iFlightPlanner

 

...
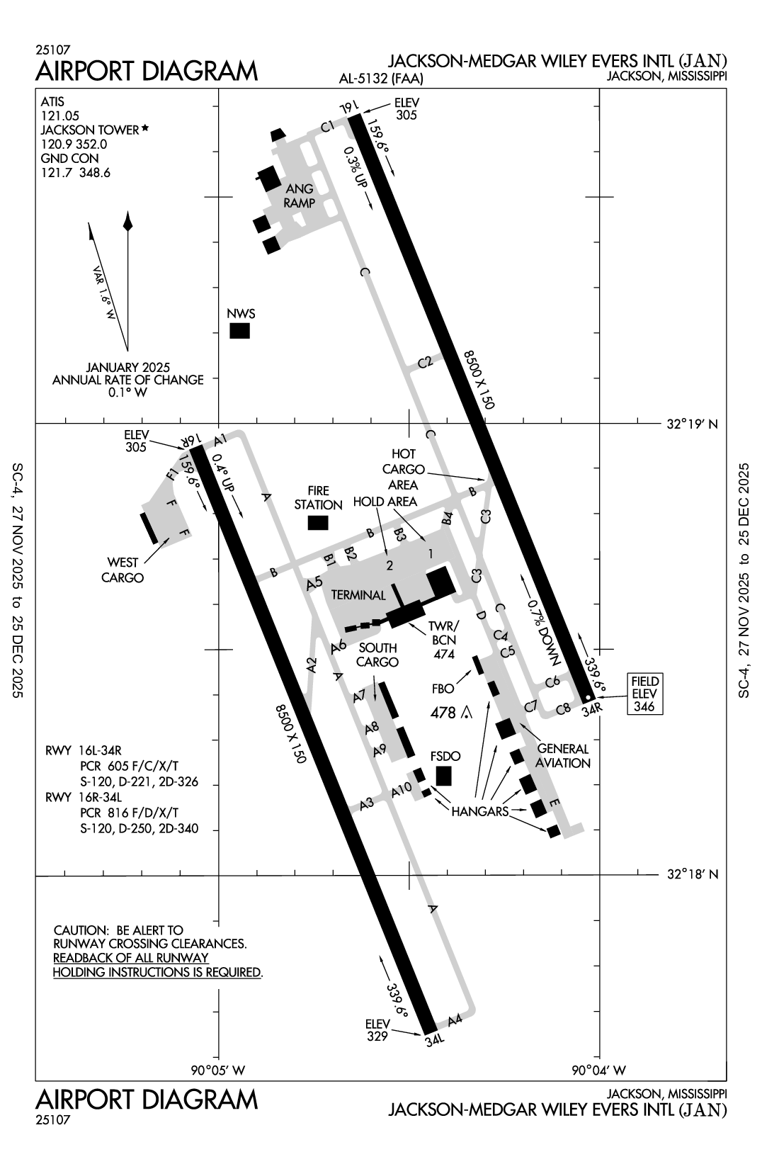
JACKSON-MEDGAR WILEY EVERS INTL - Airport Diagram
LiveATC.net: Live Air Traffic - From Their Headsets to You

KJAN
ICAO KJANIATA JANLocal JAN
JACKSON-MEDGAR WILEY EVERS INTL
PublicPUB

5 miles E of JACKSON, MS, US
LiveATC.net: Live Air Traffic - From Their Headsets to You
Status
Operational
Coordinates
32° 18' 40"N 90° 04' 33"W
Elevation
346' MSL
Pattern Alt
1346' MSL
Mag Variation
1°W
Declination
1°W
Fuel
JET A, JET A (FSII), 100LL
FSS
GREENWOOD (GWO)
Sectional
MEMPHIS
ARTCC
MEMPHIS (ZME)
Data Effective
4/16/26-5/14/26
KJAN VFR
9:54 PM CDT  
Broken 11,000'
Broken 8,000'
Broken 3,600'
10sm
77°F
70°F
29.94"Hg
180° 10kts
AO2 SLP133 T02500211 53007
METAR KJAN 290254Z 18010KT 10SM BKN036 BKN080 BKN110 25/21 A2994 RMK AO2 SLP133 T02500211 53007

KJAN FBOs

Atlantic Aviation
UNICOM: 122.95
Phone: (601) 939-9366
No Rating Available
0 Reviews (Read | Sign In To Write)
Independent
As of 4/22
100LL JET A JET A (FSII) MOGAS UL94
Self Serve
Full Serve 7.15 9.43
Fuel Notes
Prices include tax
X

Send Message to Airport Company
Enter your information and message below.

