iFlightPlanner

 

...
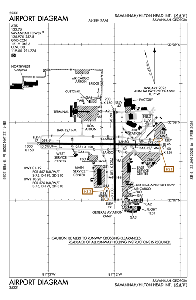
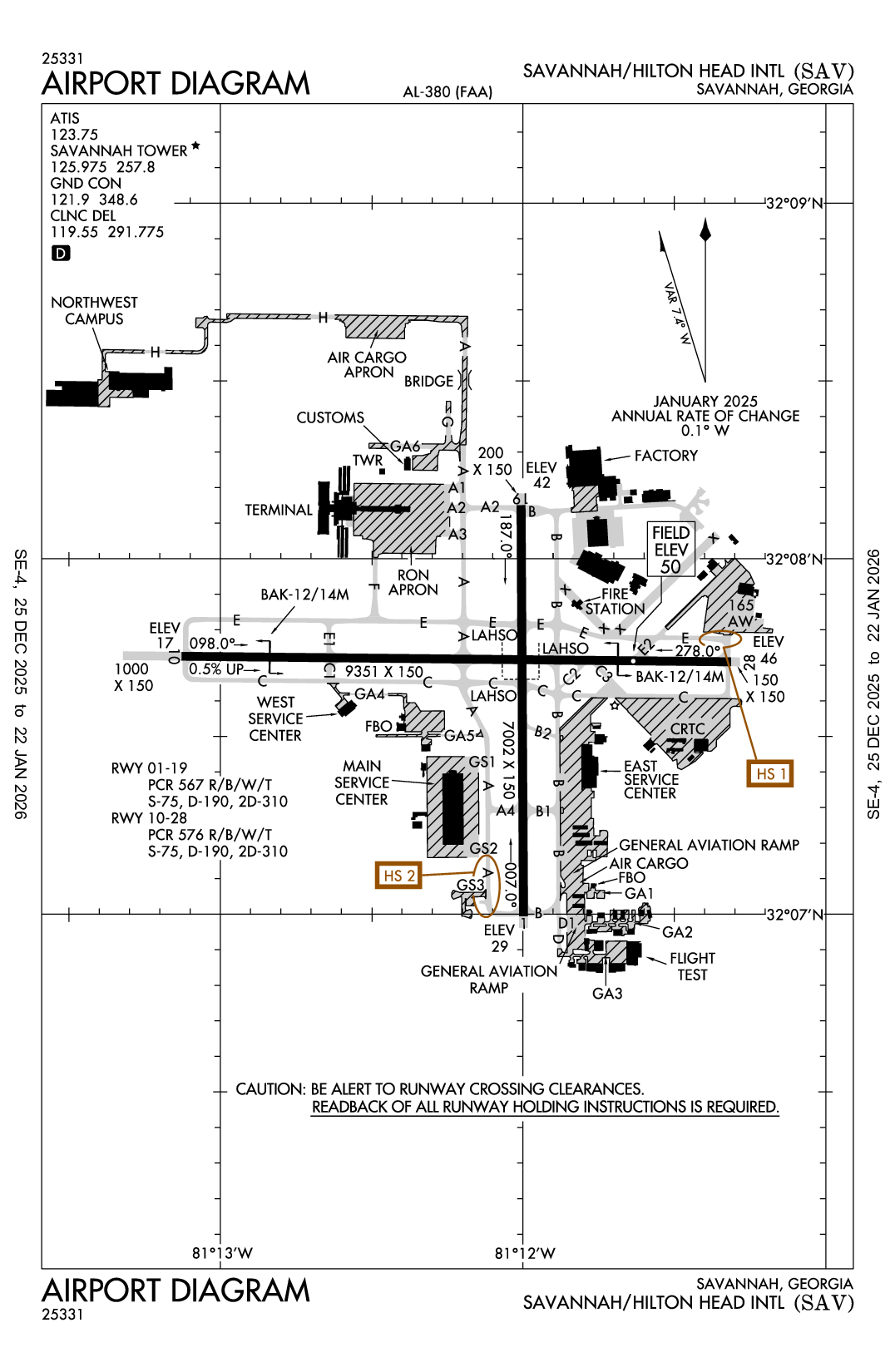
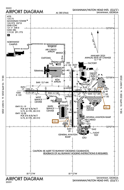
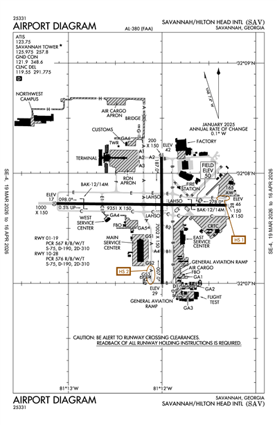
SAVANNAH/HILTON HEAD INTL - Airport Diagram
LiveATC.net: Live Air Traffic - From Their Headsets to You

