iFlightPlanner

 

...
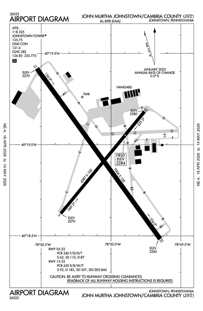
JOHN MURTHA JOHNSTOWN/CAMBRIA COUNTY - Airport Diagram
LiveATC.net: Live Air Traffic - From Their Headsets to You

KJST
JOHN MURTHA JOHNSTOWN/CAMBRIA COUNTY
PublicPUB

3 miles NE of JOHNSTOWN, PA, US
LiveATC.net: Live Air Traffic - From Their Headsets to You
Operational
40° 18' 56"N 78° 50' 05"W
2284' MSL
3284' MSL
10W
JET A, JET A (FSII), 100LL
ALTOONA (AOO)
DETROIT
CLEVELAND (ZOB)
1/22/26-2/19/26
KJST MVFR
2:54 AM EST  
Overcast 1,000'
7sm
2°F
-2°F
29.92"Hg
320° 11kts
AO2 SLP183 T11671189
METAR KJST 010754Z AUTO 32011KT 7SM OVC010 M17/M19 A2992 RMK AO2 SLP183 T11671189

KJST FBOs

Nulton Aviation Services
UNICOM: 122.95
Phone: (814) 361-3500
Other: (814) 254-2421
No Rating Available
0 Reviews (Read | Sign In To Write)
Other
As of 1/27
100LL JET A JET A (FSII) MOGAS UL94
Self Serve
Full Serve 6.01 4.64 4.72
Fuel Notes
Prices include tax
X

Send Message to Airport Company
Enter your information and message below.

Your Information
 
Processing 

Weather and Advisory

ATIS 118.325
ASOS (814) 535-3511

Common

CTAF 125.75
WHEN TWR CLSD ACTVT MALSR RWY 33; PAPI RWY 33; HIRL RWY 15/33, MIRL RWY 5/23 AND ALL TWY LGTS - CTAF. PAPI RWY 05 UNAVBL WHEN ATCT CLSD.
UNICOM 122.95
UNICOM FREQ 122.950 AVBL FOR GND SVCS ONLY.

Clearance

Clearance Delivery 126.85

Ground

JOHNSTOWN GROUND 121.6
0700-2300

Tower

JOHNSTOWN TOWER 125.75
0700-2300

Approach

JOHNSTOWN APPROACH 121.2

Departure

JOHNSTOWN DEPARTURE 121.2

Operations

Operations 138.55
ARNG KEYSTONE

Center

JOHNSTOWN CENTER 124.4
LOW, APCH/DEP SVC PRVDD BY CLEVELAND ARTCC (ZOB) ON FREQS 124.4/327.1 (ALTOONA RCAG ) WHEN JOHNSTOWN APCH CTL CLSD.

