iFlightPlanner

 

...
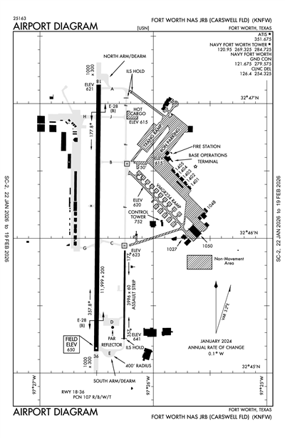
FORT WORTH NAS JRB (CARSWELL FLD) - Airport Diagram
LiveATC.net: Live Air Traffic - From Their Headsets to You

KNFW
ICAO KNFWIATA FWHLocal NFW
FORT WORTH NAS JRB (CARSWELL FLD)
PrivatePVT

5 miles W of FORT WORTH, TX, US
LiveATC.net: Live Air Traffic - From Their Headsets to You
Status
Operational
Coordinates
32° 46' 09"N 97° 26' 30"W
Elevation
650' MSL
Pattern Alt
1650' MSL
Mag Variation
3°E
Declination
4°E
Fuel
None Listed
FSS
FORT WORTH (FTW)
Sectional
DALLAS-FT WORTH
ARTCC
FORT WORTH (ZFW)
Data Effective
5/14/26-6/11/26
KNFW VFR
12:52 AM CDT  
Clear
10sm
75°F
63°F
29.89"Hg
190° 7kts
AO2 SLP106 T02390172 10311 20239 403280206 52010 CHINO S $
METAR KNFW 150552Z AUTO 19007KT 10SM CLR 24/17 A2989 RMK AO2 SLP106 T02390172 10311 20239 403280206 52010 CHINO S $

KNFW FBOs

No FBOs (Fixed Base Operators) are listed for this airport.
X

Send Message to Airport Company
Enter your information and message below.

Your Information
 
Processing 

Clearance

Clearance Delivery 126.4

Ground

NAVY FORT WORTH GROUND 121.675
1300-0500Z++ MON-FRI; 1500-2300Z++ SAT & SUN, OT BY NOTAM.

Tower

NAVY FORT WORTH TOWER 120.95
1300-0500Z++ MON-FRI; 1500-2300Z++ SAT & SUN, OT BY NOTAM.

Arrival

ARRIVAL 128.775
DODJE STAR 125.2
DODJE STAR 125.9
LIKES STAR 125.8
SOUTH
LIKES STAR 135.975
NORTH
MOTZA STAR 118.1
SOUTH
MOTZA STAR 125.8
NORTH
REEKO STAR 125.2
SASIE STAR 124.3
TRUUK RNAV STAR 124.3
WESAT STAR 118.1
SOUTH
WESAT STAR 125.8
NORTH

