iFlightPlanner

 

...
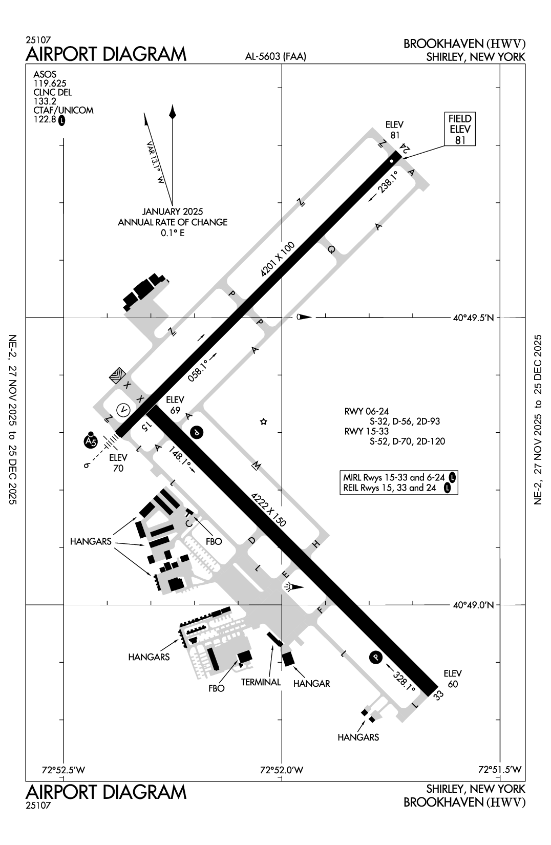
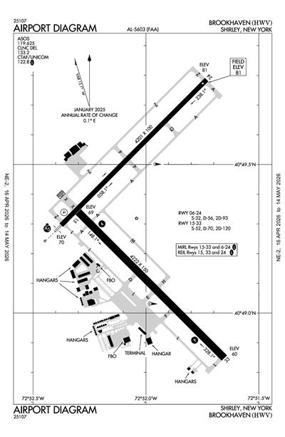
BROOKHAVEN - Airport Diagram
LiveATC.net: Live Air Traffic - From Their Headsets to You

KHWV
ICAO KHWVIATA WSHLocal HWV
BROOKHAVEN
PublicPUB

1 miles N of SHIRLEY, NY, US
LiveATC.net: Live Air Traffic - From Their Headsets to You
Status
Operational
Coordinates
40° 49' 19"N 72° 52' 01"W
Elevation
81' MSL
Pattern Alt
1081' MSL
Mag Variation
13°W
Declination
14°W
Fuel
JET A, 100LL
FSS
NEW YORK (ISP)
Sectional
NEW YORK
ARTCC
NEW YORK (ZNY)
Data Effective
2/19/26-3/19/26
KHWV IFR
12:41 PM EST  
Mist
Overcast 2,600'
Broken 1,900'
Few 1,500'
1.75sm
33°F
29°F
30.05"Hg
VRB° 6kts
AO2 T00061017 PWINO FZRANO
SPECI KHWV 221741Z AUTO VRB06KT 1 3/4SM BR FEW015 BKN019 OVC026 01/M02 A3005 RMK AO2 T00061017 PWINO FZRANO

KHWV FBOs

Pilot & Aircraft
UNICOM: 122.8
Phone: (631) 772-6540
No Rating Available
0 Reviews (Read | Sign In To Write)
Mid-Island Air Service
UNICOM: 122.8
Phone: (631) 281-5400
No Rating Available
0 Reviews (Read | Sign In To Write)
Northeast Aviation Services
UNICOM: 122.85
Phone: (631) 521-7033
Other: (631) 399-3348
No Rating Available
0 Reviews (Read | Sign In To Write)
Titan
As of 2/17
100LL JET A JET A (FSII) MOGAS UL94
Self Serve 5.99
Full Serve 6.99 6.25
Fuel Notes
Prices include tax
X

Send Message to Airport Company
Enter your information and message below.

