iFlightPlanner

 

...
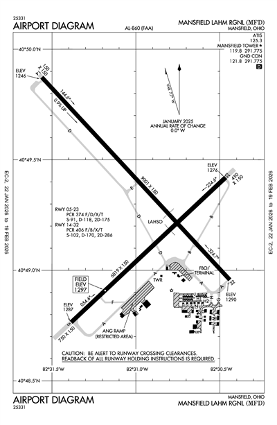
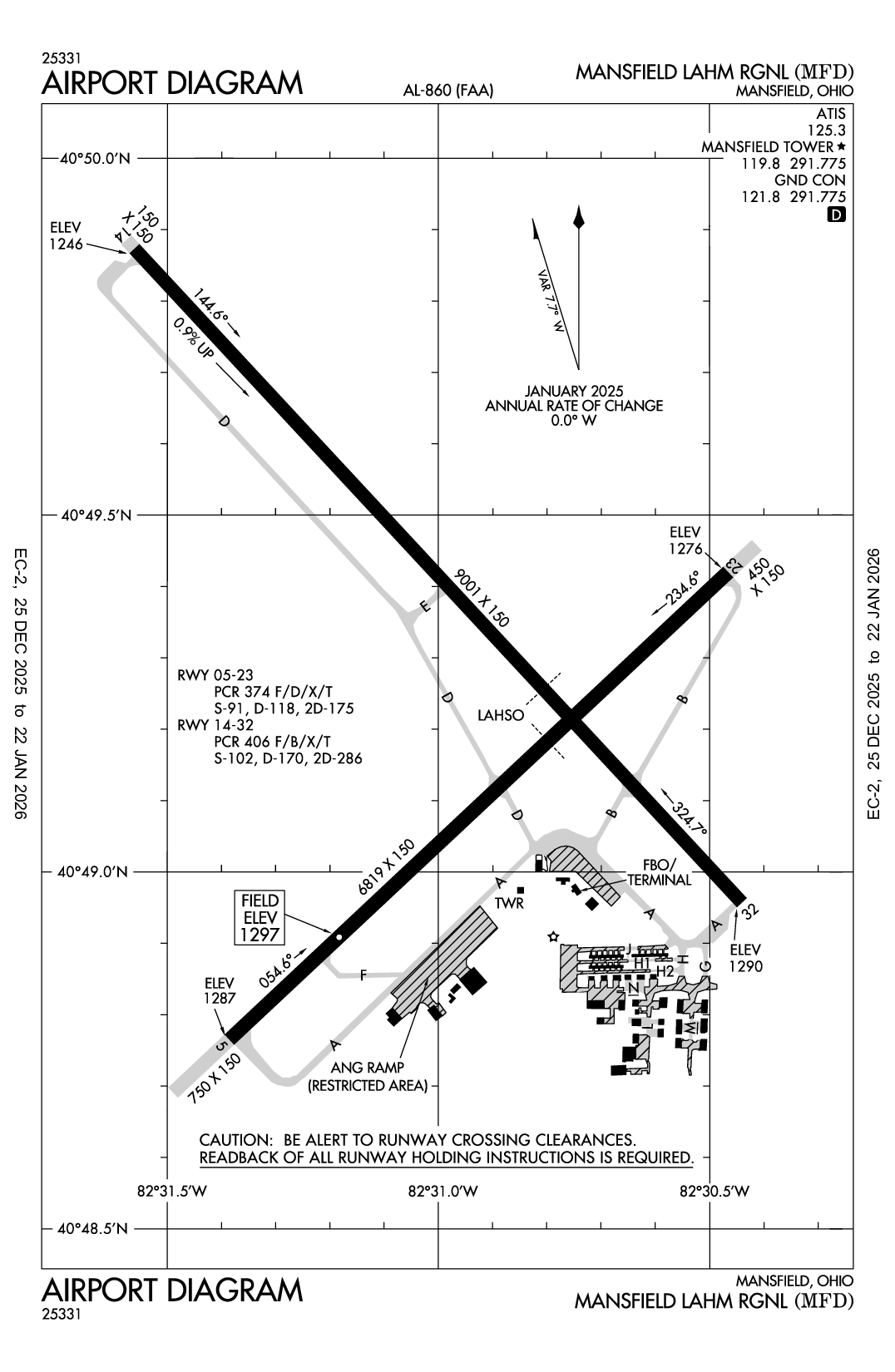
MANSFIELD LAHM RGNL - Airport Diagram
LiveATC.net: Live Air Traffic - From Their Headsets to You

