25,000'
Few 15,000'
6sm
130° 8kts
VFR
12:00 PM MST - 11:00 PM MST
Sky Clear
6sm
260° 9kts
TAF KIWA 140520Z 1406/1506 28007KT P6SM FEW150 FEW250
   FM140700 13008KT P6SM FEW150 FEW250
   FM141900 26009KT P6SM SKC AMD LTD TO CLD VIS AND WIND TIL 141200
KFFZ
EffectiveExpiresCategoryNOTAM
Domestic
5/20/26
0100Z
5/20/26
1100Z
!FFZ 05/025 FFZ APRON TXL X2 CLSD 2605200100-2605201100
5/20/26
0100Z
5/20/26
1100Z
!FFZ 05/024 FFZ APRON ANZIO RAMP WIP SFC PAINTING 2605200100-2605201100
5/15/26
0100Z
5/15/26
1100Z
!FFZ 05/022 FFZ TWY E BTN TWY R10 AND TWY E2 CLSD 2605150100-2605151100
5/15/26
0100Z
5/15/26
1100Z
!FFZ 05/021 FFZ APRON ECHO WEST RAMP CLSD BTN R10 AND R11 2605150100-2605151100
5/14/26
0100Z
5/14/26
1100Z
!FFZ 05/019 FFZ APRON ECHO WEST RAMP CLSD BTN R9 AND R10 2605140100-2605141100
5/14/26
0100Z
5/15/26
1100Z
!FFZ 05/014 FFZ APRON TXL X5 BTN COMMEMORATIVE AIR FORCE RAMP AND WATER TOWER RAMP CLSD DLY 0100-1100 2605140100-2605151100
5/14/26
0100Z
5/21/26
1100Z
!FFZ 05/013 FFZ APRON ECHO WEST RAMP SFC MARKINGS REMOVED 2605140100-2605211100
5/14/26
0100Z
5/21/26
1100Z
!FFZ 05/012 FFZ APRON TXL X5 SFC MARKINGS REMOVED 2605140100-2605211100
5/14/26
0100Z
5/14/26
1100Z
!FFZ 05/011 FFZ TWY E1 CLSD 2605140100-2605141100
5/14/26
0100Z
5/14/26
1100Z
!FFZ 05/010 FFZ TWY E BTN TWY E1 AND TWY R10 CLSD 2605140100-2605141100
5/13/26
0100Z
5/21/26
1100Z
!FFZ 05/016 FFZ APRON TXL X4, HANGAR RAMP BTN TWY X3 AND TWY X2 NOT STD SFC MARKINGS REMOVED 2605130100-2605211100
5/12/26
1445Z
5/21/26
1100Z
!FFZ 05/023 FFZ APRON TXL X2 NONMOVEMENT AREA BDRY MARKINGS NOT STD 2605121445-2605211100
5/12/26
0100Z
5/20/26
1100Z
!FFZ 05/004 FFZ APRON TXL X2 SFC MARKINGS REMOVED 2605120100-2605201100
5/7/26
1811Z
5/21/26
1100Z
!FFZ 05/017 FFZ APRON TXL X3 CL MARKINGS NOT STD 2605071811-2605211100
5/4/26
1941Z
5/31/26
2200Z
!FFZ 05/003 FFZ APRON TXL X2 CLSD TO ACFT WINGSPAN MORE THAN 49FT 2605041941-2605312200
4/30/26
0100Z
5/20/26
1100Z
!FFZ 04/025 FFZ TWY E EDGE MARKINGS BTN TWY E1 AND TWY R11 NORTH SIDE REMOVED 2604300100-2605201100
4/30/26
0100Z
5/20/26
1100Z
!FFZ 04/024 FFZ APRON ECHO WEST RAMP NONMOVEMENT AREA BDRY MARKINGS REMOVED 2604300100-2605201100
3/12/26
2205Z
5/31/26
2000Z
!FFZ 03/013 FFZ APRON WATER TOWER RAMP CLSD 2603122205-2605312000
1/2/26
0000Z
12/31/26
2359Z
!FFZ 01/001 FFZ AIRSPACE SEE PXR 01/005 UAS DLY 0000-2359
2601020000-2612312359
FDC
4/14/26
0726Z
!FDC 6/2021 FFZ IAP FALCON FLD, MESA, AZ.
RNAV (GPS) RWY 4R, AMDT 1G...
LNAV CAT A/B/C MDA 1860/HAT 476, VIS CAT C 1 3/8. TEMPORARY CRANE 1548 MSL 1602FT SE OF RWY 4R (2024-AWP-4973 TO 4975-NRA). TEMPORARY CRANE 1542 MSL 2177FT SE OF RWY 4R (2026-AWP-2708-OE).
2604140726-2611240726EST
4/14/26
0726Z
!FDC 6/2020 FFZ IAP FALCON FLD, MESA, AZ.
RNAV (GPS) RWY 4L, AMDT 1E...
LNAV CAT A/B/C MDA 1860/HAT 477, VIS CAT C 1 3/8. TEMPORARY CRANE 1548 MSL 2272FT SE OF RWY 4L (2024-AWP-4973 TO 4974-NRA). TEMPORARY CRANE 1542 MSL 2919FT SE OF RWY 4L (2026-AWP-2708-OE).
2604140726-2611240726EST
10/27/25
1357Z
!FDC 5/7001 FFZ ODP FALCON FLD, MESA, AZ.
TAKEOFF MINIMUMS AND (OBSTACLE) DEPARTURE PROCEDURES AMDT 4...
TAKEOFF OBSTACLE NOTES: RWY 4R, TEMPORARY CRANE, 927FT FROM DER, 57FT RIGHT OF CENTERLINE, 30 AGL/1420 MSL (2024-AWP-10023-OE). ALL OTHER DATA REMAINS AS PUBLISHED. 2510271357-2606081357EST
Yes
AUG 16 - MAY 14 FRI-SUN 0530-1600
AUG 16 - MAY 14 MON-THUR 0530-1800
MAY 15 - AUG 15 FRI-SUN 0500-1530
MAY 15 - AUG 15 MON-THUR 0500-1800
CITY OF MESA
4800 E FALCON DR
MESA, AZ 85215
Phone: 480-644-2450
CORINNE NYSTROM
4800 E FALCON DR.
MESA, AZ 85215
Phone: 480-644-2450
PRESCOTT FSS (PRC)
Toll Free: 1-800-WX-BRIEF
FFZ
--
ACTVT MIRL RWY 04L/22R; TWY LGTS - CTAF. WHEN ATCT CLSD MIRL RWY 04L/22R NA; MIRL RWY 04R/22L; TWY LGTS PRESET LOW INTST; INCR INTST - CTAF.
N/A
Yes - Lighted
Yes
No
Tie-Down
NOT a Landing Rights Airport
NOT an Airport of Entry
Major
Major
High & Low Pressure
High & Low Pressure
Air Ambulance
Avionics
Charter Service
Pilot Instruction
Aircraft Rental
Aircraft Sales

