iFlightPlanner

 

...
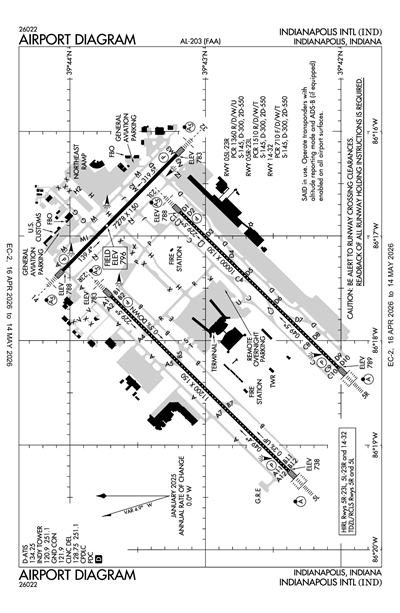
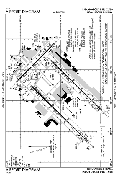
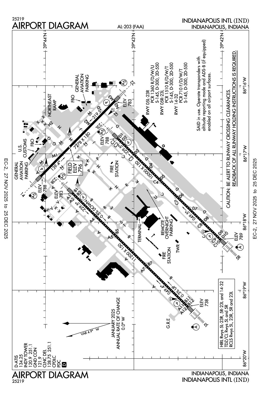
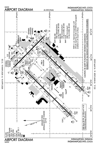
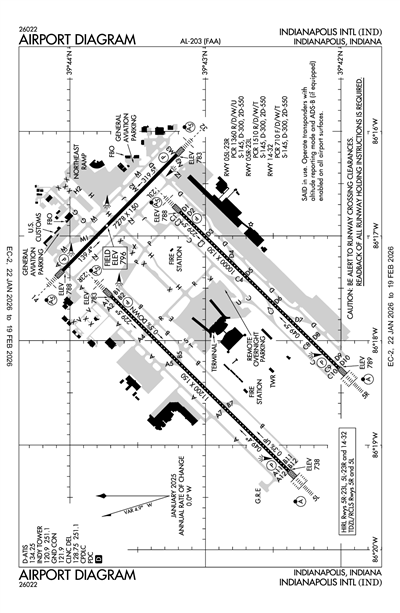
INDIANAPOLIS INTL - Airport Diagram
LiveATC.net: Live Air Traffic - From Their Headsets to You

KIND
INDIANAPOLIS INTL
PublicPUB

7 miles SW of INDIANAPOLIS, IN, US
LiveATC.net: Live Air Traffic - From Their Headsets to You
Operational
39° 43' 02"N 86° 17' 41"W
796' MSL
1796' MSL
05W
JET A, JET A-1+, 100LL
TERRE HAUTE (HUF)
ST LOUIS
INDIANAPOLIS (ZID)
1/22/26-2/19/26
KIND VFR
3:54 AM EST  
Mist
Clear
6sm
2°F
-1°F
30.34"Hg
Calm
AO2 SLP292 I1000 I3000 T11671183 58005 $
METAR KIND 010854Z 00000KT 6SM BR CLR M17/M18 A3034 RMK AO2 SLP292 I1000 I3000 T11671183 58005 $

KIND FBOs

Million Air
UNICOM: 130.575
Phone: (317) 554-8400
No Rating Available
0 Reviews (Read | Sign In To Write)
World Fuel
As of 1/18
100LL JET A JET A (FSII) MOGAS UL94
Self Serve
Full Serve 8.25 7.75 7.85
Fuel Notes
Prices include tax
Signature Aviation
UNICOM: 129.725
Phone: (317) 248-4900
No Rating Available
0 Reviews (Read | Sign In To Write)
Independent
As of 1/22
100LL JET A JET A (FSII) MOGAS UL94
Self Serve
Full Serve 8.23 7.65
Fuel Notes
Prices include tax

KIND Aircraft Service & Maintenance

INAir Aviation Services
Phone: (317) 271-0195
No Rating Available
0 Reviews (Read | Sign In To Write)

KIND Flight Schools & Aircraft Rental

Aviation Institute of Maintenance
Phone: (317) 243-4565
Fax: (317) 243-4569
No Rating Available
0 Reviews (Read | Sign In To Write)

KIND Other Businesses

LIFT Academy
UNICOM: 122.95
Phone: (317) 471-2200
No Rating Available
0 Reviews (Read | Sign In To Write)
X

Send Message to Airport Company
Enter your information and message below.