Approach

LONE STAR APPROACH 125.8

Departure

BOTCH DP 125.8
DALLAS AREA DP 125.8
GARLAND DP 125.8
JOE POOL DP 125.8
LONE STAR DEPARTURE 125.8
NANDR RNAV DP 125.8

Terminal Area Forecast

KNFW
Thu, 5/14 5:51 PM CDT
Thu, 5/14 6:00 PM CDT - Fri, 5/15 6:00 PM CDT
VFR
6:00 PM CDT - 8:00 AM CDT
Scattered 25,000'
6sm
29.79"Hg
160° 16kts
Gusts 23kts
VFR
8:00 AM CDT - 6:00 PM CDT
Overcast 25,000'
Broken 15,000'
6sm
29.76"Hg
190° 19kts
Gusts 28kts
Light Turbulence: 500 - 9,000'
TAF KNFW 1423/1523 16016G23KT 9999 SCT250 QNH2979INS
   FM151300 19019G28KT 9999 BKN150 OVC250 510009 QNH2977INS AUTOMATED SENSOR METWATCH 1504 TIL 1511 TX32/1522Z TN21/1511Z FN20048
KNFW
EffectiveExpiresCategoryNOTAM
FDC
5/15/26
1200Z
5/21/26
2355Z
!FDC 6/9974 NFW SID FORT WORTH NAS JRB (CARSWELL FLD), FORT WORTH, TX.
TEXOMA FIVE DEPARTURE...
DECKK TRANSITION,WILL ROGERS TRANSITION NA EXCEPT FOR ACFT EQUIPPED WITH SUITABLE RNAV SYSTEM WITH GPS,
IRW VORTAC OUT OF SERVICE. 2605151200-2605212355EST
5/13/26
1813Z
6/10/26
1813Z
!FDC 6/0146 NFW SID FORT WORTH NAS JRB (CARSWELL FLD), FORT WORTH, TX.
TEXOMA FIVE DEPARTURE...
ARDMORE TRANSITION, ROLLS TRANSITION NA EXCEPT FOR ACFT EQUIPPED WITH SUITABLE RNAV SYSTEM WITH GPS,
ADM VOR OUT OF SERVICE. 2605131813-2606101813EST
5/13/26
1300Z
5/20/26
1814Z
!FDC 6/9817 NFW SID FORT WORTH NAS JRB (CARSWELL FLD), FORT WORTH, TX. WORTH ONE DEPARTURE... PANHANDLE TRANSITION NA EXCEPT FOR ACFT EQUIPPED WITH SUITABLE RNAV SYSTEM WITH GPS, PNH VORTAC OUT OF SERVICE. 2605131300-2605201814EST
5/11/26
1319Z
7/30/26
1319Z
!FDC 6/9290 NFW SID FORT WORTH NAS JRB (CARSWELL FLD), FORT WORTH, TX.
WORTH ONE DEPARTURE...
CHILDRESS TRANSITION AND PANHANDLE TRANSITION NA EXCEPT FOR ACFT EQUIPPED WITH SUITABLE RNAV SYSTEM WITH GPS,
CDS VOR OUT OF SERVICE. 2605111319-2607301319EST
5/6/26
1414Z
6/3/26
1414Z
!FDC 6/8288 NFW SID FORT WORTH NAS JRB (CARSWELL FLD), FORT WORTH, TX.
JOE POOL SEVEN DEPARTURE ...
COLLEGE STATION TRANSITION NA EXCEPT FOR AIRCRAFT EQUIPPED WITH SUITABLE RNAV SYSTEM WITH GPS, CLL VOR OUT OF SERVICE. 2605061414-2606031414EST
5/6/26
1414Z
6/3/26
1414Z
!FDC 6/8287 NFW SID FORT WORTH NAS JRB (CARSWELL FLD), FORT WORTH, TX.
JOE POOL SEVEN DEPARTURE ...
COLLEGE STATION TRANSITION NA EXCEPT FOR AIRCRAFT EQUIPPED WITH SUITABLE RNAV SYSTEM WITH GPS, CLL VOR OUT OF SERVICE. 2605061414-2606031414EST
12/5/25
1903Z
!FDC 5/5371 NFW SID FORT WORTH NAS JRB (CARSWELL FLD), FORT WORTH, TX.
KINGDOM FIVE DEPARTURE...