Your Information
 
Processing 

Weather and Advisory

ATIS 121.05
ASOS 121.05
(601) 769-1216

Common

CTAF 120.9
WHEN TWR CLSD ACTVT MALSR RWY 34L; REIL RWY 16R & 34R; HIRL RWY 16L/34R & 16R/34L - CTAF. RWY 16L ALSF-2 PRESET ON MED INTST EXC SFL NOT AVBL.
UNICOM 122.95

Ground

JACKSON GROUND 121.7
1200-0500Z++

Tower

JACKSON TOWER 120.9
1200-0500Z++

Approach

JACKSON APPROACH 123.9
Initial Contact - 333-152
JACKSON APPROACH 125.25
153-332

Departure

JACKSON DEPARTURE 123.9
Initial Contact - 333-152
JACKSON DEPARTURE 125.25
153-332

Center

JACKSON CENTER 132.5
LOW, APCH/DEP SVC PRVDD BY MEMPHIS ARTCC ON FREQS 132.5/259.1 (JACKSON RCAG) WHEN JACKSON APCH CTL CLSD.

Flight Service

Flight Service 122.2
(GWO)

Emergency

Emergency 121.5

Other

CLASS C 123.9
333-152
CLASS C 125.25
153-332

Terminal Area Forecast

KJAN
Tue, 4/28 6:28 PM CDT
Tue, 4/28 7:00 PM CDT - Wed, 4/29 7:00 PM CDT
VFR
7:00 PM CDT - 8:00 PM CDT
Mist
Overcast 7,000'
6sm
190° 12kts
VFR
8:00 PM CDT - 2:00 AM CDT
Light Thunderstorm and Rain and Mist
Overcast 5,000'
6sm
180° 10kts
Gusts 20kts
VFR
2:00 AM CDT - 6:00 AM CDT
Overcast 7,000'
6sm
190° 8kts
IFR
6:00 AM CDT - 10:00 AM CDT
Overcast 900'
6sm
200° 5kts
MVFR
10:00 AM CDT - 7:00 PM CDT
Mist
Overcast 1,500'
6sm
230° 8kts
TAF KJAN 282328Z 2900/2924 19012KT 6SM BR OVC070
   FM290100 18010G20KT 6SM -TSRA BR OVC050CB
   FM290700 19008KT P6SM OVC070
   FM291100 20005KT P6SM OVC009
   FM291500 23008KT 6SM BR OVC015
KJAN
EffectiveExpiresCategoryNOTAM
Domestic
4/29/26
1300Z
4/29/26
2000Z
!JAN 04/085 JAN SVC TAR/SSR U/S 2604291300-2604292000
4/28/26
1335Z
4/28/26
1900Z
Runway!JAN 04/083 JAN RWY 16L/34R WIP INSPECTION ADJ W SIDE 2604281335-2604281900
4/28/26
1100Z
4/28/26
1400Z
Runway!JAN 04/070 JAN RWY 16L/34R CLSD 2604281100-2604281400
4/28/26
0555Z
4/28/26
1000Z
!JAN 04/081 JAN AD AP SFC COND NOT REP 2604280555-2604281000
4/26/26
1119Z
5/11/26
1019Z
!JAN 04/068 JAN OBST TOWER LGT (ASR 1247682) 320909.60N0895315.10W (13.4NM SE JAN) 707.0FT (310.0FT AGL) U/S 2604261119-2605111019
4/23/26
1155Z
7/22/26
0400Z
!JAN 04/055 JAN OBST TOWER LGT (ASR 1035159) 321850.80N0900203.60W (2.1NM E JAN) 596.8FT (215.9FT AGL) U/S 2604231155-2607220400
4/17/26
1518Z
5/17/26