KSAV
SAVANNAH/HILTON HEAD INTL
PublicPUB

7 miles NW of SAVANNAH, GA, US
LiveATC.net: Live Air Traffic - From Their Headsets to You
Operational
32° 07' 39"N 81° 12' 08"W
50' MSL
1050' MSL
07W
JET A, JET A (FSII), JET A+, CILI, 100LL
MACON (MCN)
ATLANTA
JACKSONVILLE (ZJX)
1/22/26-2/19/26
KSAV VFR
2:53 AM EST  
Few 4,500'
10sm
22°F
9°F
30.10"Hg
290° 14kts
Gusts 22kts
AO2 SLP194 T10561128
METAR KSAV 010753Z AUTO 29014G22KT 10SM FEW045 M06/M13 A3010 RMK AO2 SLP194 T10561128

KSAV FBOs

Sheltair
ASRI: 130.1
Phone: (912) 965-0095
No Rating Available
0 Reviews (Read | Sign In To Write)
Avfuel
As of 1/26
100LL JET A JET A (FSII) MOGAS UL94
Self Serve
Full Serve 7.37 6.01 6.08
Fuel Notes
Prices include tax
Signature Aviation
UNICOM: 130.375
Phone: (912) 964-1557
No Rating Available
0 Reviews (Read | Sign In To Write)
Other
As of 1/22
100LL JET A JET A (FSII) MOGAS UL94
Self Serve
Full Serve 7.60 5.94 6.45
Fuel Notes
Prices include tax

KSAV Aircraft Service & Maintenance

Gulfstream Aerospace Corp.
Phone: (912) 965-3000
Fax: (912) 279-3112
No Rating Available
0 Reviews (Read | Sign In To Write)
X

Send Message to Airport Company
Enter your information and message below.

Your Information
 
Processing 

Weather and Advisory

ATIS 123.75
ASOS (912) 226-2578

Common

CTAF 125.975
WHEN ATCT CLSD ACTVT MALSR RWY 10; REIL RWYS 19 & 28; HIRL RWYS 01/19 & 10/28 - CTAF. VASI RWY 19 AND PAPI RWYS 01, 10, & 28 OPER CONTINUOUSLY.
UNICOM 122.95

Clearance

Clearance Delivery 119.55

Ground

SAVANNAH GROUND 121.9
0600-0000

Tower

SAVANNAH TOWER 125.975
0600-0000

Approach

SAVANNAH APPROACH 118.4
270-010
SAVANNAH APPROACH 120.4
110-269
SAVANNAH APPROACH 125.3
Initial Contact - 011-109
SAVANNAH APPROACH 121.1
Secondary

Departure

SAVANNAH DEPARTURE 118.4
270-010
SAVANNAH DEPARTURE 120.4
110-269
SAVANNAH DEPARTURE 125.3
Initial Contact - 011-109
SAVANNAH DEPARTURE 121.1
Secondary

Center

SAVANNAH CENTER 132.925
LOW, APCH/DEP SVC PRVDD BY JACKSONVILLE ARTCC ON FREQS 132.925/363.2 (SAVANNAH RCAG) WHEN APCH CTL CLSD.

