iFlightPlanner

 

...
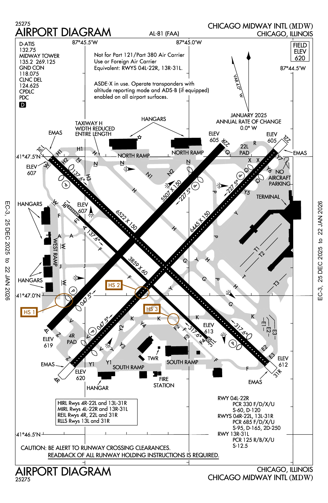
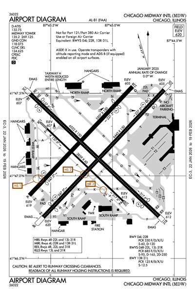
CHICAGO MIDWAY INTL - Airport Diagram
LiveATC.net: Live Air Traffic - From Their Headsets to You

KMDW
ICAO KMDWIATA MDWLocal MDW
CHICAGO MIDWAY INTL
PublicPUB

9 miles SW of CHICAGO, IL, US
LiveATC.net: Live Air Traffic - From Their Headsets to You
Status
Operational
Coordinates
41° 47' 08"N 87° 45' 10"W
Elevation
620' MSL
Pattern Alt
1620' MSL
Mag Variation
4°W
Declination
4°W
Fuel
JET A-1+, 100LL
FSS
KANKAKEE (IKK)
Sectional
CHICAGO
ARTCC
CHICAGO (ZAU)
Data Effective
2/19/26-3/19/26
KMDW VFR
3:53 PM CST  
Light Snow
Overcast 3,900'
10sm
26°F
11°F
30.30"Hg
330° 17kts
Gusts 21kts
AO2 SLP277 P0000 T10331117
METAR KMDW 222153Z 33017G21KT 10SM -SN OVC039 M03/M12 A3030 RMK AO2 SLP277 P0000 T10331117

KMDW FBOs

Atlantic Aviation
UNICOM: 131.425
Phone: (773) 582-5720
No Rating Available
0 Reviews (Read | Sign In To Write)
Independent
As of 2/11
100LL JET A JET A (FSII) MOGAS UL94
Self Serve
Full Serve 8.47 8.62
Fuel Notes
Prices include tax
Signature Aviation
UNICOM: 128.925
Phone: (773) 767-4400
No Rating Available
0 Reviews (Read | Sign In To Write)
Independent
As of 2/18
100LL JET A JET A (FSII) MOGAS UL94
Self Serve
Full Serve 8.99 8.55
Fuel Notes
Prices include tax

KMDW Aircraft Service & Maintenance

Advanced Technology Deployment
Phone: (708) 421-1225
No Rating Available
0 Reviews (Read | Sign In To Write)
X

Send Message to Airport Company
Enter your information and message below.