KMFD
ICAO KMFDIATA MFDLocal MFD
MANSFIELD LAHM RGNL
PublicPUB

3 miles N of MANSFIELD, OH, US
LiveATC.net: Live Air Traffic - From Their Headsets to You
Status
Operational
Coordinates
40° 49' 17"N 82° 30' 60"W
Elevation
1297' MSL
Pattern Alt
2297' MSL
Mag Variation
8°W
Declination
6°W
Fuel
JET A-1+, 100LL
FSS
CLEVELAND (CLE)
Sectional
DETROIT
ARTCC
CLEVELAND (ZOB)
Data Effective
2/19/26-3/19/26
KMFD VFR
9:52 AM EDT  
Few 12,000'
10sm
51°F
29°F
29.86"Hg
150° 14kts
Gusts 23kts
AO2 SLP118 T01061017 $
METAR KMFD 151352Z 15014G23KT 10SM FEW120 11/M02 A2986 RMK AO2 SLP118 T01061017 $

KMFD FBOs

Niss Aviation
UNICOM: 122.95
Phone: (419) 524-4261
No Rating Available
0 Reviews (Read | Sign In To Write)
Avfuel
As of 2/16
100LL JET A JET A (FSII) MOGAS UL94
Self Serve 5.59
Full Serve 6.89 5.89
Fuel Notes
Prices include tax
JET A is premixed with Prist (FSII) by supplier.
Fuel Hours
Full-service fuel is available 24/7 upon request with a fee. Self-service 100LL is available 24/7.

KMFD Aircraft Service & Maintenance

Modern Avionics & Maintenance Inc.
Phone: (419) 522-1212
No Rating Available
0 Reviews (Read | Sign In To Write)
X

Send Message to Airport Company
Enter your information and message below.

Your Information
 
Processing 

Weather and Advisory

ATIS 125.3
ASOS 125.3
(419) 520-7277

Common

CTAF 119.8
WHEN ATCT CLSD ACTVT MALSR RWY 32; REIL RWY 05 & 23; PAPI RWY 14, 05, & 23; HIRL RWY 05/23 & 14/32 - CTAF.
UNICOM 122.95

Ground

MANSFIELD GROUND 121.8
0600-2300

Tower

MANSFIELD TOWER 119.8
0600-2300

Approach

CLEVELAND APPROACH 128.35

Departure

CLEVELAND DEPARTURE 128.35

Center

CLEVELAND CENTER 134.9
LOW, APCH/DEP SVC PRVDD BY CLEVELAND APCH (CLE) 0600-0100. APCH/DEP SVC PRVDD BY CLEVELAND ARTCC (ZOB) ON FREQS 134.9/269.475 (MANSFIELD RCAG) 0100-0600.