Your Information
 
Processing 

Weather and Advisory

ASOS 119.625
(631) 399-7095

Common

CTAF 122.8
ACTVT MALSR RWY 06; REIL RWYS 24, 15, & 33; PAPI RWYS 15 & 33; MIRL RWYS 06/24 & 15/33 - CTAF.
UNICOM 122.8

Clearance

Clearance Delivery 133.2

Approach

NEW YORK APPROACH 120.05

Departure

NEW YORK DEPARTURE 120.05

Terminal Area Forecast

KISP (11nm)
Sun, 2/22 12:32 PM EST
Sun, 2/22 1:00 PM EST - Mon, 2/23 1:00 PM EST
IFR
1:00 PM EST - 5:00 PM EST
Light Snow
Overcast 800'
2sm
070° 15kts
Gusts 24kts
LIFR
5:00 PM EST - 9:00 PM EST
Snow and Blowing Snow
Obscured
0.5sm
040° 19kts
Gusts 30kts
LIFR
9:00 PM EST - 1:00 AM EST
Heavy Snow and Blowing Snow
Obscured
0.25sm
030° 25kts
Gusts 38kts
LIFR
1:00 AM EST - 11:00 AM EST
Heavy Snow and Blowing Snow
Obscured
0.25sm
010° 36kts
Gusts 46kts
LIFR
11:00 AM EST - 1:00 PM EST
Snow and Blowing Snow
Obscured
0.5sm
350° 30kts
Gusts 41kts
TAF KISP 221732Z 2218/2318 07015G24KT 2SM -SN OVC008
   FM222200 04019G30KT 1/2SM SN BLSN VV005
   FM230200 03025G38KT 1/4SM +SN BLSN VV002 WS020/02050KT
   FM230600 01036G46KT 1/4SM +SN BLSN VV002 WS020/03060KT
   FM231600 35030G41KT 1/2SM SN BLSN VV002
KHWV
EffectiveExpiresCategoryNOTAM
Domestic
2/18/26
0509Z
3/5/26
0409Z
!HWV 02/008 HWV OBST TOWER LGT (ASR 1004116) 405118.20N0724608.90W (4.9NM ENE HWV) 753.6FT (509.8FT AGL) U/S 2602180509-2603050409
2/12/26
0135Z
7/1/26
2359Z
!HWV 02/006 HWV OBST TOWER LGT (ASR 1003715) 405726.00N0725257.00W (8.2NM N HWV) 540.0FT (419.9FT AGL) U/S 2602120135-2607012359
2/10/26
0627Z
2/25/26
0527Z
!HWV 02/004 HWV OBST TOWER LGT (ASR 1007666) 405323.00N0725711.00W (5.6NM NW HWV) 822.2FT (681.1FT AGL) U/S 2602100627-2602250527
2/2/26
1329Z
!HWV 02/001 HWV NAV ILS RWY 06 OM U/S 2602021329-2703092111EST
12/11/25
1451Z
Runway!HWV 12/002 HWV RWY 24 RWY END ID LGT U/S 2512111451-2606112111EST
FDC
2/23/26
1400Z
!FDC 6/7988 HWV IAP BROOKHAVEN, SHIRLEY, NY.
ILS OR LOC RWY 6, AMDT 2D...
S-LOC 6: ADF REQUIRED, EXCEPT FOR ACFT EQUIPPED WITH SUITABLE RNAV SYSTEM WITH GPS,
DPK VOR/DME OUT OF SERVICE. 2602231400-2603021030EST
2/23/26
1400Z
!FDC 6/7987 HWV IAP BROOKHAVEN, SHIRLEY, NY.
VOR RWY 6, AMDT 4B...
DME REQUIRED EXCEPT FOR ACFT EQUIPPED WITH SUITABLE RNAV SYSTEM WITH GPS,
DPK VOR/DME OUT OF SERVICE. 2602231400-2603021030EST
9/15/25
1540Z
9/15/27
1540Z
!FDC 5/3809 HWV PART 1 OF 3 ODP BROOKHAVEN, SHIRLEY, NY.
TAKEOFF MINIMUMS AND (OBSTACLE) DEPARTURE PROCEDURES ORIG...
NOTE: RWY 15: SOLAR PANELS BEGINNING 1 FT FROM DER, 251 FT RIGHT OF
CENTERLINE, UP TO 7 FT AGL/64 FT MSL.
SOLAR PANELS BEGINNING 1 FT FROM DER, 485 FT RIGHT OF CENTERLINE,
UP TO 7 FT AGL/66 FT MSL.
TREES BEGINNING 35 FT FROM DER, 407 FT LEFT OF CENTERLINE, UP TO 63
FT AGL/123 FT MSL.
TRAVERSE WAY 56 FT FROM DER, 493 FT RIGHT OF CENTERLINE, 76 FT MSL.