Your Information
 
Processing 

Weather and Advisory

Digital ATIS 132.75
(773) 581-9967
ASOS (773) 884-4424

Common

UNICOM 122.95

Clearance

Clearance Delivery 124.625

Ground

MIDWAY GROUND 118.075

Tower

MIDWAY TOWER 135.2

Approach

CHICAGO APPROACH 128.2
CHICAGO APPROACH 126.05
Secondary

Departure

CHICAGO DEPARTURE 128.2
CHICAGO DEPARTURE 126.05
Secondary

Emergency

Emergency 121.5

Other

CLASS C 119.45
CLASS C/S 135.2
Secondary

Terminal Area Forecast

KMDW
Sun, 2/22 11:20 AM CST
Sun, 2/22 12:00 PM CST - Mon, 2/23 6:00 PM CST
MVFR
12:00 PM CST - 1:00 AM CST
Light Snow
Overcast 3,500'
Broken 2,500'
6sm
320° 17kts
Gusts 26kts
MVFR
2:00 PM CST - 6:00 PM CST
Light Snow
Overcast 2,000'
3sm
Calm
VFR
1:00 AM CST - 8:00 AM CST
Light Snow
Broken 3,500'
Scattered 2,500'
6sm
330° 16kts
Gusts 24kts
VFR
8:00 AM CST - 3:00 PM CST
Broken 3,500'
Few 2,500'
6sm
340° 14kts
Gusts 23kts
VFR
3:00 PM CST - 6:00 PM CST
Broken 3,500'
Few 2,500'
6sm
340° 11kts
TAF KMDW 221720Z 2218/2324 32017G26KT P6SM -SN BKN025 OVC035
   PROB30 2220/2224 3SM -SN OVC020
   FM230700 33016G24KT P6SM -SN SCT025 BKN035
   FM231400 34014G23KT P6SM FEW025 BKN035
   FM232100 34011KT P6SM FEW025 BKN035
KMDW
EffectiveExpiresCategoryNOTAM
Domestic
2/23/26
2300Z
2/24/26
0500Z
!MDW 02/407 MDW TWY G BTN TWY E1 AND TWY Y CLSD EXC ACFT DEICING 2602232300-2602240500
2/23/26
2300Z
2/24/26
0500Z
!MDW 02/405 MDW TWY P BTN TWY G AND TWY H CLSD EXC ACFT DEICING 2602232300-2602240500
2/23/26
2300Z
2/24/26
0500Z
!MDW 02/402 MDW TWY K BTN RWY 13L/31R AND TWY E1 CLSD EXC ACFT DEICING 2602232300-2602240500
2/23/26
1030Z
2/23/26
1700Z
!MDW 02/406 MDW TWY G BTN TWY E1 AND TWY Y CLSD EXC ACFT DEICING 2602231030-2602231700
2/23/26
1030Z
2/23/26
1700Z
!MDW 02/403 MDW TWY P BTN TWY G AND TWY H CLSD EXC ACFT DEICING 2602231030-2602231700
2/23/26
1030Z
2/23/26
1700Z
!MDW 02/401 MDW TWY K BTN RWY 13L/31R AND TWY E1 CLSD EXC ACFT DEICING 2602231030-2602231700
2/22/26
2316Z
2/23/26
2316Z
Runway!MDW 02/409 MDW RWY 31R FICON 5/5/5 100 PCT WET OBS AT 2602222315. 2602222316-2602232316
2/22/26
1101Z
2/23/26
1101Z
!MDW 02/396 MDW TWY ALL FICON 1/8IN DRY SN OBS AT 2602221101. 2602221101-2602231101
2/22/26
1043Z
2/23/26
1043Z
!MDW 02/395 MDW APRON ALL FICON WET DEICED LIQUID OBS AT 2602221043. 2602221043-2602231043
2/22/26
1004Z
2/23/26
0400Z
!MDW 02/391 MDW TWY G BTN TWY Y AND TWY E1 CLSD EXC ACFT DEICING 2602221004-2602230400
2/22/26
1004Z
2/23/26
0400Z
!MDW 02/390 MDW TWY P BTN TWY G AND TWY H CLSD EXC ACFT DEICING 2602221004-2602230400
2/22/26
1003Z
2/23/26
0400Z
!MDW 02/389 MDW TWY K BTN RWY 13L/31R AND TWY E1 CLSD EXC ACFT DEICING 2602221003-2602230400
2/22/26
0222Z
2/23/26
1200Z
!MDW 02/370 MDW AD AP ALL SIGNS OBSC 2602220222-2602231200
2/22/26
0220Z
2/23/26
1200Z
!MDW 02/369 MDW AD AP ALL SFC MARKINGS OBSC 2602220220-2602231200
2/21/26
0424Z
4/21/26
2359Z