Military

ARNG OPS 46.75
KEYSTONE OPS

Terminal Area Forecast

KJST
Sun, 2/1 12:20 AM EST
Sun, 2/1 1:00 AM EST - Mon, 2/2 1:00 AM EST
MVFR
1:00 AM EST - 5:00 AM EST
Overcast 1,300'
6sm
310° 11kts
IFR
5:00 AM EST - 9:00 AM EST
Overcast 700'
6sm
300° 9kts
LIFR
9:00 AM EST - 1:00 PM EST
Overcast 300'
6sm
300° 12kts
Gusts 20kts
MVFR
1:00 PM EST - 11:00 PM EST
Overcast 1,500'
6sm
300° 15kts
Gusts 22kts
IFR
11:00 PM EST - 1:00 AM EST
Overcast 700'
6sm
290° 13kts
TAF KJST 010520Z 0106/0206 31011KT P6SM OVC013
   FM011000 30009KT P6SM OVC007
   FM011400 30012G20KT P6SM OVC003
   FM011800 30015G22KT P6SM OVC015
   FM020400 29013KT P6SM OVC007
KJST
EffectiveExpiresCategoryNOTAM
Domestic
2/1/26
0806Z
2/2/26
0800Z
!JST 02/003 JST AD AP ALL SFC WIP SNOW REMOVAL 2602010806-2602020800
2/1/26
0805Z
2/2/26
0805Z
Runway!JST 02/002 JST RWY 23 FICON 3/3/3 25 PCT 1/8IN DRY SN OVER COMPACTED SN AND 40 PCT 1/8IN DRY SN, 60 PCT 1/8IN DRY SN OVER COMPACTED SN AND 40 PCT 1/8IN DRY SN, 50 PCT 1/8IN DRY SN OVER COMPACTED SN AND 40 PCT 1/8IN DRY SN 30IN SNOWBANKS OBS AT 2602010805. 2602010805-2602020805
2/1/26
0805Z
2/2/26
0805Z
Runway!JST 02/001 JST RWY 33 FICON 3/3/3 75 PCT 1/8IN DRY SN OVER COMPACTED SN AND 25 PCT 1/8IN DRY SN OVER ICE SANDED 75FT WID 30IN SNOWBANKS OBS AT 2602010805. 2602010805-2602020805
1/31/26
2204Z
5/31/26
2204Z
!JST 01/285 JST OBST TOWER LGT (ASR 1234653) 402323.70N0790539.80W (12.6NM WNW JST) 1755.9FT (355.0FT AGL) U/S 2601312204-2605312204
1/31/26
1831Z
2/1/26
1831Z
!JST 01/284 JST APRON MAIN RAMP FICON 1/8IN DRY SN OVER ICE AND 1/8IN DRY SN OVER COMPACTED SN 30IN SNOWBANKS BA POOR OBS AT 2601311831. 2601311831-2602011831
1/31/26
1830Z
2/1/26
1830Z
!JST 01/283 JST TWY A, B, C, D, F, M, E FICON PATCHY 1/8IN DRY SN OVER ICE AND PATCHY 1/8IN DRY SN OVER COMPACTED SN 30IN SNOWBANKS BA POOR OBS AT 2601311830. 2601311830-2602011830
1/30/26
1853Z
2/2/26
2300Z
Runway!JST 01/276 JST RWY 05/23 SFC MARKINGS OBSC 2601301853-2602022300
1/30/26
1433Z
!JST 01/272 JST TWY ALL SFC MARKINGS OBSC 2601301433-2602061700EST
1/30/26
0953Z
!JST 01/265 JST TWY B1, B2, A1 CLSD 2601300953-2602061700EST
1/30/26
0952Z
!JST 01/263 JST TWY F1, F2, G CLSD 2601300952-2602271700EST
1/30/26
0950Z
Runway!JST 01/262 JST RWY 33 PAPI U/S 2601300950-2602061700EST
1/30/26
0155Z
Runway!JST 01/260 JST RWY 33 RAI LGT U/S 2601300155-2603272000EST
1/29/26
0942Z
!JST 01/259 JST APRON MAIN RAMP SFC MARKINGS OBSC 2601290942-2602021700EST
1/29/26
0942Z
Runway!JST 01/258 JST RWY 15/33 SFC MARKINGS OBSC 2601290942-2602021700EST
1/29/26
0941Z
Runway!JST 01/257 JST RWY 23 RWY END ID LGT U/S 2601290941-2602061700EST
1/28/26
0808Z
3/14/26
0807Z
!JST 01/248 JST OBST TOWER LGT (ASN 2025-AEA-2389-OE) 401638N0784342W (5.3NM ESE JST) 2826FT (260FT AGL) U/S 2601280808-2603140807
1/24/26
1654Z
5/24/26
1654Z
!JST 01/218 JST OBST TOWER LGT (ASR 1287440) 401024.40N0784912.30W (8.6NM S JST) 2554.8FT (258.9FT AGL) U/S 2601241654-2605241654
12/23/25
1020Z
2/6/26
1019Z
!JST 12/227 JST OBST TOWER LGT (ASR 1024678) 401945.00N0785353.00W (3.0NM WNW JST) 2328.1FT (503.9FT AGL) U/S 2512231020-2602061019
12/3/25
1912Z
4/2/26
1912Z
!JST 12/026 JST OBST TOWER LGT (ASR 1223759) 401957.90N0785754.40W (6.0NM W JST) 1922.9FT (255.9FT AGL) U/S 2512031912-2604021912
11/19/25
1900Z
2/17/26
0500Z
!JST 11/041 JST OBST TOWER LGT (ASR 1235110) 402545.30N0785958.50W (10.1NM NW JST) 1673.9FT (264.8FT AGL) U/S 2511191900-2602170500
FDC
12/15/25
1956Z
!FDC 5/9401 JST ODP JOHN MURTHA JOHNSTOWN/CAMBRIA COUNTY, JOHNSTOWN, PA.
TAKEOFF MINIMUMS AND (OBSTACLE) DEPARTURE PROCEDURES AMDT 4A...
TAKE-OFF MINIMUMS: RWY 15, STANDARD WITH MINIMUM CLIMB OF 220 FT PER NM TO 3600. PERM WIND TURBINES UP TO 3246FT MSL BEGINNING 5.8NM SOUTHEAST OF RWY 15 (42-160875, 42-160874, 42-160877).
ALL OTHER DATA REMAINS AS PUBLISHED. 2512151956-2712151951EST
11/25/25
1504Z
!FDC 5/1488 JST IAP JOHN MURTHA JOHNSTOWN/CAMBRIA COUNTY, JOHNSTOWN, PA.
VOR Y RWY 15, AMDT 9B...
VOR Z RWY 15, AMDT 7B...
PROCEDURE NA.
2511251504-2607071504EST
8/25/25
1637Z
!FDC 5/2885 JST IAP JOHN MURTHA JOHNSTOWN/CAMBRIA COUNTY, JOHNSTOWN, PA.
VOR Z RWY 23, AMDT 4B...
TERMINAL ROUTES FROM JST VOR/DME TO JUDEY/JST 10.00 DME/RADAR MINIMUM ALTITUDE 4600..
2508251637-2708271637EST
7/10/25
1452Z
!FDC 5/6239 JST IAP JOHN MURTHA JOHNSTOWN/CAMBRIA COUNTY, JOHNSTOWN, PA.
ILS OR LOC RWY 33, AMDT 7C...
S-ILS 33 DA 2520/HAT 239 ALL CATS..
2507101452-2602191452EST
Yes
0700-2300
JOHNSTOWN-CAMBRIA CO APT AUTH
479 ARPT ROAD
JOHNSTOWN, PA 15904
Phone: 814-536-0002
CORY CREE
479 ARPT ROAD
JOHNSTOWN, PA 15904
Phone: 814-536-0002
ALTOONA FSS (AOO)
Toll Free: 1-800-WX-BRIEF
JST
--
WHEN TWR CLSD ACTVT MALSR RWY 33; PAPI RWY 33; HIRL RWY 15/33, MIRL RWY 5/23 AND ALL TWY LGTS - CTAF. PAPI RWY 05 UNAVBL WHEN ATCT CLSD.
N/A
Yes - Lighted
No
Yes
Hanger, Tie-Down
No
Major
Major
None
None
Air Freight
Charter Service
Pilot Instruction
Aircraft Rental
Annual Surveying