TREE 167 FT FROM DER, 469 FT LEFT OF CENTERLINE, 65 FT AGL/125 FT
MSL.
TREES BEGINNING 241 FT FROM DER, 231 FT LEFT OF CENTERLINE, UP TO
127 FT MSL.
TREES BEGINNING 446 FT FROM DER, 242 FT RIGHT OF CENTERLINE, UP TO
127 FT MSL.
TREES BEGINNING 2337 FT FROM DER, 334 FT LEFT OF CENTERLINE, UP TO
84 FT AGL/139 FT MSL.
TREE 2556 FT FROM DER, 616 FT RIGHT OF CENTERLINE, 133 FT MSL.
NOTE: RWY 24: ELECTRICAL SYSTEM 13 FT FROM DER, 124 FT LEFT OF
CENTERLINE, 3 FT AGL/71 FT MSL.
TERRAIN 42 FT FROM DER, 270 FT LEFT OF CENTERLINE, 72 FT MSL.
ALL OTHER DATA REMAINS AS PUBLISHED. 2509151540-2709151540EST
END PART 1 OF 3
!FDC 5/3809 HWV PART 2 OF 3 ODP BROOKHAVEN, SHIRLEY, NY.
TRAVERSE WAY, TERRAIN BEGINNING 55 FT FROM DER, 287 FT RIGHT OF
CENTERLINE, UP TO 73 FT MSL.
SOLAR PANELS BEGINNING 198 FT FROM DER, 503 FT RIGHT OF CENTERLINE,
UP TO 7 FT AGL/77 FT MSL.
TREE 785 FT FROM DER, 686 FT LEFT OF CENTERLINE, 137 FT MSL.
TREE, POLE BEGINNING 941 FT FROM DER, 425 FT LEFT OF CENTERLINE, UP
TO 67 FT AGL/138 FT MSL.
TREES BEGINNING 1099 FT FROM DER, 600 FT RIGHT OF CENTERLINE, UP TO
135 FT MSL.
TREES BEGINNING 1262 FT FROM DER, 199 FT RIGHT OF CENTERLINE, UP TO
140 FT MSL.
TREES BEGINNING 1314 FT FROM DER, 242 FT LEFT OF CENTERLINE, UP TO
141 FT MSL.
TREES BEGINNING 1655 FT FROM DER, 280 FT RIGHT OF CENTERLINE, UP TO
153 FT MSL.
TREES BEGINNING 1672 FT FROM DER, 635 FT LEFT OF CENTERLINE, UP TO
143 FT MSL.
TREES BEGINNING 1747 FT FROM DER, 215 FT LEFT OF CENTERLINE, UP TO
144 FT MSL.
TREES BEGINNING 1996 FT FROM DER, 165 FT LEFT OF CENTERLINE, UP TO
ALL OTHER DATA REMAINS AS PUBLISHED. 2509151540-2709151540EST
END PART 2 OF 3
!FDC 5/3809 HWV PART 3 OF 3 ODP BROOKHAVEN, SHIRLEY, NY.
145 FT MSL.
TREES BEGINNING 2090 FT FROM DER, 417 FT RIGHT OF CENTERLINE, UP TO
157 FT MSL.
TREE 3036 FT FROM DER, 288 FT LEFT OF CENTERLINE, 77 FT AGL/147 FT
MSL.
ALL OTHER DATA REMAINS AS PUBLISHED. 2509151540-2709151540EST
END PART 3 OF 3
1/3/25
1818Z
!FDC 5/0387 HWV IAP BROOKHAVEN, SHIRLEY, NY.
RNAV (GPS) RWY 15, ORIG-C...
STRAIGHT-IN MINIMUMS NA. CIRCLING RWY 6,15 NA AT NIGHT.
2501031818-2701031817EST
1/3/25
1739Z
!FDC 5/0374 HWV IAP BROOKHAVEN, SHIRLEY, NY.
ILS OR LOC RWY 6, AMDT 2D...
ADD NOTE: AUTOPILOT COUPLED APPROACH NA BELOW 490FT MSL.
2501031739-2701031739EST
No
0700-1900
TOWN OF BROOKHAVEN
135 DAWN DRIVE
SHIRLEY, NY 11967
Phone: 631-451-5300
DAVID MORAN
135 DAWN DRIVE
SHIRLEY, NY 11967
Phone: 631-451-6299
NEW YORK FSS (ISP)
Toll Free: 1-800-WX-BRIEF
HWV
--
ACTVT MALSR RWY 06; REIL RWYS 24, 15, & 33; PAPI RWYS 15 & 33; MIRL RWYS 06/24 & 15/33 - CTAF.
N/A
Yes - Lighted
Yes
Yes
Hanger, Tie-Down
NOT a Landing Rights Airport
NOT an Airport of Entry
Major
Major
None
None
Charter Service
Glider Service
Pilot Instruction
Aircraft Rental
Aircraft Sales
Glider Towing