Emergency

Emergency 121.5

Terminal Area Forecast

KMFD
Sun, 3/15 7:39 AM EDT
Sun, 3/15 8:00 AM EDT - Mon, 3/16 8:00 AM EDT
VFR
8:00 AM EDT - 10:00 AM EDT
Broken 10,000'
6sm
150° 11kts
Gusts 22kts
VFR
10:00 AM EDT - 3:00 PM EDT
Broken 25,000'
6sm
180° 18kts
Gusts 31kts
VFR
3:00 PM EDT - 9:00 PM EDT
Scattered 25,000'
6sm
180° 22kts
Gusts 41kts
VFR
9:00 PM EDT - 3:00 AM EDT
Broken 5,000'
6sm
160° 21kts
Gusts 30kts
MVFR
3:00 AM EDT - 5:00 AM EDT
Showers and Rain and Mist
Overcast 2,500'
6sm
180° 22kts
Gusts 42kts
VFR
5:00 AM EDT - 8:00 AM EDT
Showers in vicinity
Overcast 3,500'
6sm
190° 21kts
Gusts 28kts
TAF KMFD 151139Z 1512/1612 15011G22KT P6SM BKN100
   FM151400 18018G31KT P6SM BKN250
   FM151900 18022G41KT P6SM SCT250
   FM160100 16021G30KT P6SM BKN050
   FM160700 18022G42KT 6SM SHRA BR OVC025
   FM160900 19021G28KT P6SM VCSH OVC035
KMFD
EffectiveExpiresCategoryNOTAM
Domestic
3/17/26
1130Z
3/18/26
2000Z
!MFD 03/015 MFD OBST CRANE (ASN UNKNOWN) 404731N0823034W (1NM S MFD)
UNKNOWN (130FT AGL) FLAGGED DLY 1130-2000 2603171130-2603182000
3/14/26
1646Z
4/28/26
1646Z
!MFD 03/022 MFD OBST TOWER LGT (ASN 2019-AGL-20277-OE) 404506N0822912W (4.4NM SSE MFD) 1403FT (265FT AGL) U/S 2603141646-2604281646
3/14/26
0609Z
7/12/26
0609Z
!MFD 03/021 MFD OBST TOWER LGT (ASR 1215427) 404219.90N0822913.20W (7.1NM S MFD) 1680.1FT (292.0FT AGL) U/S 2603140609-2607120609
3/13/26
2022Z
7/11/26
2022Z
!MFD 03/019 MFD OBST TOWER LGT (ASR 1211271) 404444.30N0822719.30W (5.3NM SSE MFD) 1468.8FT (293.0FT AGL) U/S 2603132022-2607112022
3/13/26
2000Z
7/11/26
2000Z
!MFD 03/018 MFD OBST TOWER LGT (ASR 1019713) 404521.00N0822521.00W (5.8NM SE MFD) 1730.0FT (405.8FT AGL) U/S 2603132000-2607112000
3/13/26
1955Z
6/11/26
0400Z
!MFD 03/017 MFD OBST TOWER LGT (ASR 1212943) 404036.40N0822032.90W (11.7NM SE MFD) 1473.1FT (265.1FT AGL) U/S 2603131955-2606110400
3/13/26
1843Z
7/11/26
1843Z
!MFD 03/016 MFD OBST TOWER LGT (ASR 1266886) 404710.00N0823330.80W (2.9NM SW MFD) 1564.0FT (267.1FT AGL) U/S 2603131843-2607111843
3/11/26
0256Z
4/25/26
0256Z
!MFD 03/013 MFD OBST TOWER LGT (ASR 1261169) 405448.90N0822953.00W (5.6NM NE MFD) 1473.4FT (307.7FT AGL) U/S 2603110256-2604250256
3/8/26
1708Z
4/22/26
1707Z
!MFD 03/010 MFD OBST TOWER LGT (ASN 2022-AGL-9830-OE) 404517N0822532W (5.7NM SE MFD) 1534FT (275FT AGL) U/S 2603081708-2604221707
3/3/26
2341Z
4/17/26
2341Z
!MFD 03/001 MFD OBST TOWER LGT (ASN 2024-AGL-3696-OE) 403743N0822250W (13.1NM SSE MFD) 1351FT (260FT AGL) U/S 2603032341-2604172341
2/10/26
0056Z
3/27/26
0055Z
!MFD 02/049 MFD OBST TOWER LGT (ASR 1212593) 404259.20N0823245.60W (6.5NM SSW MFD) 1773.0FT (353.0FT AGL) U/S 2602100056-2603270055
11/20/25
1241Z
!MFD 11/039 MFD NAV ILS RWY 32 OM U/S 2511201241-2605202111EST
FDC
3/27/25
1837Z
!FDC 5/8958 MFD IAP MANSFIELD LAHM RGNL, MANSFIELD, OH.
RNAV (GPS) RWY 14, AMDT 1B...
RNAV (GPS) RWY 23, AMDT 1A...
RNAV (GPS) RWY 32, ORIG-F...
CIRCLING CAT B 1820 MDA/523 HAA.
2503271837-2703271837EST
Yes
MON-FRI 0700-1900
SAT-SUN 0800-1800
FBO AFT HRS CTC: 419-524-4261 / 419-989-2911.
CITY OF MANSFIELD
2000 HARRINGTON MEMORIAL RD
MANSFIELD, OH 44903
Phone: 419-522-2191
MARK T DAUGHERTY
2000 HARRINGTON MEMORIAL RD
MANSFIELD, OH 44903
Phone: 419-522-2191
CLEVELAND FSS (CLE)
Toll Free: 1-800-WX-BRIEF
MFD
--
WHEN ATCT CLSD ACTVT MALSR RWY 32; REIL RWY 05 & 23; PAPI RWY 14, 05, & 23; HIRL RWY 05/23 & 14/32 - CTAF.
N/A
Yes - Lighted
Yes
No
Hanger, Tie-Down
NOT a Landing Rights Airport
NOT an Airport of Entry
Major
Major
High Pressure
None
Avionics
Charter Service
Pilot Instruction
Aircraft Rental
Aircraft Sales