Flight Service

Flight Service 122.5
(MCN)

Emergency

Emergency 121.5

Other

CLASS C 118.4
270-010
CLASS C 120.4
110-269
CLASS C 125.3
011-109

Terminal Area Forecast

KSAV
Sun, 2/1 2:12 AM EST
Sun, 2/1 2:00 AM EST - Mon, 2/2 1:00 AM EST
MVFR
Temporary 2:00 AM EST - 4:00 AM EST
Broken 2,500'
N/A
Calm
VFR
2:00 AM EST - 6:00 AM EST
Scattered 4,000'
Scattered 2,000'
6sm
300° 15kts
Gusts 25kts
VFR
6:00 AM EST - 8:00 PM EST
Scattered 5,000'
6sm
310° 12kts
Gusts 20kts
VFR
8:00 PM EST - 1:00 AM EST
Sky Clear
6sm
270° 3kts
TAF KSAV 010712Z 0107/0206 30015G25KT P6SM SCT020 SCT040
   TEMPO 0107/0109 BKN025
   FM011100 31012G20KT P6SM SCT050
   FM020100 27003KT P6SM SKC
KSAV
EffectiveExpiresCategoryNOTAM
Domestic
2/4/26
1400Z
2/4/26
2000Z
!SAV 01/077 SAV COM REMOTE TRANS/REC 127.65 U/S 2602041400-2602042000
2/3/26
0500Z
2/3/26
1000Z
!SAV 01/076 SAV COM REMOTE COM OUTLET 122.5 U/S 2602030500-2602031000
2/1/26
0608Z
2/1/26
1300Z
!SAV 02/010 SAV TWY B BTN RWY 10/28 AND APCH END RWY 19 FICON PATCHY ICE DEICED SOLID 75FT WID REMAINDER PATCHY DRY SN AND PATCHY WET OBS AT 2602010545. 2602010608-2602011300
2/1/26
0541Z
2/1/26
1700Z
!SAV 02/009 SAV TWY B BTN APCH END RWY 01 AND RWY 10/28 FICON PATCHY ICE 75FT WID OBS AT 2602010515. 2602010541-2602011700
2/1/26
0537Z
2/1/26
1700Z
!SAV 02/008 SAV TWY C FICON PATCHY ICE 75FT WID OBS AT 2602010515. 2602010537-2602011700
2/1/26
0533Z
2/1/26
1700Z
!SAV 02/007 SAV TWY A BTN APCH END RWY 01 AND RWY 10/28 FICON PATCHY ICE 75FT WID OBS AT 2602010515. 2602010533-2602011700
2/1/26
0529Z
2/1/26
1700Z
Runway!SAV 02/006 SAV RWY 01 FICON 1/1/1 80 PCT ICE 150FT WID OBS AT 2602010515. 2602010529-2602011700
2/1/26
0219Z
2/1/26
1300Z
!SAV 02/005 SAV TWY A BTN RWY 10/28 AND TWY H FICON PATCHY WET DEICED SOLID 75FT WID REMAINDER PATCHY WET OBS AT 2602010215. 2602010219-2602011300
2/1/26
0157Z
2/1/26
1300Z
!SAV 02/004 SAV TWY E2 FICON PATCHY WET DEICED SOLID 130FT WID REMAINDER PATCHY WET OBS AT 2602010145. 2602010157-2602011300
2/1/26
0153Z
2/1/26
1300Z
!SAV 02/003 SAV TWY E1 FICON PATCHY WET DEICED SOLID 65FT WID REMAINDER PATCHY WET OBS AT 2602010145. 2602010153-2602011300
2/1/26
0125Z
2/1/26
1300Z
!SAV 02/002 SAV TWY E FICON PATCHY WET DEICED SOLID 75FT WID REMAINDER PATCHY WET OBS AT 2602010125. 2602010125-2602011300
2/1/26
0115Z
2/1/26
1300Z
Runway!SAV 02/001 SAV RWY 28 FICON 5/5/5 75 PCT WET DEICED SOLID 100FT WID REMAINDER WET OBS AT 2602010115. 2602010115-2602011300
1/31/26
0541Z
2/15/26
0441Z
!SAV 01/091 SAV OBST TOWER LGT (ASR 1047951) 322154.00N0811943.00W (15.5NM NNW SAV) 370.1FT (315.0FT AGL) U/S 2601310541-2602150441
1/30/26
2056Z
3/16/26
2056Z
!SAV 01/090 SAV OBST TOWER LGT (ASR 1052722) 320334.00N0810056.00W (10.2NM ESE SAV) 383.2FT (372.0FT AGL) U/S 2601302056-2603162056
1/16/26
1310Z
4/17/26
0500Z