Runway 06/24

4201 ft. x 100 ft.
ASPH  
Good 
NONE 
MED 
 
32,000lbs 
56,000lbs 
93,000lbs 
-- 
  Runway 06 Runway 24
True Heading 45°225°
Traffic Pattern Left Left
Markings PIR BSC
Markings Condition FAIR FAIR
Latitude 40° 49' 18"N 40° 49' 47"N
Longitude 72° 52' 23"W 72° 51' 44"W
Elevation 70' 81'
Threshold Crossing Height 47 ft. AGL --
Visual Glide Path Angle --
Visual Slope Indicator V4L --
Approach Lights MALSR
Centerline Lights No No
Runway End Identifier Lights No Yes

Runway 15/33

4222 ft. x 150 ft.
ASPH CONC  
Good 
NONE 
MED 
 
52,000lbs 
70,000lbs 
120,000lbs 
-- 
  Runway 15 Runway 33
True Heading 135°315°
Traffic Pattern Left Left
Markings NPI NPI
Markings Condition GOOD GOOD
Latitude 40° 49' 20"N 40° 48' 51"N
Longitude 72° 52' 18"W 72° 51' 39"W
Elevation 69' 60'
Threshold Crossing Height 47 ft. AGL 46 ft. AGL
Visual Glide Path Angle
Visual Slope Indicator P2L P2L
Approach Lights
Centerline Lights No No
Runway End Identifier Lights Yes Yes
A110-1GLIDER OPNS DALGT HOURS.
A110-11OVERNIGHT RAMP PARKING $5.00.
A110-13EXTENSIVE PARACHUTE JUMPING ACTIVITY INVOF ARPT.
A110-14ALL TWY LIGHTS OPR.
A110-16FOR CD CTC NEW YORK APCH AT 516-683-2449 OR 133.2
A110-17TGL ON HOL, WKENDS & NON-DALGT HRS NOT RCMDD.
A110-18RELOCATED THRESHOLD IS TAXIWAY Z1
A110-19DINER/LUNCHEONETTE OPN 7 DAYS/WEEK 0700-1600.
A110-2GLIDERS USE RIGHT TRAFFIC PATTERN FOR RYS 24 & 33; GLIDERS USE LEFT TRAFFIC PATTERN FOR RYS 06 & 15
A110-5UPPER AIR OBSERVATION BALLOONS LAUNCHED 3 MI NORTH OF ARPT 0600 & 1800.
A110-8PILOTS BE AWARE WHEN CONDUCTING PRACTICE ILS APCHS: EXTENSIVE LIGHT ACFT TRAINING ON & INVOF ARPT ALL HRS.
A110-9DEER ALL AREAS OF ARPT ESPECIALLY AT NIGHT.
A16ALTN PHONE 631-451-6291 OR 631-451-6299.
A24LNDG FEES VARY. SEE ARPT WEBSITE FOR MORE INFO.
A81-APTACTVT MALSR RWY 06; REIL RWYS 24, 15, & 33; PAPI RWYS 15 & 33; MIRL RWYS 06/24 & 15/33 - CTAF.
BROOKHAVEN (ICAO: KHWV, IATA: HWV) is a public airport located in SHIRLEY, NY, US.