Runway 05/23

6819 ft. x 150 ft.
ASPH  
Good 
GRVD 
HIGH 
 
91,000lbs 
118,000lbs 
175,000lbs 
-- 
  Runway 05 Runway 23
True Heading 47°227°
Traffic Pattern Left Left
Markings NPI NPI
Markings Condition FAIR FAIR
Latitude 40° 48' 41"N 40° 49' 27"N
Longitude 82° 31' 29"W 82° 30' 25"W
Elevation 1,287' 1,276'
Threshold Crossing Height 50 ft. AGL 45 ft. AGL
Visual Glide Path Angle
Visual Slope Indicator P4L P4L
Approach Lights
Centerline Lights
Runway End Identifier Lights Yes Yes

Runway 14/32

9001 ft. x 150 ft.
ASPH  
Fair 
GRVD 
HIGH 
 
102,000lbs 
170,000lbs 
286,000lbs 
-- 
  Runway 14 Runway 32
True Heading 137°317°
Traffic Pattern Left Left
Markings PIR PIR
Markings Condition GOOD GOOD
Latitude 40° 49' 59"N 40° 48' 54"N
Longitude 82° 31' 42"W 82° 30' 22"W
Elevation 1,246' 1,290'
Threshold Crossing Height 42 ft. AGL --
Visual Glide Path Angle --
Visual Slope Indicator P4L --
Approach Lights MALSR
Centerline Lights
Runway End Identifier Lights No
A110-1111 FT FENCE, 95 FT FM TWY A CNTRLN BTN AER 05 & TWY F, DOES NOT HAVE RQRD CLNC FM TWY CNTRLN.
A110-15ACFT WITH WINGSPAN GTR THAN 132 FT ARE RESTRICTED TO 15 MPH ON TWY A.
A110-16FOR CD CTC CLEVELAND APCH AT 216-352-2323, WHEN APCH CLSD CTC CLEVELAND ARTCC AT 440-774-0223/0490.
A110-17LGTD & BARRICADED MIL RAMP CLSD TO ALL ACFT.
A110-3DEER, BIRDS, & WATERFOWL ON & INVOF ARPT.
A110-4ACFT ON EITHER END OF RWY 05/23 & 14/32 NOT VSB ON THE OTR END DUE TO RWY GRADE.
A110-6ACFT LARGER THAN A 'G1' OR WITH A WING SPAN GREATER THAN 80 FT (TIP TO TIP) ARE RESTRICTED ON TWYS G/H/J/L/M/N & SHOULD USE THE MAIN RAMP AREA.
A17-H1FBO AFT HRS CTC: 419-524-4261 / 419-989-2911.
A24LDG FEES ON ALL COML OPRS INVOICED MONTHLY; FOR OTR ARNGMTS CTC AMGR.
A26CLSD TO SKEDD ACR OPS GTR THAN 9 PAX SEATS - CALL AMGR.
A39-05/23PCR VALUE: 374/F/D/X/T
A39-14/32PCR VALUE: 406/F/B/X/T
A81-APTWHEN ATCT CLSD ACTVT MALSR RWY 32; REIL RWY 05 & 23; PAPI RWY 14, 05, & 23; HIRL RWY 05/23 & 14/32 - CTAF.
MANSFIELD LAHM RGNL (ICAO: KMFD, IATA: MFD) is a public airport located in MANSFIELD, OH, US.