Runway 04L/22R

3799 ft. x 75 ft.
ASPH  
Good 
NONE 
MED 
 
12,000lbs 
-- 
-- 
-- 
  Runway 04L Runway 22R
True Heading 51°231°
Traffic Pattern Right
Markings BSC BSC
Markings Condition GOOD GOOD
Latitude 33° 27' 30"N 33° 27' 53"N
Longitude 111° 44' 03"W 111° 43' 28"W
Elevation 1,366' 1,386'
Threshold Crossing Height 42 ft. AGL 42 ft. AGL
Visual Glide Path Angle
Visual Slope Indicator P2L P2L
Approach Lights
Centerline Lights
Runway End Identifier Lights Yes Yes

Runway 04R/22L

5100 ft. x 100 ft.
ASPH  
Good 
NONE 
MED 
 
38,000lbs 
60,000lbs 
90,000lbs 
-- 
  Runway 04R Runway 22L
True Heading 51°231°
Traffic Pattern Left Left
Markings NPI NPI
Markings Condition GOOD GOOD
Latitude 33° 27' 21"N 33° 27' 53"N
Longitude 111° 44' 03"W 111° 43' 16"W
Elevation 1,366' 1,394'
Threshold Crossing Height 42 ft. AGL 49 ft. AGL
Visual Glide Path Angle
Visual Slope Indicator P4L P4L
Approach Lights
Centerline Lights No No
Runway End Identifier Lights Yes Yes
A110-10NOISE ABATEMENT PROC IN EFCT; QUIET HR 0500-1230Z; RWY 04L & 04R PREFFERED; TGL 0500-1230Z NA; CLMB AT VY UNTIL 2400 FT MSL; MNTN TFC PAT 3/4 MI FM RWY END.
A110-18WHEN ATCT CLSD, FOR CD CTC PHOENIX APPROACH AT 602-306-2565.
A110-19TRNG OPS RWY 04L/22R WHEN PSBL; TRNG OPS NA 2200-0530.
A110-22786 FT MSL UNLGTD MT 5 MI E. RISING TRRN NE.
A110-20CTN: HELI 1 MI N; DO NOT MISTAKE FOR RWY.
A110-22TWY G CLSD WHEN ATCT CLSD.
A110-23LDG FEES IN EFCT.
A110-4TURB PSBL BLW 500 FT NEAR TEST SITE 1.5 MI N.
A110-8TRML APRON LMTD TO 45000 LB GWT SINGLE WHEEL OR 75000 LB GWT DUAL WHEEL.
A110-9FIXED WING & ROTORCRAFT TRNG, BIRDS & WILDLIFE ON & INVOF ARPT.
A23-22LRIGHT TFC WHEN ATCT CLSD OR RWY 4L/22R IS CLSD.
A30-04L/22RCLSD WHEN ATCT CLSD. 150 FT X 95 FT BLAST PADS AVBL.
A30A-04LRWY 04L CALM WIND RWY.
A43-22LPAPI RWY 22L DOES NOT PRVD OBSTN CLNC BYD 4 NM FM THR.
A70-ASAF.
A81-APTACTVT MIRL RWY 04L/22R; TWY LGTS - CTAF. WHEN ATCT CLSD MIRL RWY 04L/22R NA; MIRL RWY 04R/22L; TWY LGTS PRESET LOW INTST; INCR INTST - CTAF.
E147TPA FOR LIGHT ACFT 1006 FT AGL; TPA FOR LARGE & TURBINE-POWERED ACFT 1506 FT AGL; TPA 506 FT AGL FOR ROTORCRAFT.
FALCON FLD (ICAO: KFFZ, IATA: FFZ) is a public airport located in MESA, AZ, US.