iFlightPlanner

 

...
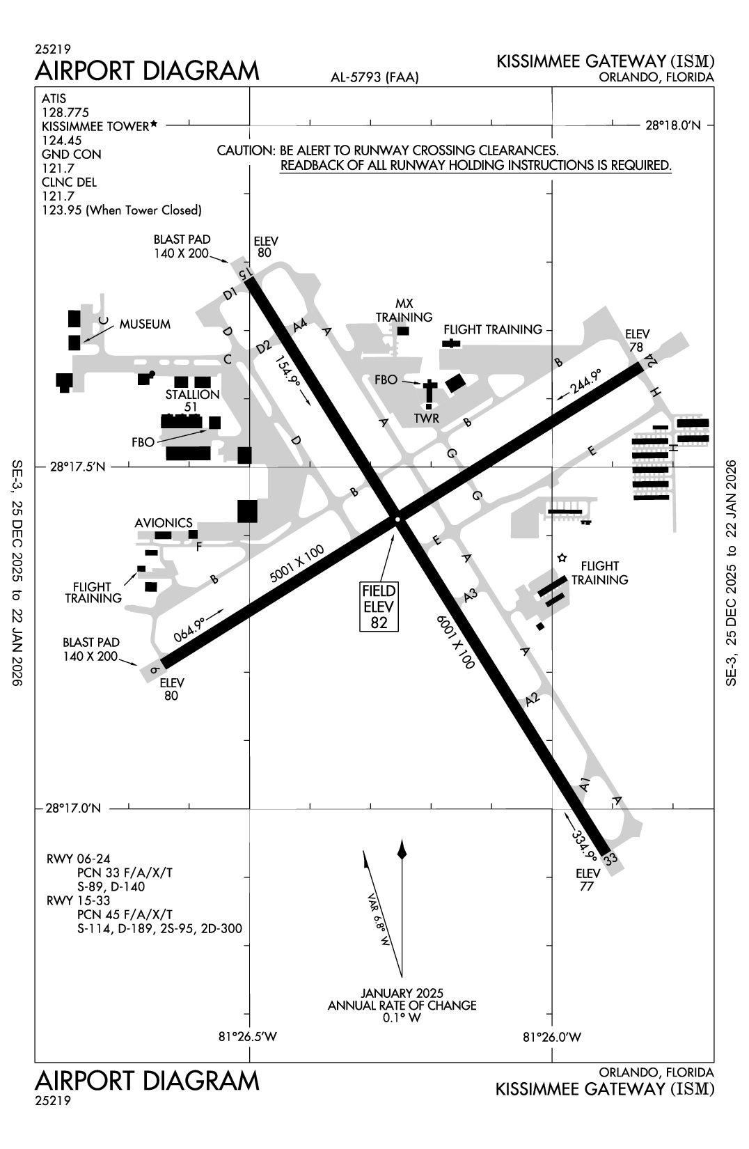
KISSIMMEE GATEWAY - Airport Diagram
LiveATC.net: Live Air Traffic - From Their Headsets to You

KISM
KISSIMMEE GATEWAY
PublicPUB

16 miles SW of ORLANDO, FL, US
LiveATC.net: Live Air Traffic - From Their Headsets to You
Operational
28° 17' 23"N 81° 26' 13"W
82' MSL
1082' MSL
07W
JET A, 100LL
SAINT PETERSBURG (PIE)
JACKSONVILLE
MIAMI (ZMA)
1/22/26-2/19/26
KISM VFR
6:56 PM EST  
Scattered 6,500'
10sm
76°F
55°F
30.02"Hg
270° 6kts
AO2 SLP166 T02440128 10278 20244 55003 $
METAR KISM 182356Z 27006KT 10SM SCT065 24/13 A3002 RMK AO2 SLP166 T02440128 10278 20244 55003 $

KISM FBOs

Velocity Aviation (fka, Odyssey Aviation)
UNICOM: 128.9
Phone: (407) 846-8001
No Rating Available
0 Reviews (Read | Sign In To Write)
AEG
As of 1/26
100LL JET A JET A (FSII) MOGAS UL94
Self Serve
Full Serve 5.80 5.87 5.97
Fuel Notes
Prices include tax
Signature Aviation
UNICOM: 122.775
Phone: (407) 846-6128
No Rating Available
0 Reviews (Read | Sign In To Write)
Independent
As of 2/18
100LL JET A JET A (FSII) MOGAS UL94
Self Serve
Full Serve 5.86 6.78
Fuel Notes
Prices include tax