2359Z
!JAN 04/044 JAN OBST TOWER LGT (ASR 1201847) 321530.00N0894719.00W (14.9NM ESE JAN) 948.2FT (498.7FT AGL) U/S 2604171518-2605172359
4/6/26
1716Z
5/6/26
2300Z
!JAN 04/011 JAN OBST TOWER LGT (ASR 1049682) 321530.00N0894722.00W (14.9NM ESE JAN) 1397.0FT (937.0FT AGL) U/S 2604061716-2605062300
4/6/26
1314Z
7/5/26
0400Z
!JAN 04/010 JAN OBST TOWER LGT (ASR 1232461) 322241.70N0895741.80W (7.1NM NE JAN) 618.1FT (308.1FT AGL) U/S 2604061314-2607050400
3/30/26
0939Z
4/29/26
2359Z
!JAN 03/077 JAN OBST TOWER LGT (ASR 1061019) 321406.50N0895346.30W (10.2NM ESE JAN) 854.3FT (303.1FT AGL) U/S 2603300939-2604292359
3/8/26
1314Z
5/6/26
2300Z
!JAN 03/025 JAN TWY C6 CLSD TO ACFT MORE THAN 550000LB 2603081314-2605062300
3/4/26
2030Z
6/2/26
0500Z
!JAN 03/013 JAN OBST TOWER LGT (ASR 1207489) 321612.20N0900441.90W (2.5NM S JAN) 507.9FT (150.9FT AGL) U/S 2603042030-2606020500
2/23/26
1721Z
5/24/26
0500Z
!JAN 02/069 JAN OBST TOWER LGT (ASR 1035160) 321608.50N0900443.50W (2.5NM S JAN) 549.9FT (194.9FT AGL) U/S 2602231721-2605240500
2/19/26
1432Z
5/18/26
2300Z
!JAN 02/058 JAN SVC ASR APCH U/S 2602191432-2605182300
2/13/26
1200Z
5/12/26
2300Z
!JAN 02/043 JAN OBST CRANE (ASN UNKNOWN) 321959N0900502W (1.38NM N JAN)
UNKNOWN (120FT AGL) FLAGGED AND LGTD 2602131200-2605122300
2/9/26
1407Z
5/8/26
1500Z
!JAN 02/031 JAN TWY A LGT BTN TWY A10 AND TWY A4 U/S 2602091407-2605081500
2/9/26
1407Z
5/8/26
2200Z
!JAN 02/030 JAN TWY A3 SFC MARKINGS NOT STD 2602091407-2605082200
2/9/26
1406Z
5/8/26
2200Z
!JAN 02/029 JAN TWY A3 CLSD 2602091406-2605082200
2/9/26
1406Z
5/8/26
2200Z
!JAN 02/028 JAN TWY A2 SFC MARKINGS NOT STD 2602091406-2605082200
2/9/26
1406Z
5/8/26
2300Z
!JAN 02/027 JAN TWY A8 CLSD 2602091406-2605082300
2/9/26
1405Z
5/8/26
2300Z
!JAN 02/026 JAN TWY A9 CLSD 2602091405-2605082300
2/9/26
1405Z
5/8/26
2300Z
!JAN 02/025 JAN TWY A7 CLSD 2602091405-2605082300
2/9/26
1405Z
5/8/26
2300Z
!JAN 02/024 JAN TWY A10 CLSD 2602091405-2605082300
2/9/26
1405Z
5/8/26
2300Z
!JAN 02/023 JAN TWY A4 CLSD 2602091405-2605082300
2/9/26
1404Z
5/8/26
2300Z
!JAN 02/022 JAN TWY A BTN TWY A3 AND TWY A4 CLSD 2602091404-2605082300
2/9/26
1404Z
5/8/26
2300Z
!JAN 02/021 JAN TWY B3 CLSD 2602091404-2605082300
2/9/26
1404Z