!MDW 02/355 MDW OBST TOWER LGT (ASR 1058278) 414956.00N0874221.00W (3.5NM NE MDW) 912.1FT (305.1FT AGL) U/S 2602210424-2604212359
2/20/26
0326Z
4/6/26
0600Z
!MDW 02/334 MDW OBST TOWER LGT (ASN 2017-AGL-1191-OE) 414546N0874356W (1.7NM SSE MDW) 703FT (85FT AGL) U/S 2602200326-2604060600
2/15/26
0618Z
4/1/26
0608Z
!MDW 02/280 MDW OBST TOWER LGT (ASN 2017-AGL-1192-OE) 414548N0874405W (1.6NM SSE MDW) 702FT (86FT AGL) U/S 2602150618-2604010608
2/15/26
0303Z
7/31/26
1200Z
Runway!MDW 02/278 MDW RWY 13R/31L SAFETY AREA IRREGULAR SFC NE SIDE BTN TWY A AND TWY F1 2602150303-2607311200
2/15/26
0255Z
7/31/26
1200Z
Runway!MDW 02/277 MDW RWY 13L/31R SAFETY AREA IRREGULAR SFC SW SIDE BTN TWY A AND TWY W 2602150255-2607311200
2/14/26
0209Z
7/31/26
1200Z
!MDW 02/267 MDW TWY H3 EDGE LGT BTN RWY 13L/31R AND TWY N NOT STD 2602140209-2607311200
2/14/26
0201Z
7/31/26
1200Z
Runway!MDW 02/266 MDW RWY 13L/31R REDL NOT STD 2602140201-2607311200
2/12/26
1644Z
5/8/26
1800Z
Runway!MDW 02/246 MDW RWY 13L/31R SAFETY AREA BTN TWY A AND RWY 04L/22R SW
SIDE IRREGULAR SFC 2602121644-2605081800
2/12/26
1624Z
5/8/26
1800Z
!MDW 02/245 MDW TWY G AT TWY K CL SAFETY AREA SW EDGE IRREGULAR SFC
2602121624-2605081800
2/11/26
2336Z
3/28/26
2335Z
!MDW 02/234 MDW OBST TOWER LGT (ASR 1279395) 415320.70N0873736.00W (8.4NM NE MDW) 1973.1FT (1375.0FT AGL) U/S 2602112336-2603282335
2/8/26
2114Z
5/29/26
1100Z
!MDW 02/182 MDW TWY Q HLDG PSN MARKINGS FOR RWY 04R/22L NORTHWEST SIDE OBSC 2602082114-2605291100
2/8/26
2049Z
5/29/26
1100Z
!MDW 02/181 MDW TWY W HLDG PSN MARKINGS FOR APCH END RWY 13L SOUTHWEST SIDE FADED 2602082049-2605291100
2/6/26
0910Z
3/23/26
0846Z
!MDW 02/095 MDW OBST POLE LGT (ASN 2017-AGL-4578-OE) 415045N0873943W (5.4NM NE MDW) 836FT (247FT AGL) U/S 2602060910-2603230846
2/6/26
0909Z
3/23/26
0845Z
!MDW 02/094 MDW OBST POLE LGT (ASN 2016-AGL-13379-OE) 414545N0874354W (1.7NM SSE MDW) 704FT (85FT AGL) U/S 2602060909-2603230845
2/6/26
0909Z
3/23/26
0844Z
!MDW 02/093 MDW OBST POWER LINE LGT (ASN 2016-AGL-13381-OE) 414547N0874360W (1.6NM SSE MDW) 704FT (86FT AGL) U/S 2602060909-2603230844
2/5/26
0817Z
3/22/26
0506Z
!MDW 02/081 MDW OBST TOWER LGT (ASN 2017-AGL-9473-OE) 414511N0875222W (5.7NM WSW MDW) 837FT (235FT AGL) U/S 2602050817-2603220506
2/1/26
2323Z
6/1/26
2322Z
!MDW 02/010 MDW TWY W HLDG PSN MARKINGS FOR RWY 04L/22R FADED 2602012323-2606012322
2/1/26
2225Z
6/1/26
2220Z
!MDW 02/007 MDW TWY Y SFC PAINTED HLDG PSN SIGNS FOR RWY 13L/31R NORTHEAST SIDE FADED 2602012225-2606012220
1/31/26
0842Z
3/17/26
0637Z
!MDW 01/796 MDW OBST POWER LINE LGT (ASN 2017-AGL-1197-OE) 414551N0874432W (1.4NM SSE MDW) 703FT (86FT AGL) U/S 2601310842-2603170637
1/30/26
1834Z
2/28/26
0700Z
!MDW 01/769 MDW TWY G HLDG PSN SIGN FOR ILS SOUTHWEST SIDE MISSING 2601301834-2602280700
1/30/26
1728Z
2/28/26
1100Z
!MDW 01/764 MDW TWY H3 BTN RWY 13L APCH AND TWY N SAFETY AREA WEST SHOULDER IRREGULAR SFC 2601301728-2602281100
1/30/26
1726Z
2/28/26
1200Z