LUBBOCK TRANSITION, MILLSAP TRANSITION, WICHITA FALLS TRANSITION NA EXCEPT FOR AIRCRAFT EQUIPPED WITH SUITABLE RNAV SYSTEM WITH GPS,
MQP VORTAC OUT OF SERVICE. 2512051903-2607171903EST
12/5/25
1903Z
!FDC 5/5304 NFW SID FORT WORTH NAS JRB (CARSWELL FLD), FORT WORTH, TX.
WORTH ONE DEPARTURE...
ABILENE TRANSITION, CORONA TRANSITION, LUBBOCK TRANSITION, TEXICO TRANSITION: NA EXCEPT FOR AIRCRAFT EQUIPPED WITH SUITABLE RNAV SYSTEM WITH GPS,
MQP VORTAC OUT OF SERVICE. 2512051903-2607171903EST
3/13/25
1300Z
6/7/26
1218Z
!FDC 5/2695 NFW SID FORT WORTH NAS JRB (CARSWELL FLD), FORT WORTH, TX.
WORTH ONE DEPARTURE...
CORONA TRANSITION NA EXCEPT FOR ACFT EQUIPPED WITH SUITABLE RNAV SYSTEM WITH GPS,
CNX VORTAC OUT OF SERVICE. 2503131300-2606071218EST
Military
5/21/26
1200Z
5/21/26
2200Z
TXY ECHO CLOSED FOR CALA OPERATIONS 0700L-1700L
5/20/26
1200Z
5/20/26
2200Z
TXY ECHO CLOSED FOR CALA OPERATIONS 0700L-1700L
5/19/26
1200Z
5/19/26
2200Z
TXY ECHO CLOSED FOR CALA OPERATIONS 0700L-1700L
5/18/26
1200Z
5/18/26
2200Z
TXY ECHO CLOSED FOR CALA OPERATIONS 0700L-1700L
5/13/26
1647Z
5/16/26
1647Z
M0233/26 NOTAMC M0232/26
5/12/26
1756Z
5/22/26
1700Z
TXY E CLOSED FOR CALA OPERATIONS 22MAY26 0800-1200L.
5/11/26
1928Z
5/26/26
1200Z
AerodromeAERODROME CLSD 22MAY2026-25MAY2026. CLOSED FIELD OPERATIONS ARE AUTHORIZED IN ACCORDANCE WITH NASJRBFTWINST 3710.24B. CLASS D SERVICE NOT AVLB. NORTH AND SOUTH GEAR DERIGGED.
5/8/26
1533Z
8/6/26
0400Z
DIGITAL AIRPORT SURVEILLANCE RADAR LOCATED .38 NM EAST OF RWY 36 AT AN APPROXIMATE HEIGHT OF 85 FEET AGL NOT LGTD.
5/8/26
1509Z
8/6/26
0500Z
AerodromeAERODROME SOUTH PAPI OUT TO SERVICE
5/5/26
1707Z
5/18/26
2100Z
AerodromeAERODROME ILS OUT FOR MAINTENANCE 18MAY26 0800L TO 1600L.
4/23/26
1100Z
5/16/26
0400Z
TEMPORARY CRANE/TOWER APPROXIMATELY 105FT AGL 3.8 NM E OF NAVY FORT WORTH. LATITUDE: 32-45-31.78N NAD 83 LONGITUDE: 97-23-07.88W. FROM 23APR26 0700L UNTIL 15MAY26 2300L.
3/9/26
2100Z
5/16/26
1700Z
AerodromeAERODROME QUIET HOURS 16MAY2026 1500Z-1700Z (16MAY2026 1000L-1200L) DUE TO CHANGE OF COMMAND CEREMONY AT VMFA-112 HANGAR. DURING QUIET HOUR PERIODS, NORMAL QUIET HOUR RESTRICTIONS WILL BE OBSERVED: - ENGINE START UP, DEPARTURES, OR LANDING STRAIGHT-IN ONLY WITH OPERATIONS OFFICER APPROVAL.
Yes
MON-FRI 1300-0500Z++
SAT-SUN 1500-2300Z++
OT BY NOTAM
U.S. NAVY
FORT WORTH NAS
FORT WORTH, TX 76127
U.S. NAVY
FORT WORTH NAS
FORT WORTH, TX 76127
FORT WORTH FSS (FTW)
Toll Free: 1-800-WX-BRIEF
NFW
--
AVBL ONLY DURING HRS OF OPERATION.
N/A
Yes
No
No
None
No
Major
Major
None
None
None