KISM Aircraft Service & Maintenance

Integrity Aero
Phone: (407) 433-4705
No Rating Available
0 Reviews (Read | Sign In To Write)
Cirrus Aircraft Factory Service Center - Kissimmee
Phone: (689) 260-0066
No Rating Available
0 Reviews (Read | Sign In To Write)

KISM Flight Schools & Aircraft Rental

South Avionics Training Center
Phone: (407) 377-6080
No Rating Available
0 Reviews (Read | Sign In To Write)

KISM Other Aviation Services

Sheltair
Phone: (407) 854-1818
No Rating Available
0 Reviews (Read | Sign In To Write)
X

Send Message to Airport Company
Enter your information and message below.

Your Information
 
Processing 

Weather and Advisory

ATIS 128.775
AWOS-3PT (407) 847-0533

Common

CTAF 124.45
WHEN ATCT CLSD ACTVT MALSF RWY 15; REIL RWY 06 & 24 & 33; PAPI RWY 06, 15, 24, & 33; MIRL RWY 06/24 & 15/33 - CTAF.
UNICOM 122.95

Clearance

Clearance Delivery 121.7
Clearance Delivery 123.95
WHEN TWR CLSD

Ground

KISSIMMEE GROUND 121.7
0700-2200

Tower

KISSIMMEE TOWER 124.45
0700-2200

Arrival

ALYNA STAR 124.8
BITHO STAR 128.375
JAFAR STAR 134.05
JOKRS STAR 134.05
LEESE STAR 128.675
LEESE STAR 134.05
MINEE STAR 134.05
PRICY STAR 134.05
RIDES STAR 128.375
SHREK STAR 128.675
SHREK STAR 134.05
SNFLD STAR 128.375

