iFlightPlanner

 

...
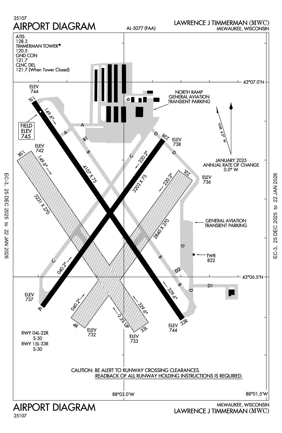
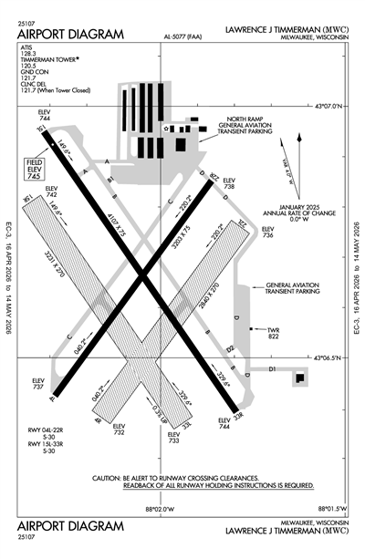
LAWRENCE J TIMMERMAN - Airport Diagram
LiveATC.net: Live Air Traffic - From Their Headsets to You

KMWC
ICAO KMWCIATA MWCLocal MWC
LAWRENCE J TIMMERMAN
PublicPUB

5 miles NW of MILWAUKEE, WI, US
LiveATC.net: Live Air Traffic - From Their Headsets to You
Status
Operational
Coordinates
43° 06' 37"N 88° 02' 04"W
Elevation
745' MSL
Pattern Alt
1745' MSL
Mag Variation
4°W
Declination
2°W
Fuel
JET A (FSII), 100LL
FSS
GREEN BAY (GRB)
Sectional
CHICAGO
ARTCC
CHICAGO (ZAU)
Data Effective
2/19/26-3/19/26
KMWC VFR
9:15 AM CDT  
Broken 5,000'
Broken 4,200'
10sm
34°F
28°F
29.54"Hg
090° 13kts
Gusts 22kts
AO2
METAR KMWC 151415Z AUTO 09013G22KT 10SM BKN042 BKN050 01/M02 A2954 RMK AO2

KMWC FBOs

Spring City Aviation
UNICOM: 122.95
Phone: (414) 461-3222
No Rating Available
0 Reviews (Read | Sign In To Write)
Avfuel
As of 2/28
100LL JET A JET A (FSII) MOGAS UL94
Self Serve
Full Serve 5.79 6.24
Fuel Notes
Prices include tax
X

Send Message to Airport Company
Enter your information and message below.

Your Information
 
Processing 

Weather and Advisory

ATIS 128.3
AWOS-3 (414) 461-2954

Common

CTAF 120.5
WHEN ATCT CLSD, MIRL RWY 15L/33R PRESET TO LOW SS-SR; TO INCR INTST AND ACTVT REIL RWY 04L, 15L, 22R, & 33R; PAPI RWY 15L & 33R; VASI RWY 04L & 22R; AND MIRL RWY 04L/22R - CTAF.
UNICOM 122.95