Runway 176/356

3996 ft. x 60 ft.
 
CONC 
NONE 
 
 
-- 
-- 
-- 
-- 
  Runway 176 Runway 356
True Heading Not ListedNot Listed
Traffic Pattern
Markings
Markings Condition
Latitude N/A N/A
Longitude N/A N/A
Elevation -- --
Threshold Crossing Height -- --
Visual Glide Path Angle -- --
Visual Slope Indicator -- --
Approach Lights
Centerline Lights
Runway End Identifier Lights

Runway 18/36

11999 ft. x 200 ft.
 
CONC 
NONE 
HIGH 
107/R/B/W/T 
-- 
-- 
-- 
-- 
  Runway 18 Runway 36
True Heading 181°
Traffic Pattern Right Left
Markings PIR PIR
Markings Condition GOOD GOOD
Latitude 32° 47' 08"N 32° 45' 10"N
Longitude 97° 26' 29"W 97° 26' 30"W
Elevation 622' 650'
Threshold Crossing Height 62 ft. AGL 58 ft. AGL
Visual Glide Path Angle
Visual Slope Indicator P4L P4L
Approach Lights ALSF1
Centerline Lights No No
Runway End Identifier Lights Yes
A110-1CSTMS/AG/IMG: US MIL CSTMS SKED 1400-2200Z++ MON-FRI 48 HR PN THRU NAS SECURITY DSN 739-5200, C817-782-5200.
A110-11JASU: 1(NCPP-105) 1(NC-8) 4(AM32A-86D) 7(AM32A-60A).
A110-12FUEL: OPR 1200-0430Z++. JA.
A110-13FLUID: SP PRESAIR LTD LOX.
A110-14OIL: O-133-148 LTD JOAP.
A110-15TRAN ALERT: NO PRIORITY BASIS. LTD TRAN SVC/MAINT AVBL, EMERG ONLY. HGR SPACE/FLEET SVC/DE-ICE UNAVBL.
A110-16RSTD: PPR ALL ACFT CTC AIR ODO C817-825-6411, DSN 739-5715.
A110-18MISC: FLT PLAN DISPATCH DSN 739-7531, C817-782-7531. DUTY DRIVER NOT AVBL.
A110-19MISC: LOCKHEED MARTIN OFFICIAL BUSINESS ONLY. FOR ACCESS, CTC LOCKHEED MARTIN FLT OPNS DSN 838-5677, C817-763-3624, SEE AP1 FOR ADDITIONAL INFORMATION.
A110-2CAUTION: MODERATE AND STRONG W WIND REDUCED AT TD PT RWY 18 BY LOCKHEED COMPLEX. BIRD HAZ.
A110-20AFRC - DSN 739-6888.
A110-23TRAN ALERT: TRANSIENT ACFT SHALL CTC TOWER ON GND FREQ PRIOR TO ENGINE START AND/OR TAXIING.
A110-25FLUID: LOX SVC NOT AVBL W/NON-REMOVABLE LOX CONVERTERS UFN.
A110-26TRAN ALERT: 48 HR PN FOR PPR ACFT REQUIRING DLY TRANSIENT/ATC SERVICE. RULES OF ATC SERVICES BRIEF REQUIRED FOR AIRCRAFT DETS OPERATING OUT OF NAS FT WORTH.
A110-27MISC: ON SITE WX FORECASTING AVBL, CTC 1-888-PILOT-WX (1-888-745-6899) FOR FORECASTING SVC.
A110-28RSTD: ADDL PPR ALL ACFT PARKING ANG RAMP, DSN 874-3256, C817-852-3256, NML OPR 1130-2215Z++ TUE-FRI; CLSD SAT, SUN, MON AND HOL. ALL TRAN ACFT CTC ANG OPS 226.9, 15 MIN PRIOR TO LDG.
A110-29CAUTION: TAXI ON CNTRLN, INCREASE INTERVAL. FOUR-ENG ACFT, SECURE OUTBD ENG.
A110-30MISC: POC FOR THE AFM AND CALP C817-782-6824.
A110-31MISC: E-28 A-GEAR MAINT SKED SECOND AND THIRD WED EV MONTH FM 1200-1800Z++. MAINT DAYS AND TIMES ADJUSTED FOR INCLEMENT WX.
A110-5MISC: RWY 18 FIRST 1000 FT CONCRETE, 6700 FT HI-FRICTION ASPHALT, 2800 FT GROOVED CONCRETE, REMAINING 1500 FT CONCRETE, TWY B EAST OF TWY F 50 FT.
A110-9BEARING STRENGTH RWY 18/36: ST175 SBTT593 TRT585.
A81-APTAVBL ONLY DURING HRS OF OPERATION.
E147TPA: 1050 FT AGL RECTANGULAR, 1550 FT AGL OVERHEAD, 550 FT AGL HELICOPTER.
E60-18_E28HOOK E28(B) (1251').
E60-36_E28HOOK E28(B) (1375').
FORT WORTH NAS JRB (CARSWELL FLD) (ICAO: KNFW, IATA: NFW) is a private airport located in FORT WORTH, TX, US.