!SAV 01/039 SAV OBST TOWER LGT (ASR 1023884) 321612.00N0810411.00W (11.0NM NE SAV) 333.0FT (315.0FT AGL) U/S 2601161310-2604170500
1/13/26
1157Z
4/13/26
0500Z
!SAV 01/024 SAV OBST TOWER LGT (ASR 1025117) 321441.20N0811227.00W (7.0NM N SAV) 285.1FT (265.1FT AGL) U/S 2601131157-2604130500
1/9/26
1625Z
4/9/26
0500Z
!SAV 01/019 SAV OBST TOWER LGT (ASR 1042833) 320910.90N0810308.90W (7.8NM ENE SAV) 254.9FT (248.0FT AGL) U/S 2601091625-2604090500
12/24/25
1323Z
3/25/26
0500Z
!SAV 12/063 SAV OBST TOWER LGT (ASR 1219878) 321312.20N0812201.00W (9.9NM NW SAV) 359.9FT (311.0FT AGL) U/S 2512241323-2603250500
12/20/25
1631Z
2/4/26
0500Z
!SAV 12/055 SAV OBST TOWER LGT (ASR 1039122) 322202.90N0811638.10W (14.8NM NNW SAV) 549.2FT (476.0FT AGL) U/S 2512201631-2602040500
12/19/25
1423Z
6/30/26
2300Z
!SAV 12/052 SAV NAV ILS RWY 01 LOC/GP U/S 2512191423-2606302300
12/16/25
1451Z
2/28/26
2300Z
!SAV 12/041 SAV TWY H BTN AIR CARGO APN AND TWY A WIP ADJ SOUTH EDGE LGTD AND BARRICADED 2512161451-2602282300
12/15/25
1800Z
3/15/26
0500Z
!SAV 12/040 SAV OBST TOWER LGT (ASR 1031374) 320407.00N0810535.00W (6.5NM ESE SAV) 411.1FT (367.1FT AGL) U/S 2512151800-2603150500
12/9/25
1430Z
3/3/27
1424Z
!SAV 12/023 SAV OBST CRANE LGT (ASN 2025-ASO-11908-NRA) 320823N0811243W (0.9NM NW SAV) 236FT (208FT AGL) U/S 2512091430-2703031424
11/28/25
1215Z
2/27/26
0500Z
!SAV 11/054 SAV OBST TOWER LGT (ASR 1217303) 321153.70N0811607.90W (5.4NM NW SAV) 274.9FT (257.9FT AGL) U/S 2511281215-2602270500
11/20/25
1750Z
2/18/26
0500Z
!SAV 11/043 SAV OBST TOWER LGT (ASR 1054797) 322213.00N0811916.90W (15.6NM NNW SAV) 335.0FT (266.1FT AGL) U/S 2511201750-2602180500
11/7/25
1316Z
2/6/26
0500Z
!SAV 11/018 SAV OBST TOWER LGT (ASR 1031483) 320438.10N0810924.80W (3.7NM SE SAV) 271.0FT (261.2FT AGL) U/S 2511071316-2602060500
11/6/25
0420Z
2/6/26
2359Z
!SAV 11/015 SAV OBST TOWER LGT (ASR 1032657) 320246.00N0812026.00W (8.7NM SW SAV) 1546.3FT (1532.2FT AGL) U/S 2511060420-2602062359
4/8/25
1200Z
9/30/26
2359Z
!SAV 04/007 SAV OBST CRANE LGT (ASN 2025-ASO-2678-NRA) 320833N0811216W (0.9NM N SAV) 117FT (90FT AGL) U/S 2504081200-2609302359
4/4/25
1234Z
9/30/26
2359Z
!SAV 04/010 SAV OBST CRANE LGT (ASN 2025-ASO-2681-NRA) 320830N0811214W (0.9NM N SAV) 117FT (90FT AGL) U/S 2504041234-2609302359
4/4/25
1233Z
9/30/26
2359Z
!SAV 04/009 SAV OBST CRANE LGT (ASN 2025-ASO-2680-NRA) 320830N0811216W (0.9NM N SAV) 117FT (90FT AGL) U/S 2504041233-2609302359
4/4/25
1232Z
9/30/26
2359Z
!SAV 04/008 SAV OBST CRANE LGT (ASN 2025-ASO-2679-NRA) 320833N0811214W (0.9NM N SAV) 117FT (90FT AGL) U/S 2504041232-2609302359
3/27/25
1218Z
4/15/26
2359Z
!SAV 03/054 SAV OBST CRANE LGT (ASN 2024-ASO-11846-NRA) 320839N0811222W (1.0NM N SAV) 204FT (185FT AGL) U/S 2503271218-2604152359
3/27/25
1217Z
4/15/26
2359Z
!SAV 03/053 SAV OBST CRANE (ASN 2024-ASO-11848-NRA) 320828N0811238W (0.9NM NNW SAV) 207FT (185FT AGL) FLAGGED 2503271217-2604152359