Clearance

Clearance Delivery 121.7
WHEN TWR CLSD

Ground

TIMMERMAN GROUND 121.7
0700-2100

Tower

TIMMERMAN TOWER 120.5
0700-2100

Arrival

GOPAC STAR 126.5

Approach

MILWAUKEE APPROACH 125.35

Departure

MILWAUKEE DEPARTURE 125.35

FAA A/FD Pages

Airport Diagrams

Airport Minimums

Departure Procedures

Arrival Procedures

Instrument Approach

Terminal Area Forecast

KUES (10nm)
Sun, 3/15 6:23 AM CDT
Sun, 3/15 7:00 AM CDT - Mon, 3/16 7:00 AM CDT
VFR
7:00 AM CDT - 10:00 AM CDT
Overcast 5,000'
Scattered 1,400'
6sm
100° 15kts
Gusts 28kts
MVFR
8:00 AM CDT - 10:00 AM CDT
Light Rain
Overcast 2,500'
4sm
Calm
MVFR
10:00 AM CDT - 3:00 PM CDT
Light Rain
Overcast 1,100'
3sm
140° 12kts
Gusts 20kts
IFR
Temporary 12:00 PM CDT - 3:00 PM CDT
Light Thunderstorm and Rain
Overcast 1,000'
Broken 600'
1sm
Calm
IFR
3:00 PM CDT - 5:00 PM CDT
Light Rain
Overcast 1,100'
Broken 500'
2sm
250° 13kts
Gusts 21kts
LIFR
5:00 PM CDT - 10:00 PM CDT
Light Freezing Rain and Snow
Overcast 400'
3sm
Calm
IFR
5:00 PM CDT - 10:00 PM CDT
Overcast 1,000'
Broken 500'
6sm
340° 15kts
Gusts 25kts
IFR
10:00 PM CDT - 2:00 AM CDT
Light Freezing Rain
Overcast 600'
4sm
360° 18kts
Gusts 32kts
IFR
2:00 AM CDT - 7:00 AM CDT
Light Snow and Blowing Snow
Overcast 1,100'
Scattered 600'
2sm
340° 20kts
Gusts 33kts
TAF KUES 151123Z 1512/1612 10015G28KT P6SM SCT014 OVC050
   PROB30 1513/1515 4SM -RA OVC025
   FM151500 14012G20KT 3SM -RA OVC011
   TEMPO 1517/1520 1SM -TSRA BKN006CB OVC010
   FM152000 25013G21KT 2SM -RA BKN005 OVC011
   FM152200 34015G25KT P6SM BKN005 OVC010
   PROB30 1522/1603 3SM -FZRASN OVC004
   FM160300 36018G32KT 4SM -FZRA OVC006
   FM160700 34020G33KT 2SM -SN BLSN SCT006 OVC011
KMWC
EffectiveExpiresCategoryNOTAM
Domestic
3/18/26
1430Z
3/18/26
1830Z
!MWC 03/067 MWC AIRSPACE SEE ZAU 03/136 FLTCK ACFT OPS ACFT CS FLC83 2603181430-2603181830
3/17/26
1200Z
!MWC 03/058 MWC OBST CRANE (ASN 2026-AGL-3792-OE) 430718N0880228W (0.7NM NNW MWC) 818FT (95FT AGL) FLAGGED 2603171200-2603172359EST
3/15/26
1205Z
3/16/26
1205Z
!MWC 03/075 MWC TWY ALL FICON WET OBS AT 2603151205. 2603151205-2603161205
3/15/26
1204Z
3/16/26
1204Z
!MWC 03/074 MWC APRON ALL FICON WET OBS AT 2603151204. 2603151204-2603161204
3/15/26
1203Z
3/16/26
1203Z
Runway!MWC 03/073 MWC RWY 15L FICON 5/5/5 100 PCT WET OBS AT 2603151203. 2603151203-2603161203
3/15/26
1202Z
3/16/26
1202Z
Runway!MWC 03/072 MWC RWY 04L FICON 5/5/5 100 PCT WET OBS AT 2603151202. 2603151202-2603161202
3/11/26
0822Z
Runway!MWC 03/043 MWC RWY 04L VASI HIGH INTST U/S 2603110822-2605202000EST
3/9/26
1610Z
3/23/26
2359Z
!MWC 03/041 MWC OBST TOWER LGT (ASR 1204062) 430460.00N0880121.30W (1.7NM SSE MWC) 974.4FT (219.8FT AGL) U/S 2603091610-2603232359
3/9/26
0216Z
4/9/26
2359Z
!MWC 03/040 MWC OBST TOWER LGT (ASR 1035593) 431456.00N0875850.00W (8.7NM NNE MWC) 906.8FT (214.9FT AGL) U/S 2603090216-2604092359
2/1/26
2351Z
3/18/26
2351Z
!MWC 02/001 MWC OBST TOWER LGT (ASR 1051799) 430524.00N0875455.00W (5.3NM ESE MWC) 1331.7FT (655.8FT AGL) U/S 2602012351-2603182351
FDC
3/13/26
1800Z
!FDC 6/6336 MWC ODP LAWRENCE J TIMMERMAN, MILWAUKEE, WI.
TAKEOFF MINIMUMS AND (OBSTACLE) DEPARTURE PROCEDURES AMDT 1B...
TAKEOFF OBSTACLE NOTES: RWY 33R, TEMPORARY CRANE, 2138FT FROM DER, 656 FT RIGHT OF CENTERLINE, 95 AGL/818 MSL (2026-AGL-3792-OE). ALL OTHER DATA REMAINS AS PUBLISHED. 2603131800-2604032355EST
4/30/25
1811Z
!FDC 5/3855 MWC IAP LAWRENCE J TIMMERMAN, MILWAUKEE, WI.
RNAV (GPS) RWY 4L, ORIG-E...
STRAIGHT-IN MINIMUMS NA AT NIGHT. CIRCLING RWY 4L, 33R NA AT NIGHT. VDP NA. CHANGE HELICOPTER NOTE TO READ: RWY 4L HELICOPTER VISIBILITY REDUCTION BELOW 1 SM NOT AUTHORIZED.
2504301811-2704301811EST
4/30/25
1811Z
!FDC 5/3853 MWC IAP LAWRENCE J TIMMERMAN, MILWAUKEE, WI.
LOC RWY 15L, AMDT 6F...
RNAV (GPS) RWY 15L, ORIG-E...
RNAV (GPS) RWY 22R, ORIG-F...
CIRCLING RWY 4L, 33R NA AT NIGHT.
2504301811-2704301811EST
Yes
0800-1600
MILWAUKEE COUNTY
COUNTY COURTHOUSE
MILWAUKEE, WI 53233
Phone: 414-747-5300
BRIAN DRANZIK
5300 S HOWELL
MILWAUKEE, WI 53207
Phone: 414-747-5775
GREEN BAY FSS (GRB)
Toll Free: 1-800-WX-BRIEF
MWC
--
WHEN ATCT CLSD, MIRL RWY 15L/33R PRESET TO LOW SS-SR; TO INCR INTST AND ACTVT REIL RWY 04L, 15L, 22R, & 33R; PAPI RWY 15L & 33R; VASI RWY 04L & 22R; AND MIRL RWY 04L/22R - CTAF.
N/A
Yes
No
No
Hanger, Tie-Down
NOT a Landing Rights Airport
NOT an Airport of Entry
Major
Major
High & Low Pressure
High & Low Pressure
Charter Service
Pilot Instruction
Aircraft Rental
Aircraft Sales