Your Information
 
Processing 

Weather and Advisory

Digital ATIS 134.25
ASOS (317) 220-6243

Common

UNICOM 122.95

Clearance

INDY CLEARANCE DELIVERY 128.75

Ground

INDY GROUND 121.9
INDY GROUND 121.8
Secondary

Tower

INDY TOWER 120.9

Arrival

CLANG STAR 128.175
RACYR STAR 128.175

Approach

INDIANAPOLIS APPROACH 119.05
WEST OF ACTIVE RWY
INDIANAPOLIS APPROACH 127.15
EAST OF ACTIVE RWY
INDIANAPOLIS APPROACH 128.175
Initial Contact

Departure

INDIANAPOLIS DEPARTURE 119.05
WEST
INDIANAPOLIS DEPARTURE 124.95
EAST

Emergency

Emergency 121.5

Other

CLASS C 119.05
WEST OF ACTIVE RWY
CLASS C 127.15
EAST OF ACTIVE RWY

Terminal Area Forecast

KIND
Sun, 2/1 12:20 AM EST
Sun, 2/1 1:00 AM EST - Mon, 2/2 7:00 AM EST
VFR
1:00 AM EST - 5:00 AM EST
Mist
Scattered 2,000'
6sm
VRB° 4kts
MVFR
5:00 AM EST - 10:00 AM EST
Mist
Broken 1,500'
Scattered 600'
3sm
VRB° 3kts
MVFR
10:00 AM EST - 2:00 PM EST
Broken 2,500'
Scattered 800'
6sm
200° 7kts
VFR
2:00 PM EST - 10:00 PM EST
Broken 20,000'
6sm
190° 8kts
VFR
10:00 PM EST - 7:00 AM EST
Broken 6,000'
6sm
180° 7kts
TAF KIND 010520Z 0106/0212 VRB04KT 6SM BR SCT020
   FM011000 VRB03KT 3SM BR SCT006 BKN015
   FM011500 20007KT P6SM SCT008 BKN025
   FM011900 19008KT P6SM BKN200
   FM020300 18007KT P6SM BKN060
KIND
EffectiveExpiresCategoryNOTAM
Domestic
1/31/26
2255Z
2/1/26
2255Z
!IND 01/476 IND TWY ALL FICON PATCHY COMPACTED SN 24IN SNOWBANKS BA GOOD TO MEDIUM OBS AT 2601312255. 2601312255-2602012255
1/31/26
2254Z
2/1/26
2254Z
!IND 01/475 IND APRON ALL FICON PATCHY COMPACTED SN AND PATCHY 1/8IN DRY SN 8FT SN PILES BA MEDIUM OBS AT 2601312254. 2601312254-2602012254
1/31/26
2254Z
2/1/26
2254Z
!IND 01/474 IND APRON TERMINAL RAMP FICON COMPACTED SN 8FT SNOWBANKS BA MEDIUM OBS AT 2601312254. 2601312254-2602012254
1/31/26
2253Z
2/1/26
2253Z
Runway!IND 01/473 IND RWY 05R FICON 20 PCT 1/8IN DRY SN 18IN SNOWBANKS OBS AT 2601312253. 2601312253-2602012253
1/31/26
2200Z
2/1/26
2200Z
!IND 01/472 IND APRON INTL ARR RAMP FICON PATCHY COMPACTED SN 8FT SN PILES OBS AT 2601312200. 2601312200-2602012200
1/31/26
2157Z
2/1/26
2157Z
Runway!IND 01/471 IND RWY 05L FICON 20 PCT 1/8IN DRY SN 18IN SNOWBANKS OBS AT 2601312157. 2601312157-2602012157
1/31/26
2053Z
2/1/26
2053Z
Runway!IND 01/470 IND RWY 32 FICON 20 PCT 1/8IN DRY SN 18IN SNOWBANKS OBS AT 2601312053. 2601312053-2602012053
1/30/26
1648Z
Runway!IND 01/446 IND RWY 23L PAPI U/S 2601301648-2602282000EST
1/30/26
1625Z
!IND 01/445 IND SVC MBST/WS DETECTION SYSTEM NOT AVBL 2601301625-2602052000EST
1/30/26
1503Z