!MDW 01/763 MDW TWY Z APCH AREA HLDG PSN SIGN NORTHEAST SIDE FOR APCH END RWY 04R MISSING 2601301726-2602281200
1/30/26
1725Z
2/28/26
1100Z
!MDW 01/762 MDW TWY K BTN TWY H AND TWY G SAFETY AREA NORTH SIDE IRREGULAR SFC 2601301725-2602281100
1/30/26
1725Z
2/28/26
1100Z
!MDW 01/761 MDW TWY P BTN RWY 04R/22L AND TWY T WEST SIDE SAFETY AREA
IRREGULAR SFC 2601301725-2602281100
1/30/26
1724Z
2/28/26
1100Z
!MDW 01/759 MDW TWY G BTN TWY K AND TWY P EAST SIDE SAFETY AREA IRREGULAR SFC 2601301724-2602281100
1/29/26
1320Z
3/15/26
1320Z
!MDW 01/731 MDW OBST POWER LINE LGT (ASN 2017-AGL-1193-OE) 414550N0874411W (1.5NM SSE MDW) 703FT (86FT AGL) U/S 2601291320-2603151320
1/28/26
0930Z
3/14/26
0520Z
!MDW 01/713 MDW OBST POWER LINE LGT (ASN 2016-AGL-13384-OE) 414552N0874416W (1.5NM SSE MDW) 704FT (86FT AGL) U/S 2601280930-2603140520
1/26/26
2126Z
3/31/26
1800Z
!MDW 01/683 MDW TWY Q HLDG PSN SIGN SOUTH SIDE FOR APCH END RWY 22R MISSING 2601262126-2603311800
1/26/26
0552Z
3/12/26
0600Z
!MDW 01/655 MDW OBST TOWER LGT (ASN 2017-AGL-1187-OE) 414541N0874330W (1.9NM SE MDW) 707FT (90FT AGL) U/S 2601260552-2603120600
1/26/26
0400Z
3/12/26
0602Z
!MDW 01/650 MDW OBST POWER LINE LGT (ASN 2017-AGL-1189-OE) 414543N0874341W (1.8NM SE MDW) 707FT (90FT AGL) U/S 2601260400-2603120602
1/25/26
1519Z
2/25/26
2359Z
!MDW 01/624 MDW TWY Y7 HLDG PSN SIGN SOUTH SIDE FOR RWY 04R/22L
MISSING 2601251519-2602252359
1/25/26
0953Z
3/11/26
0622Z
!MDW 01/613 MDW OBST POWER LINE LGT (ASN 2017-AGL-1198-OE) 414551N0874437W (1.4NM SSE MDW) 702FT (86FT AGL) U/S 2601250953-2603110622
1/25/26
0914Z
3/11/26
0600Z
!MDW 01/611 MDW OBST POWER LINE LGT (ASN 2017-AGL-1200-OE) 414551N0874448W (1.3NM S MDW) 702FT (87FT AGL) U/S 2601250914-2603110600
1/25/26
0604Z
3/11/26
0604Z
!MDW 01/606 MDW OBST POWER LINE LGT (ASN 2017-AGL-1189-OE) 414543N0874341W (1.8NM SE MDW) 707FT (90FT AGL) U/S 2601250604-2603110604
1/24/26
0634Z
3/10/26
0614Z
!MDW 01/565 MDW OBST POWER LINE LGT (ASN 2017-AGL-1195-OE) 414554N0874425W (1.4NM SSE MDW) 702FT (85FT AGL) U/S 2601240634-2603100614
1/23/26
0723Z
3/9/26
0722Z
!MDW 01/547 MDW OBST POWER LINE LGT (ASN 2018-AGL-17297-OE) 414448N0875132W (5.3NM WSW MDW) 865FT (273FT AGL) U/S 2601230723-2603090722
1/23/26
0721Z
3/9/26
0721Z
!MDW 01/548 MDW OBST POWER LINE LGT (ASN 2017-AGL-1185-OE) 414539N0874321W (2.0NM SE MDW) 719FT (101FT AGL) U/S 2601230721-2603090721
1/23/26
0609Z
3/22/26
0724Z
!MDW 01/546 MDW OBST POWER LINE LGT (ASN 2017-AGL-4577-OE) 415042N0873950W (5.3NM NE MDW) 834FT (247FT AGL) U/S 2601230609-2603220724
1/21/26
1809Z
3/7/26
2359Z
!MDW 01/527 MDW OBST WIND TURBINE LGT (ASN 2017-AGL-1194-OE) 414553N0874421W (1.4NM SSE MDW) 703FT (86FT AGL) U/S 2601211809-2603072359
1/21/26
1806Z
3/7/26
2359Z
!MDW 01/526 MDW OBST POWER LINE LGT (ASN 2017-AGL-1196-OE) 414552N0874429W (1.4NM SSE MDW) 704FT (88FT AGL) U/S 2601211806-2603072359
1/21/26
1804Z
3/7/26
2359Z