3/27/25
1216Z
4/15/26
2359Z
!SAV 03/052 SAV OBST CRANE (ASN 2024-ASO-11847-NRA) 320838N0811222W (1.0NM NNW SAV) 204FT (185FT AGL) FLAGGED 2503271216-2604152359
3/27/25
1216Z
4/15/26
2359Z
!SAV 03/051 SAV OBST CRANE (ASN 2024-ASO-11846-NRA) 320838N0811221W (1.0NM NNW SAV) 204FT (185FT AGL) FLAGGED 2503271216-2604152359
3/27/25
1215Z
4/15/26
2359Z
!SAV 03/050 SAV OBST CRANE (ASN 2024-ASO-11845-NRA) 320838N0811238W (1.1NM NNW SAV) 204FT (185FT AGL) FLAGGED 2503271215-2604152359
3/27/25
1214Z
4/15/26
2359Z
!SAV 03/049 SAV OBST CRANE LGT (ASN 2024-ASO-11845-NRA) 320839N0811238W (1.1NM NNW SAV) 204FT (185FT AGL) U/S 2503271214-2604152359
10/25/24
1422Z
12/1/26
0001Z
!SAV 10/066 SAV APRON TERMINAL RAMP WIP CONST E END NO TAXI/TOW BTN A1/A3 ON RAMP 2410251422-2612010001
9/10/24
1500Z
12/31/26
2200Z
!SAV 09/025 SAV TWY A2 BTN TERMINAL RAMP AND TWY A CLSD 2409101500-2612312200
FDC
12/8/25
1700Z
!FDC 5/5768 SAV IAP SAVANNAH/HILTON HEAD INTL, SAVANNAH, GA.
RNAV (GPS) RWY 19, AMDT 2B...
LNAV MDA 500/HAT 453 ALL CATS, VIS CAT C 1 3/8. CIRCLING CAT A/B MDA 540/HAA 490. VDP 1.3 NM TO RW19. TEMPORARY CRANE 236 MSL 3907FT NW OF RWY 19 (2025-ASO-11908-NRA).
2512081700-2701151859EST
12/8/25
1700Z
!FDC 5/5767 SAV IAP SAVANNAH/HILTON HEAD INTL, SAVANNAH, GA.
ILS OR LOC RWY 1, AMDT 8C...
ILS OR LOC RWY 10, AMDT 29...
RNAV (GPS) RWY 1, AMDT 2B...
RNAV (GPS) RWY 10, AMDT 2C...
VOR/DME OR TACAN RWY 1, ORIG-E...
VOR/DME OR TACAN RWY 19, ORIG-B...
VOR/DME-A, ORIG-B...
CIRCLING CAT A/B MDA 600/HAA 550. TEMPORARY CRANE 236 MSL 5330FT NW OF SAV AIRPORT (2025-ASO-11908-NRA).
2512081700-2701151859EST
12/8/25
1510Z
!FDC 5/5965 SAV ODP SAVANNAH/HILTON HEAD INTL, SAVANNAH, GA.
TAKEOFF MINIMUMS AND (OBSTACLE) DEPARTURE PROCEDURES AMDT 7...
TAKE-OFF MINIMUMS RWY 10:400- 2 3/4 OR STANDARD WITH MINIMUM CLIMB OF 219 FT/NM TO 600.
ALL OTHER DATA REMAINS AS PUBLISHED. 2512081510-2712081510EST
Military
1/27/26
2037Z
4/26/26
2359Z
ALL C-130 GUARD RAMP. TAXILANE E2 IS CLOSED. CONSTRUCTION PERSONNEL AND EQUIPMENT IN THE AREA. PARKING SPOTS B1-B5 ARE RESTRICTED TO TOW-ONLY PARKING
12/18/25
1955Z
3/18/26
0200Z
ALL C-130 GUARD RAMP: OBST TOWER LGT - (105FT AGL), 32.13222, -81.188157
Yes
1100-0300Z++
SAVANNAH AIRPORT COMMISSION
400 AIRWAYS AVE.
SAVANNAH, GA 31408
Phone: 912-964-0514
GREG B. KELLY, A.A.E.
400 AIRWAYS AVE.
SAVANNAH, GA 31408
Phone: 912-964-0514
MACON FSS (MCN)
Toll Free: 1-800-WX-BRIEF
SAV
--
WHEN ATCT CLSD ACTVT MALSR RWY 10; REIL RWYS 19 & 28; HIRL RWYS 01/19 & 10/28 - CTAF. VASI RWY 19 AND PAPI RWYS 01, 10, & 28 OPER CONTINUOUSLY.
N/A
Yes - Lighted
Yes
No
Hanger, Tie-Down
Landing Rights Airport
NOT an Airport of Entry
Major
Major
High & Low Pressure
High & Low Pressure
Air Freight
Cargo Handling
Charter Service
Pilot Instruction
Aircraft Rental
Aircraft Sales