2/4/26
2200Z
Runway!IND 01/443 IND RWY 05L/23R EDGE MARKINGS OBSC 2601301503-2602042200
1/30/26
1445Z
2/4/26
2200Z
Runway!IND 01/442 IND RWY 05R/23L EDGE MARKINGS OBSC 2601301445-2602042200
1/30/26
1430Z
2/3/26
2200Z
!IND 01/435 IND TWY ALL EDGE MARKINGS OBSC 2601301430-2602032200
1/29/26
1511Z
3/6/26
2359Z
Runway!IND 01/418 IND RWY 23L TWY DIRECTION SIGN AT TWY C1 AND C2 MISSING 2601291511-2603062359
1/29/26
1300Z
3/6/26
2359Z
!IND 01/417 IND TWY D2 TWY DIRECTION SIGN NORTHEAST SIDE FOR TWY D MISSING 2601291300-2603062359
1/28/26
0816Z
2/4/26
2200Z
Runway!IND 01/379 IND RWY 14/32 EDGE MARKINGS OBSC 2601280816-2602042200
1/28/26
0816Z
2/4/26
2200Z
!IND 01/375 IND APRON FEDEX NORTH RAMP ACCESS NUMBER 12 CLSD 2601280816-2602042200
1/28/26
0815Z
2/4/26
2200Z
!IND 01/374 IND APRON FEDEX NORTH RAMP ACCESS NUMBER 11 CLSD 2601280815-2602042200
1/27/26
1337Z
3/6/26
2359Z
!IND 01/351 IND TWY M TWY DIRECTION SIGN FOR SOUTH RAMP MIDDLE ACCESS MISSING 2601271337-2603062359
1/23/26
2013Z
5/23/26
2013Z
!IND 01/205 IND OBST TOWER LGT (ASR 1039852) 393147.60N0862026.50W (11.5NM S IND) 966.9FT (296.9FT AGL) U/S 2601232013-2605232013
1/21/26
0321Z
!IND 01/197 IND NAV ILS RWY 05R IM U/S 2601210321-2606262000EST
9/25/25
1115Z
!IND 09/156 IND NAV ILS RWY 05L IM U/S 2509251115-2603312111EST
8/1/25
1000Z
10/31/26
2300Z
!IND 07/113 IND OBST CRANE (ASN 2025-AGL-4251-NRA) 394243N0861756W (0.4NM SSW IND) 918FT (161FT AGL) FLAGGED AND LGTD 2508011000-2610312300
8/1/25
1000Z
10/31/26
2300Z
!IND 07/112 IND OBST CRANE (ASN 2025-AGL-4253-NRA) 394247N0861811W (0.5NM WSW IND) 918FT (161FT AGL) FLAGGED AND LGTD 2508011000-2610312300
8/1/25
1000Z
10/31/26
2300Z
!IND 07/111 IND OBST CRANE (ASN 2025-AGL-4252-NRA) 394239N0861800W (0.5NM SSW IND) 918FT (161FT AGL) FLAGGED AND LGTD 2508011000-2610312300
8/1/25
1000Z
10/31/26
2300Z
!IND 07/110 IND OBST CRANE (ASN 2025-AGL-4250-NRA) 394251N0861807W (0.4NM WSW IND) 918FT (161FT AGL) FLAGGED AND LGTD 2508011000-2610312300
FDC
1/26/26
1604Z
!FDC 6/6946 IND IAP INDIANAPOLIS INTL, INDIANAPOLIS, IN.
RNAV (GPS) Y RWY 23L, AMDT 5...
LNAV MDA 1220/HAT 430 ALL CATS, VISIBILITY CATS C/D RVR 4000.
2601261604-2801221604EST
1/20/26
1617Z
!FDC 6/5061 IND IAP INDIANAPOLIS INTL, INDIANAPOLIS, IN.
ILS OR LOC RWY 23L, AMDT 8...
S-ILS 23L DA 1045/HAT 255 ALL CATS. TEMPORARY CRANE 931 MSL, 1972FT S OF RWY 23L (2025-AGL-11488-NRA).
2601201617-2602172355EST
1/20/26
1615Z
!FDC 6/5059 IND IAP INDIANAPOLIS INTL, INDIANAPOLIS, IN.
RNAV (GPS) Y RWY 32, AMDT 4A...