!MDW 01/525 MDW OBST STACK LGT (ASN 2017-AGL-1199-OE) 414551N0874443W (1.4NM SSE MDW) 702FT (87FT AGL) U/S 2601211804-2603072359
1/21/26
0639Z
3/31/26
1500Z
!MDW 01/509 MDW TWY A HLDG PSN SIGN NORTHWEST SIDE FOR RWY 13R/31L MISSING 2601210639-2603311500
1/19/26
0144Z
4/30/26
1200Z
!MDW 01/439 MDW TWY H1 HLDG PSN MARKINGS FOR APCH END RWY 13L NORTHEAST SIDE FADED 2601190144-2604301200
1/18/26
2104Z
4/30/26
1100Z
!MDW 01/424 MDW TWY K SAFETY AREA BTN RWY 31R AND RWY 31L IRREGULAR SFC SOUTH SIDE 2601182104-2604301100
1/16/26
0608Z
3/2/26
0509Z
!MDW 01/364 MDW OBST POWER LINE LGT (ASN 2017-AGL-1184-OE) 414539N0874317W (2.1NM SE MDW) 720FT (102FT AGL) U/S 2601160608-2603020509
1/15/26
0311Z
3/31/26
1200Z
Runway!MDW 01/341 MDW RWY 13L/31R SAFETY AREA BTN RWY 04R/22L AND TWY A NE AND SW SIDES IRREGULAR SFC 2601150311-2603311200
1/13/26
2254Z
5/29/26
1200Z
Runway!MDW 01/275 MDW RWY 31L SAFETY AREA APCH END SE 15FT IRREGULAR SFC 2601132254-2605291200
1/1/26
1336Z
3/20/26
1800Z
!MDW 01/014 MDW TWY G IRREGULAR SFC SOUTHWEST SIDE BTN TWY Y AND TWY K 2601011336-2603201800
12/31/25
2230Z
3/31/26
2229Z
Runway!MDW 12/876 MDW RWY 04L/22R SAFETY AREA W SIDE BTN TWY Q AND TWY N IRREGULAR SFC 2512312230-2603312229
12/30/25
1827Z
3/31/26
1200Z
Runway!MDW 12/815 MDW RWY 13L/31R SAFETY AREA BTN TWY H3 AND TWY N
NE SIDE AND SW SIDE IRREGULAR SFC 2512301827-2603311200
12/30/25
1826Z
3/31/26
1200Z
Runway!MDW 12/814 MDW RWY 13L/31R SAFETY AREA BTN TWY H3 AND TWY N
NE SIDE AND SW SIDE IRREGULAR SFC 2512301826-2603311200
12/30/25
1813Z
3/31/26
1100Z
Runway!MDW 12/813 MDW RWY 13L/31R SAFETY AREA SW SIDE BTN TWY
F AND OLD TWY PAPA IRREGULAR SFC 2512301813-2603311100
12/30/25
1810Z
3/31/26
1100Z
Runway!MDW 12/812 MDW RWY 13L/31R SAFETY AREA SW SIDE BTN TWY A AND RWY 04L/22R IRREGULAR SFC 2512301810-2603311100
12/30/25
1710Z
3/31/26
1100Z
!MDW 12/811 MDW TWY T SAFETY AREA BTN TWY E1 AND TWY P IRREGULAR SFC WEST SIDE 2512301710-2603311100
12/30/25
1709Z
3/31/26
1100Z
!MDW 12/810 MDW TWY Q SAFETY AREA BTN TWY R AND APCH END RWY 22R IRREGULAR SFC SOUTH SIDE 2512301709-2603311100
12/30/25
1701Z
3/31/26
1100Z
!MDW 12/809 MDW TWY F HLDG PSN MARKINGS FOR APCH END RWY 31R SOUTHWEST SIDE OBSC 2512301701-2603311100
12/30/25
1659Z
3/31/26
1100Z
!MDW 12/808 MDW TWY Y HLDG PSN MARKINGS FOR RWY 13R/31L SOUTHWEST SIDE OBSC 2512301659-2603311100
12/30/25
1655Z
3/31/26
1700Z
Runway!MDW 12/806 MDW RWY 13L/31R SAFETY AREA NOT STD SW SIDE BTN TWY Y AND K 2512301655-2603311700
12/30/25
1654Z
3/31/26
1300Z
!MDW 12/805 MDW TWY H3 BTN RWY 13L/31R AND TWY N EAST SIDE IRREGULAR SFC 2512301654-2603311300
12/30/25
1653Z
3/31/26
1200Z
Runway!MDW 12/804 MDW RWY 13R/31L SAFETY AREA IRREGULAR SFC NE SIDE BTN TWY A AND RWY 04L/22R 2512301653-2603311200
12/30/25
1650Z
3/31/26
1200Z
Runway!MDW 12/802 MDW RWY 04L/22R SAFETY AREA IRREGULAR SFC SE SIDE BTN TWY HOTEL AND TWY PAPA 2512301650-2603311200
12/30/25
1648Z
3/31/26
1200Z