Runway 01/19

7002 ft. x 150 ft.
CONC  
Good 
GRVD 
HIGH 
 
75,000lbs 
190,000lbs 
310,000lbs 
-- 
  Runway 01 Runway 19
True Heading 360°180°
Traffic Pattern Left Left
Markings PIR PIR
Markings Condition GOOD GOOD
Latitude 32° 06' 60"N 32° 08' 09"N
Longitude 81° 11' 60"W 81° 12' 00"W
Elevation 29' 42'
Threshold Crossing Height 74 ft. AGL 52 ft. AGL
Visual Glide Path Angle
Visual Slope Indicator P4L V4R
Approach Lights
Centerline Lights
Runway End Identifier Lights No Yes

Runway 10/28

9351 ft. x 150 ft.
CONC  
Good 
GRVD 
HIGH 
 
75,000lbs 
190,000lbs 
310,000lbs 
-- 
  Runway 10 Runway 28
True Heading 91°271°
Traffic Pattern Left Left
Markings PIR PIR
Markings Condition GOOD GOOD
Latitude 32° 07' 44"N 32° 07' 43"N
Longitude 81° 13' 08"W 81° 11' 19"W
Elevation 17' 46'
Threshold Crossing Height 69 ft. AGL 66 ft. AGL
Visual Glide Path Angle
Visual Slope Indicator P4L P4L
Approach Lights MALSR
Centerline Lights Yes Yes
Runway End Identifier Lights Yes
A110-1BIRDS & DEER ON & INVOF OF ARPT. AIR CARRIER ACFT CTC GND PRIOR TO PUSH BACK FROM ALL GATES. PILOTS SHOULD COMPLETE ALL CALCULATIONS PRIOR TO PUSH BACK FM TRML GATE. OPR TRANSPONDERS WITH ALT REPORTING MODE AND ADS-B (IF EQUIPPED) ENABLED ON ALL AIRPORT SURFACES.
A110-14TWY 'E2' CONNECTOR CLSD TO ACFT LANDING RY 28. DISTANCE FM TOUCHDOWN TOO SHORT FOR SAFE TURN.
A110-16ANG: COMBAT READINESS TRNG CNTR (CRTC)/AIR DOMINANCE CENTER (ADC) AFLD MGMT DSN 860-3145/3497, C912-963-3145/3497. DUTY HR 1230-2100Z++ MON-FRI. CTC ADC BASE OPS ON UHF 237.00 (CALL SIGN "ADC OPS").
A110-17165AW (C130 UNIT) AFLD MGMT DSN 860-8184/8433, C912-966-8184. DUTY HR 1230-2100Z++MON-THUR, 1230-1900Z++ FRI. ACFT INBD TO 165AW CTC COMD POST DSN 860-8244, C912-966-8244 OR UHF 225.75 WITHIN 50 NM WITH ETA AND REQ. ADC COMSEC STORAGE UNAVBL. 165AW COMSEC STORAGE UP TO SECRET AVBL VIA COMD POST DUR NORMAL DUTY HR ONLY.
A110-20TRAN ALERT: TRAN ACFT PROHIBITED WHEN TRAN ALERT UNAVBL. FLEET SVC UNAVBL.
A110-21ACFT/VEHICLES ON THE SOUTH END OF TWY A AND THE EAST END OF TWY E NOT VSB FROM THE ATCT.