5/8/26
2300Z
!JAN 02/020 JAN TWY B1 NONMOVEMENT AREA 2602091404-2605082300
2/9/26
1404Z
5/8/26
2300Z
!JAN 02/019 JAN TWY B BTN TWY A AND TWY B2 NONMOVEMENT AREA 2602091404-2605082300
2/9/26
1403Z
5/8/26
2300Z
!JAN 02/018 JAN TWY B2 CLSD 2602091403-2605082300
2/9/26
1403Z
5/8/26
2300Z
!JAN 02/017 JAN TWY B BTN TWY B1 AND TWY B4 CLSD 2602091403-2605082300
2/9/26
1402Z
5/8/26
2300Z
!JAN 02/016 JAN TWY A2 CLSD 2602091402-2605082300
2/9/26
1402Z
5/8/26
2300Z
!JAN 02/015 JAN TWY A TWY DIRECTION SIGN BTN TWY A3 AND TWY A4 LGT U/S 2602091402-2605082300
12/31/25
0926Z
Runway!JAN 12/071 JAN RWY 34L RTHL U/S 2512310926-2606262000EST
FDC
4/29/26
1300Z
5/6/26
1732Z
!FDC 6/6508 JAN IAP JACKSON-MEDGAR WILEY EVERS INTL, JACKSON, MS.
ILS OR LOC RWY 34L, AMDT 7...
DME REQUIRED EXCEPT FOR ACFT EQUIPPED WITH SUITABLE RNAV SYSTEM WITH GPS,
MCB VORTAC OUT OF SERVICE. 2604291300-2605061732EST
4/29/26
1300Z
5/6/26
1732Z
!FDC 6/6507 JAN IAP JACKSON-MEDGAR WILEY EVERS INTL, JACKSON, MS.
ILS OR LOC RWY 16L, AMDT 9...
ILS RWY 16L (SA CAT I), AMDT 9...
ILS RWY 16L (CAT II AND III), AMDT 9...
DME REQUIRED EXCEPT FOR ACFT EQUIPPED WITH SUITABLE RNAV SYSTEM WITH GPS,
MCB VORTAC OUT OF SERVICE. 2604291300-2605061732EST
1/27/26
1247Z
!FDC 6/7308 JAN IAP JACKSON-MEDGAR WILEY EVERS INTL, JACKSON, MS.
VOR/DME OR TACAN RWY 16L, ORIG-B...
VOR/DME OR TACAN RWY 16R, ORIG-B...
VOR/DME OR TACAN RWY 34L, ORIG-B...
VOR/DME OR TACAN RWY 34R, ORIG-B...
TACAN PORTION NA,
MHZ TACAN AZIMUTH OUT OF SERVICE. 2601271247-2609081247EST
Military
4/21/26
1329Z
5/12/26
2359Z
AIR NTL GUARD RAMP NON-STD BLACK AND WHITE WINGTIP CLEARANCE MARKINGS FADED. LOCATED AT ENTRANCES TO ANG APRON FROM TWY C
Yes
ALL
CITY OF JACKSON
P.O. BOX 98109
JACKSON, MS 39298
Phone: 601-939-5631
ROSA BECKETT
100 INTERNATIONAL DRIVE SUITE 300
JACKSON, MS 39208
Phone: 601-939-5631
GREENWOOD FSS (GWO)
Toll Free: 1-800-WX-BRIEF
JAN
--
WHEN TWR CLSD ACTVT MALSR RWY 34L; REIL RWY 16R & 34R; HIRL RWY 16L/34R & 16R/34L - CTAF. RWY 16L ALSF-2 PRESET ON MED INTST EXC SFL NOT AVBL.
N/A
Yes - Lighted
Yes
No
Hanger, Tie-Down
Landing Rights Airport
NOT an Airport of Entry
Major
Major
High & Low Pressure
High & Low Pressure
Air Ambulance
Avionics
Charter Service