!MDW 12/801 MDW TWY A BTN RWY 13L/31R AND RWY 13R/31L NORTHEAST SIDE IRREGULAR SFC 2512301648-2603311200
12/30/25
1647Z
3/31/26
1100Z
Runway!MDW 12/800 MDW RWY 13L/31R CL MARKINGS SE SIDE OBSC 2512301647-2603311100
12/30/25
1646Z
3/31/26
1100Z
!MDW 12/799 MDW TWY H2 SAFETY AREA BTN RWY 13L/31R AND TWY N SOUTH SIDE IRREGULAR SFC 2512301646-2603311100
12/30/25
1628Z
3/31/26
1100Z
!MDW 12/798 MDW TWY P SAFETY AREA BTN TWY G AND TWY H IRREGULAR SFC SOUTH SIDE 2512301628-2603311100
12/30/25
1628Z
3/31/26
1100Z
Runway!MDW 12/797 MDW RWY 13L/31R SAFETY AREA IRREGULAR SFC NE SIDE BTN TWY
H3 AND RWY 04L/22R 2512301628-2603311100
12/30/25
1625Z
3/31/26
1100Z
Runway!MDW 12/796 MDW RWY 13L/31R SAFETY AREA IRREGULAR SFC SW SIDE BTN TWY K AND TWY F 2512301625-2603311100
12/30/25
1622Z
3/31/26
1100Z
Runway!MDW 12/795 MDW RWY 13R/31L SAFETY AREA NE SIDE
SHOULDER BTN TWY K AND TWY F4 IRREGULAR SFC 2512301622-2603311100
12/30/25
1610Z
3/31/26
1100Z
!MDW 12/794 MDW TWY N SAFETY AREA BTN TWY H AND TWY H3 IRREGULAR SFC NORTH SIDE 2512301610-2603311100
12/30/25
1605Z
3/31/26
1100Z
Runway!MDW 12/793 MDW RWY 13L/31R NW 6522FT WIP CONST ADJ NW EDGE
IN ALL SAFETY AREAS 2512301605-2603311100
12/30/25
1600Z
3/31/26
1100Z
Runway!MDW 12/792 MDW RWY 13L/31R EDGE MARKINGS S SIDE OBSC 2512301600-2603311100
12/30/25
1553Z
3/31/26
1100Z
!MDW 12/790 MDW TWY K HLDG PSN SIGN SOUTH SIDE FOR RWY 13R/31L LGT U/S 2512301553-2603311100
12/20/25
0346Z
3/31/26
2200Z
!MDW 12/626 MDW TWY Y ELEVATED RWY GUARD LGT AT RWY 13R/31L U/S 2512200346-2603312200
12/20/25
0345Z
3/31/26
2200Z
!MDW 12/625 MDW TWY Y ELEVATED RWY GUARD LGT AT RWY 13L/31R U/S 2512200345-2603312200
12/14/25
0005Z
3/31/26
2200Z
!MDW 12/487 MDW TWY Y1 SAFETY AREA BTN APCH END RWY 04R AND TWY Y NORTH SIDE IRREGULAR SFC 2512140005-2603312200
12/13/25
2227Z
3/31/26
2200Z
Runway!MDW 12/486 MDW RWY 04L/22R SAFETY AREA IRREGULAR SFC SE SIDE BTN TWY V AND TWY F 2512132227-2603312200
12/13/25
2224Z
3/31/26
2200Z
Runway!MDW 12/485 MDW RWY 04L/22R SAFETY AREA IRREGULAR SFC NW SIDE BTN TWY Z AND TWY W 2512132224-2603312200
12/8/25
2127Z
4/25/26
2300Z
!MDW 12/392 MDW TWY J SAFETY AREA NORTH SIDE IRREGULAR SFC 2512082127-2604252300
FDC
8/12/25
1711Z
!FDC 5/6069 MDW IAP CHICAGO MIDWAY INTL, CHICAGO, IL.
ILS OR LOC RWY 13L, ORIG...
TERMINAL ROUTE FROM DPA VOR/DME TO HEBKU INT NA.
RADAR REQUIRED FOR PROCEDURE ENTRY EXCEPT FOR ACFT EQUIPPED WITH SUITABLE RNAV SYSTEM WITH GPS.
DPA VOR/DME RESTRICTED.
2508121711-2603241711EST
Yes
ALL
CITY OF CHICAGO
5700 S. CICERO
CHICAGO, IL 60638
Phone: 773-838-0608
MICHAEL MCMURRAY
10510 WEST ZEMKE ROAD
CHICAGO, IL 60666
Phone: 773-686-8060
KANKAKEE FSS (IKK)
Toll Free: 1-800-WX-BRIEF
MDW
--
--
N/A
Yes - Lighted
No
No
Hanger, Tie-Down
NOT a Landing Rights Airport
Airport of Entry
Major
Major
Low Pressure
Low Pressure
Air Freight
Air Ambulance
Avionics
Cargo Handling
Charter Service
Pilot Instruction