Runway 05/23

4387 ft. x 100 ft.
ASPH  
Good 
GRVD 
MED 
 
62,000lbs 
87,000lbs 
-- 
-- 
  Runway 05 Runway 23
True Heading 39°219°
Traffic Pattern Left Left
Markings NPI NPI
Markings Condition GOOD GOOD
Latitude 40° 18' 37"N 40° 19' 11"N
Longitude 78° 50' 22"W 78° 49' 46"W
Elevation 2,270' 2,280'
Threshold Crossing Height 44 ft. AGL 45 ft. AGL
Visual Glide Path Angle
Visual Slope Indicator P4L V4L
Approach Lights
Centerline Lights
Runway End Identifier Lights Yes Yes

Runway 15/33

7004 ft. x 150 ft.
CONC  
Good 
GRVD 
HIGH 
 
93,000lbs 
183,000lbs 
357,000lbs 
845,000lbs 
  Runway 15 Runway 33
True Heading 144°324°
Traffic Pattern Left Left
Markings PIR PIR
Markings Condition GOOD GOOD
Latitude 40° 19' 25"N 40° 18' 29"N
Longitude 78° 50' 32"W 78° 49' 39"W
Elevation 2,270' 2,260'
Threshold Crossing Height 52 ft. AGL 53 ft. AGL
Visual Glide Path Angle
Visual Slope Indicator V4L P4R
Approach Lights MALSR
Centerline Lights
Runway End Identifier Lights
A110-10TWY B BTN RWY 05/23 AND TWY B2 RSTRD TO ACFT WITH WINGSPAN 78 FT OR LESS.
A110-3ARNG: RSTD PPR 24 HR, CALL DUR NML DUTY HOURS 1300-2130Z++ EXC WKEND AND HOL. CTC OPS C814-532-7720. ALL TFC TO ARNG MILITARY RAMP CTC KEYSTONE OPS: 138.55, 241.35, 46.75, RAMP DECONFLICTION 46.75.
A110-7DEER & BIRDS ON & INVOF ARPT.
A110-9FOR CD CTC JOHNSTOWN APCH AT 814-532-5960, WHEN APCH CLSD CTC CLEVELAND ARTCC AT 440-774-0213.
A2648 HR PPR FOR UNSKED ACR OPS WITH MORE THAN 30 PAX SEATS; CALL AMGR 814-536-0002.
A35-05/232S-110.
A39-05/23PCR VALUE: 240/F/D/X/T
A39-15/33PCR VALUE: 630/R/B/W/T
A81-APTWHEN TWR CLSD ACTVT MALSR RWY 33; PAPI RWY 33; HIRL RWY 15/33, MIRL RWY 5/23 AND ALL TWY LGTS - CTAF. PAPI RWY 05 UNAVBL WHEN ATCT CLSD.
A82UNICOM FREQ 122.950 AVBL FOR GND SVCS ONLY.
JOHN MURTHA JOHNSTOWN/CAMBRIA COUNTY (ICAO: KJST, IATA: JST) is a public airport located in JOHNSTOWN, PA, US.