LNAV/VNAV DA 1142/HAT 349 ALL CATS, VIS ALL CATS RVR 3000. LNAV MDA 1240/HAT 447 ALL CATS, VIS CATS C/D RVR 4000. VDP 1.18NM TO RW32. FOR INOP ALS, INCREASE LNAV/VNAV VISIBILITY TO RVR 5500. TEMPORARY CRANE 931 MSL, 1972FT S OF RWY 23L (2025-AGL-11488-NRA).
2601201615-2602172355EST
1/20/26
1603Z
!FDC 6/5051 IND IAP INDIANAPOLIS INTL, INDIANAPOLIS, IN.
RNAV (GPS) Y RWY 23L, AMDT 5...
LPV DA 1046/HAT 256 ALL CATS. LNAV/VNAV DA 1142/HAT 352, VIS ALL CATS RVR 3000. LNAV MDA 1240/HAT 450, VIS CATS C/D RVR 4500. VDP 1.17NM TO RW23L. FOR ALS INOP, INCREASE LNAV/VNAV VISIBILITY TO RVR 5500. TEMPORARY CRANE 931 MSL, 1972FT S OF RWY 23L (2025-AGL-11488-NRA).
2601201603-2602172355EST
1/20/26
1601Z
!FDC 6/5046 IND IAP INDIANAPOLIS INTL, INDIANAPOLIS, IN.
ILS RWY 23L (SA CAT II), AMDT 8 ...
PROCEDURE NA.
TEMPORARY CRANE 931 MSL, 1972FT S OF RWY 23L (2025-AGL-11488-NRA) 2601201601-2602172355EST
1/15/26
1531Z
!FDC 6/3942 IND IAP INDIANAPOLIS INTL, INDIANAPOLIS, IN.
ILS OR LOC RWY 14, AMDT 7A...
ILS OR LOC RWY 23L, AMDT 8...
ILS OR LOC RWY 23R, AMDT 6...
ILS OR LOC RWY 32, AMDT 21A...
ILS OR LOC RWY 5L, AMDT 5A...
ILS RWY 5R (CAT II-III), AMDT 7A...
ILS RWY 5L (SA CAT I), AMDT 5A...
ILS RWY 5L (CAT II-III), AMDT 5A...
ILS OR LOC RWY 5R, AMDT 7A...
ILS RWY 5R (SA CAT I), AMDT 7A...
ILS RWY 23R (SA CAT I-II), AMDT 6...
ALTERNATE MINIMUMS NA EXCEPT FOR ACFT EQUIPPED WITH SUITABLE RNAV SYSTEM WITH GPS,
VHP VORTAC UNMONITORED. 2601151531-2608271531EST
9/25/25
1444Z
!FDC 5/0401 IND IAP INDIANAPOLIS INTL, INDIANAPOLIS, IN.
ILS RWY 5L (CAT II-III), AMDT 5A. ...
S-ILS 5L CAT II NA EXCEPT FOR AIRCRAFT EQUIPPED WITH RADIO ALTIMETER. I-IND INNER MARKER OUT OF SERVICE. 2509251444-2709241434EST
8/8/25
1512Z
!FDC 5/3851 IND IAP INDIANAPOLIS INTL, INDIANAPOLIS, IN.
ILS OR LOC RWY 5R, AMDT 7A...
GOLSE FIX MINIMUMS: FOR ALS INOP, S-LOC 5R INCREASE CAT C/D VISIBILITY TO RVR 5500.
2508081512-2708081512EST
7/1/25
1606Z
!FDC 5/1267 IND IAP INDIANAPOLIS INTL, INDIANAPOLIS, IN.
ILS RWY 5R (CAT II-III), AMDT 7A ...
S-ILS 5R CAT II NA EXCEPT FOR AIRCRAFT WITH RADIO ALTIMETER. I-OQV INNER MARKER OUT OF SERVICE. 2507011606-2602101606EST
Yes
ALL
INDIANAPOLIS AIRPORT AUTH
7800 COL. H. WEIR COOK MEMORIAL DR.
INDIANAPOLIS, IN 46241
Phone: 317-487-9594
MARIO RODRIGUEZ
7800 COL. H. WEIR COOK MEMORIAL DR.
INDIANAPOLIS, IN 46241
Phone: 317-487-9594
TERRE HAUTE FSS (HUF)
Toll Free: 1-800-WX-BRIEF
IND
--
--
N/A
Yes - Lighted
No
No
Tie-Down
Landing Rights Airport
NOT an Airport of Entry
Major
Major
High Pressure
High Pressure
Cargo Handling