Runway 04L/22R

5507 ft. x 150 ft.
ASPH  
Good 
GRVD 
MED 
 
60,000lbs 
120,000lbs 
-- 
-- 
  Runway 04L Runway 22R
True Heading 43°223°
Traffic Pattern Left Left
Markings NPI NPI
Markings Condition GOOD GOOD
Latitude 41° 46' 53"N 41° 47' 32"N
Longitude 87° 45' 40"W 87° 44' 50"W
Elevation 618' 605'
Threshold Crossing Height 39 ft. AGL 35 ft. AGL
Visual Glide Path Angle
Visual Slope Indicator P4L P4L
Approach Lights
Centerline Lights No No
Runway End Identifier Lights No No

Runway 04R/22L

6445 ft. x 150 ft.
ASPH CONC  
Excellent 
GRVD 
HIGH 
 
95,000lbs 
165,000lbs 
250,000lbs 
-- 
  Runway 04R Runway 22L
True Heading 43°223°
Traffic Pattern Left Left
Markings PIR PIR
Markings Condition GOOD GOOD
Latitude 41° 46' 45"N 41° 47' 31"N
Longitude 87° 45' 34"W 87° 44' 35"W
Elevation 620' 605'
Threshold Crossing Height 66 ft. AGL 43 ft. AGL
Visual Glide Path Angle
Visual Slope Indicator P4L P4R
Approach Lights
Centerline Lights Yes Yes
Runway End Identifier Lights Yes Yes

Runway 13L/31R

6522 ft. x 150 ft.
ASPH CONC  
Excellent 
GRVD 
HIGH 
 
95,000lbs 
165,000lbs 
250,000lbs 
-- 
  Runway 13L Runway 31R
True Heading 134°314°
Traffic Pattern Left Left
Markings PIR PIR
Markings Condition GOOD GOOD
Latitude 41° 47' 30"N 41° 46' 45"N
Longitude 87° 45' 40"W 87° 44' 37"W
Elevation 607' 612'
Threshold Crossing Height 47 ft. AGL 63 ft. AGL
Visual Glide Path Angle
Visual Slope Indicator P4R P4L
Approach Lights RLLS RLLS
Centerline Lights Yes Yes
Runway End Identifier Lights No Yes