Approach

ORLANDO APPROACH 119.4

Departure

ORLANDO DEPARTURE 119.4

Terminal Area Forecast

KISM
Wed, 2/18 6:36 PM EST
Wed, 2/18 7:00 PM EST - Thu, 2/19 7:00 PM EST
VFR
7:00 PM EST - 4:00 AM EST
Scattered 25,000'
Few 6,000'
6sm
250° 5kts
MVFR
4:00 AM EST - 10:00 AM EST
Mist
Broken 1,000'
Scattered 400'
3sm
VRB° 4kts
LIFR
Temporary 5:00 AM EST - 8:00 AM EST
Fog
Overcast 1,000'
Broken 400'
0.5sm
Calm
VFR
10:00 AM EST - 1:00 PM EST
Scattered 25,000'
Scattered 2,000'
6sm
200° 8kts
VFR
1:00 PM EST - 7:00 PM EST
Scattered 25,000'
Scattered 5,000'
6sm
230° 10kts
TAF KISM 182336Z 1900/1924 25005KT P6SM FEW060 SCT250
   FM190900 VRB04KT 3SM BR SCT004 BKN010
   TEMPO 1910/1913 1/2SM FG BKN004 OVC010
   FM191500 20008KT P6SM SCT020 SCT250
   FM191800 23010KT P6SM SCT050 SCT250
KISM
EffectiveExpiresCategoryNOTAM
Domestic
2/25/26
1230Z
2/25/26
2000Z
!ISM 02/015 ISM SVC AUTOMATED WX BCST SYSTEM U/S 2602251230-2602252000
2/24/26
1230Z
2/24/26
2000Z
!ISM 02/014 ISM SVC AUTOMATED WX BCST SYSTEM U/S 2602241230-2602242000
2/19/26
1400Z
2/19/26
2200Z
!ISM 02/009 ISM AIRSPACE FLTCK ACFT OPS WI AN AREA DEFINED AS 5NM RADIUS OF ISM SFC-3500FT AGL ACFT CS FLC66 2602191400-2602192200
2/18/26
0511Z
3/5/26
0411Z
!ISM 02/013 ISM OBST TOWER LGT (ASR 1218161) 281937.90N0812418.40W (2.9NM NE ISM) 249.0FT (160.1FT AGL) U/S 2602180511-2603050411
2/2/26
1912Z
3/2/26
2200Z
!ISM 02/001 ISM SVC PCL ALL U/S EXC MEDIUM INTST ON CONS 2602021912-2603022200
1/24/26
2018Z
4/30/26
2359Z
Runway!ISM 01/024 ISM RWY 33 PAPI U/S 2601242018-2604302359
FDC
2/19/26
1300Z
2/26/26
1616Z
!FDC 6/5855 ISM IAP KISSIMMEE GATEWAY, ORLANDO, FL.
ILS OR LOC RWY 15, AMDT 1A...
MISSED APPROACH: CLIMB TO 600 THEN CLIMBING RIGHT TURN TO 2200 ON HEADING 190 AND LAL VORTAC R-074 TO TEMPE/LAL 27.37 DME/RADAR AND HOLD (DME OR RADAR REQUIRED).
RADAR OR DME REQUIRED EXCEPT FOR ACFT EQUIPPED WITH SUITABLE RNAV SYSTEM WITH GPS,
ORL VORTAC OUT OF SERVICE. 2602191300-2602261616EST
2/3/26
1452Z
3/12/26
1452Z
!FDC 6/9828 ISM ODP KISSIMMEE GATEWAY, ORLANDO, FL.
TAKEOFF MINIMUMS AND (OBSTACLE) DEPARTURE PROCEDURES ORIG-A...
ADD TAKEOFF OBSTACLE NOTE: RWY 15, TEMPORARY CRANES BEGINNING 2431FT FROM DER, BEGINNING 3FT LEFT OF CENTERLINE, UP TO 100FT AGL/ 167FT MSL (2024-ASO-15605/15609/15613-OE). TEMPORARY CRANE 2574FT FROM DER, 48FT RIGHT OF CENTERLINE, 95FT AGL/ 161FT MSL (2024-ASO-15616-OE). ALL OTHER DATA REMAINS AS PUBLISHED. 2602031452-2603121452EST
12/1/25
1828Z
!FDC 5/2990 ISM IAP KISSIMMEE GATEWAY, ORLANDO, FL.
ILS OR LOC RWY 15, AMDT 1A...
VDP NA, I-ISM DME OUT OF SERVICE.
2512011828-2607131828EST
4/11/25
1612Z
!FDC 5/5433 ISM IAP KISSIMMEE GATEWAY, ORLANDO, FL.
RNAV (GPS) RWY 15, AMDT 1A...
LPV DA 332/HAT 250, VISIBILITY ALL CATS 1; LNAV/VNAV DA 557/HAT 475.
2504111612-2704151612EST
4/11/25
1612Z
!FDC 5/5429 ISM IAP KISSIMMEE GATEWAY, ORLANDO, FL.
ILS OR LOC RWY 15, AMDT 1A...
S-ILS 15 DA 332/HAT 250, VISIBILITY ALL CATS 1; S-LOC 15 MDA 460/HAT 378.
2504111612-2704151611EST
4/3/25
1702Z
!FDC 5/1859 ISM IAP KISSIMMEE GATEWAY, ORLANDO, FL.
ILS OR LOC RWY 15, AMDT 1A...
ALTERNATE MINIMUMS NA.
2504031702-2704031702EST
2/27/25
1300Z
!FDC 5/7349 ISM IAP KISSIMMEE GATEWAY, ORLANDO, FL.
RNAV (GPS) RWY 33, AMDT 2C...
LPV DA 387/HAT 305 ALL CATS. CHANGE NOTE TO READ: WHEN LOCAL ALTIMETER SETTING NOT RECEIVED, USE ORLANDO INTL ALTIMETER SETTING AND INCREASE ALL LPV DA TO 415, ALL LNAV/VNAV DA TO 429, NAD ALL MDA 40 FEET; INCREASE LNAV/VNAV ALL CATS VISIBILITY 1/8 SM, LNAV CAT C/D AND CIRCLING CAT C VISIBILITY 1/4 SM. TEMPORARY CRANES UP TO 167 MSL BEGINNING 2468FT SE OF RWY 33 (2024-ASO-15605/15609/15613/15616-OE).
2502271300-2603151300EST
3/29/24
1220Z
3/19/26
0900Z
!FDC 4/4028 ISM STAR KISSIMMEE GATEWAY AIRPORT, KISSIMMEE, FL. SNFLD
THREE RNAV ARRIVAL..X SNFLD AT OR ABV 12000FT.
2403291220-2603190900
Yes
0700-2200
CITY OF KISSIMMEE
101 CHURCH STREET
KISSIMMEE, FL 34741
Phone: 407-847-2821
SHAUN GERMOLUS
KISSIMMEE GATEWAY AIRPORT 401 DYER BOULEVARD
KISSIMMEE, FL 34741
Phone: 407-518-2516
SAINT PETERSBURG FSS (PIE)
Toll Free: 1-800-WX-BRIEF
ISM
--
WHEN ATCT CLSD ACTVT MALSF RWY 15; REIL RWY 06 & 24 & 33; PAPI RWY 06, 15, 24, & 33; MIRL RWY 06/24 & 15/33 - CTAF.
N/A
Yes - Lighted
Yes
Yes
Hanger, Tie-Down
NOT a Landing Rights Airport
NOT an Airport of Entry
Major
Major
None
High Pressure
Air Freight
Air Ambulance
Avionics
Cargo Handling
Charter Service
Pilot Instruction
Aircraft Rental
Aircraft Sales
Annual Surveying