Runway 16L/34R

8500 ft. x 150 ft.
ASPH  
Good 
GRVD 
HIGH 
 
120,000lbs 
221,000lbs 
326,000lbs 
-- 
  Runway 16L Runway 34R
True Heading 158°338°
Traffic Pattern Left Left
Markings PIR PIR
Markings Condition GOOD GOOD
Latitude 32° 19' 41"N 32° 18' 24"N
Longitude 90° 04' 40"W 90° 04' 03"W
Elevation 305' 346'
Threshold Crossing Height 71 ft. AGL 66 ft. AGL
Visual Glide Path Angle
Visual Slope Indicator P4L P4R
Approach Lights ALSF2
Centerline Lights Yes Yes
Runway End Identifier Lights Yes

Runway 16R/34L

8500 ft. x 150 ft.
ASPH  
Excellent 
GRVD 
HIGH 
 
120,000lbs 
250,000lbs 
340,000lbs 
-- 
  Runway 16R Runway 34L
True Heading 158°338°
Traffic Pattern Left Left
Markings PIR PIR
Markings Condition GOOD GOOD
Latitude 32° 18' 57"N 32° 17' 39"N
Longitude 90° 05' 04"W 90° 04' 27"W
Elevation 305' 329'
Threshold Crossing Height 80 ft. AGL --
Visual Glide Path Angle --
Visual Slope Indicator P4L --
Approach Lights MALSR
Centerline Lights Yes Yes
Runway End Identifier Lights Yes
A110-1BRG STRENGTH RWY 16L/34R & 16R/34L: ST175.
A110-10MIL ACFT USE TWY C7 TO ACES THE FBO APRON UNLESS OTRW DRCTD BY ATC.
A110-11HOLD AREA 1 & 2 CMSND ON TERM APRON BTN TWY B3 & TWY B5.
A110-12FOR CD CTC MEMPHIS ARTCC AT 901-368-8453/8449.
A110-13CAUTION - BASH PHASE II PERIOD JUL-OCT. CTC AFLD MGMT OR COMD POST FOR CURRENT BIRD WATCH COND.
A110-14MILITARY: ANG: BASH PHASE II IN EFCT 1 JUL-31 OCT. CTC TWR, COMMAND POST OR AFM FOR BIRD HAZ. WILDLIFE MOST ACTV +/- 1 HR OF SS AND SR.
A110-15MILITARY: ANG: ARFF STS RDCD LEVEL OF SVC (RLS). MDT RISK FOR MIL ACFT CAT 4, 5, 6, 7, 8, AND 9. SEV RISK FOR MIL ACFT CAT 10.
A110-3JASU: 8(A/M32A-86D) 3(MC-1A).
A110-8MILITARY: ANG: OFFL BUS. ALL TRAN ACFT 48HR PPR. LTD PRK USE. CTC AFLD MGMT. TRAN ACFT USE FBO FOR SVC. AFLD MGMT OPR 1300-0230Z++ WKD, DSN 828-8372, C601-405-8372. COMD POST OPR 1200-0630Z++ WKD, DSN 828-8350, C601-405-8350. AFLD MGMT & COMD POST HAVE LTD COMSEC STORAGE. TOP SECRET STORAGE UNAVBL.
A110-9BE ALERT WHEN XNG AER 16R.
A24LDG FEE FOR NON-COML ACFT OVR 25500 LBS; FEE WAIVED FOR LRGR NON-SKED ACFT WITH SUF FUEL PURCHASE.
A38-16L/34RWT BRG CPTY FOR RWYS 16L/34R & 16R/34L ARE TRT585 TO ACCOMMODATE C-17 ACFT.
A39-16L/34RPCR VALUE: 605/F/C/X/T
A39-16R/34LPCR VALUE: 816/F/D/X/T
A81-APTWHEN TWR CLSD ACTVT MALSR RWY 34L; REIL RWY 16R & 34R; HIRL RWY 16L/34R & 16R/34L - CTAF. RWY 16L ALSF-2 PRESET ON MED INTST EXC SFL NOT AVBL.
JACKSON-MEDGAR WILEY EVERS INTL (ICAO: KJAN, IATA: JAN) is a public airport located in JACKSON, MS, US.