Runway 13R/31L

3859 ft. x 60 ft.
ASPH  
Excellent 
NONE 
MED 
 
12,000lbs 
-- 
-- 
-- 
  Runway 13R Runway 31L
True Heading 134°314°
Traffic Pattern
Markings BSC BSC
Markings Condition GOOD GOOD
Latitude 41° 47' 17"N 41° 46' 51"N
Longitude 87° 45' 32"W 87° 44' 55"W
Elevation 607' 613'
Threshold Crossing Height -- --
Visual Glide Path Angle -- --
Visual Slope Indicator -- --
Approach Lights
Centerline Lights No No
Runway End Identifier Lights No No
A110-15TWY A CLSD TO ACFT OVR 94 FT WINGSPAN.
A110-18TWY F CLSD TO ACFT OVR 94 FT WINGSPAN.
A110-19RY 13R/31L CLSD TO FLT OPS WHEN ACFT OVR 79 FT WINGSPAN ARE ON TWY F.
A110-2NOISE ABATEMENT PROCEDURES: ALL DEPARTURES ARE REQUESTED TO EXPEDITE CLIMB THROUGH 1500 FT MSL 2200-0600 DLY.
A110-20TWY N CLSD BTN TWY Y AND RWY 22L PAD.
A110-3ARPT CLSD TO SOLO STUDENT TRAINING.
A110-4BIRDS ON & INVOF ARPT.
A110-5CLOSE-IN OBST ALL RYS EXCEPT RY 13R/31L TOO NUMEROUS TO ITEMIZE.
A110-7RY 22L PREFERRED DEP RY 2200-0700.
A16ARPT OPNS 773-838-0677.
A26ARFF INDEX "D" EQPT AVBL WITH 8 HRS NOTIFICATION TO ARPT OPNS 773-838-0677.
A30-04L/22RRWY 04L/22R NOT AVBL FOR PART 121/PART 380 OPS WITH SKED PAX CARRYING OPS MORE THAN 9 PAX SEATS AND NON-SKED PAX CARRYING OPS MORE THAN 30 PAX SEATS.
A30-13R/31LRWY 13R/31L NOT AVBL FOR PART 121/PART 380 OPS WITH SKED PAX CARRYING OPS MORE THAN 9 PAX SEATS AND NON-SKED PAX CARRYING OPS MORE THAN 30 PAX SEATS.
A39-04L/22RPCR VALUE: 330/F/D/X/U
A39-04R/22LPCR VALUE: 685/F/D/X/U
A39-13L/31RPCR VALUE: 685/F/D/X/U
A39-13R/31LPCR VALUE: 125/R/B/X/U
A57-04LRWY 04L APCH RATIO 19:1 AT DSPLCD THLD. TREES 178 FT L 1313 FT FROM DSPLCD THLD.
A57-04RRWY 04R APCH RATIO 16:1 AT DSPLCD THLD. TREE 547 FT R 1122 FT FROM DSPLCD THLD.
A57-13LRWY 13L APCH RATIO 16:1 AT DSPLCD THLD. TREE 453 FT R 915 FT FROM DSPLCD THLD.
A57-22LRWY 22L APCH RATIO 19:1 AT DSPLCD THLD. LGT POLE 474 FT R 674 FT FROM DSPLCD THLD.
A57-22RRWY 22R APCH RATIO 37:1 AT DSPLCD THR. TREE 2490 FT FROM DSPLCD THR 319 FT L.
A57-31RRWY 31R APCH RATIO 24:1 AT DSPLCD THR. TREE 1211 FT FROM DSPLCD THR 459 FT R.
E60-04R_EMASENGINEERED MATERIALS ARRESTING SYSTEM (EMAS) 249 FT IN LENGTH BY 170 FT IN WIDTH LCTD AT THE DER 04R.
E60-13L_EMASENGINEERED MATERIALS ARRESTING SYSTEM (EMAS) 190 FT IN LENGTH BY 170 FT IN WIDTH LCTD AT THE DER 13L.
E60-22L_EMASENGINEERED MATERIALS ARRESTING SYSTEM (EMAS) 346 FT IN LENGTH BY 170 FT IN WIDTH LCTD AT THE DER 22L.
E60-31R_EMASENGINEERED MATERIALS ARRESTING SYSTEM (EMAS) 210 FT IN LENGTH BY 170 FT IN WIDTH LCTD AT THE DER 31R.
CHICAGO MIDWAY INTL (ICAO: KMDW, IATA: MDW) is a public airport located in CHICAGO, IL, US.