Runway 05L/23R

11200 ft. x 150 ft.
CONC  
Good 
GRVD 
HIGH 
 
145,000lbs 
300,000lbs 
550,000lbs 
-- 
  Runway 05L Runway 23R
True Heading 45°225°
Traffic Pattern Left Left
Markings PIR PIR
Markings Condition GOOD GOOD
Latitude 39° 42' 23"N 39° 43' 42"N
Longitude 86° 19' 15"W 86° 17' 34"W
Elevation 738' 783'
Threshold Crossing Height 74 ft. AGL 71 ft. AGL
Visual Glide Path Angle
Visual Slope Indicator P4L P4L
Approach Lights ALSF2 MALSR
Centerline Lights Yes Yes
Runway End Identifier Lights No No

Runway 05R/23L

10000 ft. x 150 ft.
CONC  
Good 
GRVD 
HIGH 
 
145,000lbs 
300,000lbs 
550,000lbs 
-- 
  Runway 05R Runway 23L
True Heading 45°225°
Traffic Pattern Left Left
Markings PIR PIR
Markings Condition GOOD GOOD
Latitude 39° 42' 01"N 39° 43' 11"N
Longitude 86° 18' 16"W 86° 16' 46"W
Elevation 789' 788'
Threshold Crossing Height 70 ft. AGL 71 ft. AGL
Visual Glide Path Angle
Visual Slope Indicator P4L P4L
Approach Lights ALSF2 MALSR
Centerline Lights Yes Yes
Runway End Identifier Lights No No

Runway 14/32

7278 ft. x 150 ft.
ASPH  
Good 
GRVD 
HIGH 
 
145,000lbs 
300,000lbs 
550,000lbs 
-- 
  Runway 14 Runway 32
True Heading 135°315°
Traffic Pattern Left Left
Markings PIR PIR
Markings Condition GOOD GOOD
Latitude 39° 44' 03"N 39° 43' 13"N
Longitude 86° 17' 20"W 86° 16' 13"W
Elevation 788' 783'
Threshold Crossing Height 74 ft. AGL 73 ft. AGL
Visual Glide Path Angle
Visual Slope Indicator P4L P4R
Approach Lights MALSR MALSR
Centerline Lights No No
Runway End Identifier Lights No No
A110-1PRIM STUDENT TGL NOT PMTD.
A110-11TWY V IS NOT AVBL FOR ACR OPS.
A110-3LARGE FLOCKS OF BIRDS ON & INVOF ARPT.
A110-4NOISE ABATEMENT PROCEDURES IN EFFECT CTC ARPT MGR.
A110-7BE ALERT TO CLOSE PROXIMITY OF RWY 14/32 TO NORTHEAST RAMP.
A110-8TWY H RUNS CONTIGUOUS AT NORTHEAST RAMP.
A39-05L/23RPCR VALUE: 1360/R/D/W/U
A39-05R/23LPCR VALUE: 1510/R/D/W/T
A39-14/32PCR VALUE: 710/F/D/W/T
A43-14PAPI UNUSBL BYD 8 DEGS RIGHT OF CNTRLN.
A43-23LPAPI UNUSBL BYD 7 DEGS LEFT OF CNTRLN.
INDIANAPOLIS INTL (ICAO: KIND, IATA: IND) is a public airport located in INDIANAPOLIS, IN, US.