A110-22BASH PHASE II 01 APR - 31 OCT. CTC TWR OR COMD POST FOR BIRD HAZ. WILDLIFE MOST ACTIVE +/- 1 HR OF SS OR SR.
A110-23ANG: MIL E2 TAXILANE.
A110-24FOR CD IF UNA TO CTC ON FSS FREQ, CTC SAVANNAH APCH AT 912-964-3205, WHEN APCH CLSD CTC JACKSONVILLE ARTCC AT 904-845-1592.
A110-25ARPT CLSD TO INTL GA ARR EXC 24HR PPR CTC US CUST 912-232-7507 OR 912-210-0348 AND SERVICING FIXED BASE OPR FOR PROCESSING AND INSTRUCTIONS.
A110-26MILITARY: A-GEAR BAK-12B CABLE RAISED BY BAK-14M DEVICE O/R TO TWR.
A110-27PILOTS CONDUCTING EFVS OPS; BE AWARE LED ALS IN USE RWY 10.
A110-3NO 180 DEG TURNS ON ASPH FOR ACFT OVER 12500 LBS GROSS.
A110-4PPR FOR ACES OF GEN AVN ACFT ON THE ACR TRML RAMP CTC 912-964-7501.
A110-5TWY A, TWY B TWY C, TWY D, TWY E, TWY F, TWY G AND TWY H ARE LTD TO DUAL WHEEL ACFT UP TO 173,000 LBS AND DUAL TANDEM WHEEL ACFT UP TO 310,000 LBS.
A110-8TWY B2, C2 ARE LIMITED TO 12500 LBS.
A110-9TWY E CLSD FM RY 28 TO BUT NOT INCLUDING TWY E2 TO ACFT WITH WING SPAN OF 175 FT OR GREATER.
A33-01/19_SURFRY 1/19 CENTER 75 FT KEEL SECTION OF RY CONCRETE FULL LENGTH; LAST 500 FT CONCRETE, FULL WIDTH, BOTH ENDS. ALL TWY INTERSECTIONS CONCRETE EXCEPT TWY B AT THE NORTH END OF THE RY AND TWY B2. REMAINDER OF RY 1/19 ASPHALT.
A33-10/28_SURFRY 10/28 CENTER 75 FT KEEL SECTION CONCRETE FULL LENGTH; ALL TWY INTERSECTIONS CONCRETE EXCEPT TWY C2 AND C3. REMAINDER OF RY 10/28 ASPHALT.
A39-01/19PCR VALUE: 567/R/B/W/T
A39-10/28PCR VALUE: 576/R/B/W/T
A47-01NO RVR WHEN ATCT CLSD.
A47-10NO RVR WHEN ATCT CLSD.
A47-19NO RVR WHEN ATCT CLSD.
A47-28NO RVR WHEN ATCT CLSD.
A49-10MALSR RWY 10 NSTD SPACING.
A70-AFUEL: A++100(MIL), (NC-100LL).
A70-A+AVBL 1100-0300Z++ C912-964-1557, OT 2 HR PN, C912-313-6310. SVC FEE.
A81-APTWHEN ATCT CLSD ACTVT MALSR RWY 10; REIL RWYS 19 & 28; HIRL RWYS 01/19 & 10/28 - CTAF. VASI RWY 19 AND PAPI RWYS 01, 10, & 28 OPER CONTINUOUSLY.
E147MILITARY JET-OVHDS 2000 FT.
E60-10_BAK-12BAK-12 BAK 14M(B) (1500FT).
E60-28_BAK-12BAK-12 BAK 14M(B) (1977 FT).
E80US CUST NR: 912-210-0348 OR 912-232-7507.
SAVANNAH/HILTON HEAD INTL (ICAO: KSAV, IATA: SAV) is a public airport located in SAVANNAH, GA, US.