Runway 04L/22R

3203 ft. x 75 ft.
ASPH  
Excellent 
NONE 
MED 
 
30,000lbs 
-- 
-- 
-- 
  Runway 04L Runway 22R
True Heading 36°216°
Traffic Pattern Left Left
Markings NPI NPI
Markings Condition GOOD GOOD
Latitude 43° 06' 26"N 43° 06' 51"N
Longitude 88° 02' 17"W 88° 01' 52"W
Elevation 737' 738'
Threshold Crossing Height 44 ft. AGL 45 ft. AGL
Visual Glide Path Angle
Visual Slope Indicator V4L V4L
Approach Lights
Centerline Lights No No
Runway End Identifier Lights Yes Yes

Runway 04R/22L

2840 ft. x 270 ft.
TURF  
Good 
NONE 
 
 
-- 
-- 
-- 
-- 
  Runway 04R Runway 22L
True Heading 36°216°
Traffic Pattern Left Left
Markings
Markings Condition
Latitude 43° 06' 23"N 43° 06' 46"N
Longitude 88° 02' 10"W 88° 01' 47"W
Elevation 732' 736'
Threshold Crossing Height -- --
Visual Glide Path Angle -- --
Visual Slope Indicator -- --
Approach Lights
Centerline Lights No No
Runway End Identifier Lights No No

Runway 15L/33R

4107 ft. x 75 ft.
ASPH  
Excellent 
NONE 
MED 
 
30,000lbs 
-- 
-- 
-- 
  Runway 15L Runway 33R
True Heading 146°326°
Traffic Pattern Left Left
Markings NPI NPI
Markings Condition GOOD GOOD
Latitude 43° 06' 57"N 43° 06' 23"N
Longitude 88° 02' 19"W 88° 01' 48"W
Elevation 744' 744'
Threshold Crossing Height 41 ft. AGL 40 ft. AGL
Visual Glide Path Angle
Visual Slope Indicator P4R P4L
Approach Lights
Centerline Lights No No
Runway End Identifier Lights Yes Yes

Runway 15R/33L

3231 ft. x 270 ft.
TURF  
Good 
NONE 
 
 
-- 
-- 
-- 
-- 
  Runway 15R Runway 33L
True Heading 145°325°
Traffic Pattern Left Left
Markings
Markings Condition
Latitude 43° 06' 49"N 43° 06' 22"N
Longitude 88° 02' 21"W 88° 01' 56"W
Elevation 742' 733'
Threshold Crossing Height -- --
Visual Glide Path Angle -- --
Visual Slope Indicator -- --
Approach Lights
Centerline Lights No No
Runway End Identifier Lights No No
A110-3BCN ELEV 797' MSL.
A110-4TURF RYS 04R/22L & 15R/33L & ALL TURF TWYS CLSD 15 OCT - 1 MAY.
A110-6BIRDS ON & INVOF ARPT.
A110-7CONDS UNMON MON-FRI 1530-0630, SAT, SUN, OR FED HOLS.
A15EMAIL ADDRESS: BDRANZIK@MITCHELLAIRPORT.COM (ALL LOWER CASE)
A42-04R_MARKMKD BY WHITE TFC CONES.
A42-15R_MARKMKD BY WHITE TFC CONES.
A42-22L_MARKMKD BY WHITE TFC CONES.
A42-33L_MARKMKD BY WHITE TFC CONES.
A43-04LWHEN VASI OTS, RWY CLSD TO LDG SS-SR.
A43-22RWHEN VASI OTS, RWY CLSD TO LDG SS-SR.
A43-33RUNUSBL BYD 8 DEGS RIGHT OF CNTRLN. WHEN PAPI OTS, RWY CLSD TO LDG SS-SR.
A81-APTWHEN ATCT CLSD, MIRL RWY 15L/33R PRESET TO LOW SS-SR; TO INCR INTST AND ACTVT REIL RWY 04L, 15L, 22R, & 33R; PAPI RWY 15L & 33R; VASI RWY 04L & 22R; AND MIRL RWY 04L/22R - CTAF.
LAWRENCE J TIMMERMAN (ICAO: KMWC, IATA: MWC) is a public airport located in MILWAUKEE, WI, US.