Runway 06/24

5001 ft. x 100 ft.
ASPH  
Good 
GRVD 
MED 
33/F/A/X/T 
89,000lbs 
140,000lbs 
-- 
-- 
  Runway 06 Runway 24
True Heading 58°238°
Traffic Pattern Right Left
Markings NPI NPI
Markings Condition GOOD GOOD
Latitude 28° 17' 13"N 28° 17' 39"N
Longitude 81° 26' 39"W 81° 25' 51"W
Elevation 80' 78'
Threshold Crossing Height 45 ft. AGL 45 ft. AGL
Visual Glide Path Angle
Visual Slope Indicator P4L P4L
Approach Lights
Centerline Lights
Runway End Identifier Lights Yes Yes

Runway 15/33

6001 ft. x 100 ft.
ASPH  
Fair 
GRVD 
MED 
45/F/A/X/T 
114,000lbs 
189,000lbs 
300,000lbs 
-- 
  Runway 15 Runway 33
True Heading 148°328°
Traffic Pattern Right Left
Markings PIR NPI
Markings Condition FAIR FAIR
Latitude 28° 17' 46"N 28° 16' 56"N
Longitude 81° 26' 30"W 81° 25' 55"W
Elevation 80' 77'
Threshold Crossing Height 49 ft. AGL 48 ft. AGL
Visual Glide Path Angle
Visual Slope Indicator P4L P4L
Approach Lights MALSF
Centerline Lights
Runway End Identifier Lights Yes
A110-1NOISE SENSITIVE AREA 1/2 MI N OF AER 24. DEP RWY 06 EARLY TURNOUTS NA.
A110-10LNDG FEE: CTC ARPT OR CK ARPT WEBSITE FOR DTLS, EXEMPTIONS.
A110-2REQ ALL JETS/TURBO PROPS USE NBAA CLOSE-IN PROC.
A110-5ULTRALGT ACFT NA EXCEPT PPR - AMGR.
A110-7LOW LVL VFR HEL, WILDLIFE & BIRDS ON & INVOF ARPT.
A110-8HEL RUN ON LNDG NA.
A110-9RWY 15 HAS UNLGTED OBSTNS PRESENT IN THE APCH DUE TO 52 FT TREES 1960 FT BFR AER.
A30A-06HOLDING BAY RSTRD TO ACFT WITH WINGSPAN OF 49 FT OR LESS.
A30A-15CALM WIND RWY.
A30A-33MULT UNLGT OBSTNS FIRST 3000 FT; 250-500 FT E & W OF CNTRLN.
A58-33+6 FT FENCE 190 FT FM RWY END 245 FT R OF CNTRLN.
A81-APTWHEN ATCT CLSD ACTVT MALSF RWY 15; REIL RWY 06 & 24 & 33; PAPI RWY 06, 15, 24, & 33; MIRL RWY 06/24 & 15/33 - CTAF.
KISSIMMEE GATEWAY (ICAO: KISM, IATA: ISM) is a public airport located in ORLANDO, FL, US.