iFlightPlanner

 

...
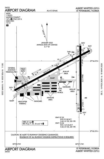
ALBERT WHITTED - Airport Diagram
LiveATC.net: Live Air Traffic - From Their Headsets to You

KSPG
ICAO KSPGIATA SPGLocal SPG
ALBERT WHITTED
PublicPUB

0 miles E of ST PETERSBURG, FL, US
LiveATC.net: Live Air Traffic - From Their Headsets to You
Status
Operational
Coordinates
27° 45' 54"N 82° 37' 37"W
Elevation
7' MSL
Pattern Alt
807' MSL
Mag Variation
6°W
Declination
5°W
Fuel
JET A, JET A-1, 100LL
FSS
SAINT PETERSBURG (PIE)
Sectional
MIAMI
ARTCC
MIAMI (ZMA)
Data Effective
2/19/26-3/19/26
KSPG VFR
1:21 PM EST  
Scattered 3,200'
Scattered 2,700'
10sm
70°F
55°F
30.00"Hg
330° 15kts
Gusts 28kts
AO2 PK WND 33029/1804 T02110128
SPECI KSPG 221821Z 33015G28KT 10SM SCT027 SCT032 21/13 A3000 RMK AO2 PK WND 33029/1804 T02110128

KSPG FBOs

Sheltair
ASRI: 128.925
Phone: (727) 824-2880
No Rating Available
0 Reviews (Read | Sign In To Write)
Avfuel
As of 2/20
100LL JET A JET A (FSII) MOGAS UL94
Self Serve 5.49
Full Serve 6.66 5.96 6.06
Fuel Notes
Prices include tax

KSPG Aircraft Service & Maintenance

St. Pete Air
Phone: (727) 755-1359
No Rating Available
0 Reviews (Read | Sign In To Write)
X

Send Message to Airport Company
Enter your information and message below.

Your Information
 
Processing 

Weather and Advisory

ASOS 118.875
(727) 821-4334

Common

CTAF 127.4
ACTVT MIRL RWY 18/36 & RWY 07/25 - CTAF, REIL RWYS 7, 25, & 36 ACTVT WHEN MIRL ACTVT, REIL RWY 18 ONLY ACTVT ON STEP 3 MIRL, PAPI RWYS 07, 25, 18 & 36 OPERATE CONTINUOUSLY.
UNICOM 122.95

Ground

WHITTED GROUND 121.8
0700-2100

Tower

WHITTED TOWER 127.4
0700-2100

Approach

TAMPA APPROACH 119.65
EAST
TAMPA APPROACH 125.3
WEST

Departure

TAMPA DEPARTURE 119.65
EAST
TAMPA DEPARTURE 125.3
WEST

Terminal Area Forecast

KPIE (9nm)
Sun, 2/22 12:22 PM EST
Sun, 2/22 1:00 PM EST - Mon, 2/23 1:00 PM EST
MVFR
1:00 PM EST - 3:00 PM EST
Broken 10,000'
Broken 2,500'
6sm
330° 20kts
Gusts 30kts
VFR
3:00 PM EST - 11:00 PM EST
Scattered 10,000'
Scattered 2,500'
6sm
320° 24kts
Gusts 32kts
VFR
11:00 PM EST - 1:00 PM EST
Sky Clear
6sm
340° 17kts
Gusts 27kts
TAF KPIE 221722Z 2218/2318 33020G30KT P6SM BKN025 BKN100
   FM222000 32024G32KT P6SM SCT025 SCT100
   FM230400 34017G27KT P6SM SKC
KSPG
EffectiveExpiresCategoryNOTAM
Domestic
2/21/26
1200Z
3/5/26
2000Z
!SPG 02/015 SPG TWY A4 CLSD 2602211200-2603052000
2/21/26
1200Z
3/5/26
2000Z
!SPG 02/014 SPG TWY A3 CLSD 2602211200-2603052000
2/21/26
1200Z
3/5/26
2000Z
!SPG 02/013 SPG APRON EAST TERMINAL RAMP CLSD 2602211200-2603052000
2/21/26
1200Z
3/5/26
2000Z
!SPG 02/012 SPG TWY D2 CLSD 2602211200-2603052000
2/21/26
1200Z
3/5/26
2000Z
!SPG 02/011 SPG TWY A2 CLSD 2602211200-2603052000
2/21/26
1200Z
3/5/26
2000Z
Runway!SPG 02/010 SPG RWY 07/25 CLSD 2602211200-2603052000
2/13/26
1410Z
4/30/26
1500Z
Runway!SPG 02/008 SPG RWY 36 RWY END ID LGT U/S 2602131410-2604301500
2/13/26
1410Z
4/30/26
1500Z
Runway!SPG 02/007 SPG RWY 18 RWY END ID LGT U/S 2602131410-2604301500
2/13/26
1409Z
4/30/26
1500Z
Runway!SPG 02/006 SPG RWY 07 RWY END ID LGT U/S 2602131409-2604301500
2/13/26
1408Z
4/30/26
1500Z
Runway!SPG 02/005 SPG RWY 25 RWY END ID LGT U/S 2602131408-2604301500
2/13/26
1347Z
4/30/26
1500Z
Runway!SPG 02/004 SPG RWY 36 PAPI U/S 2602131347-2604301500
2/13/26
1346Z
4/30/26
1500Z
Runway!SPG 02/003 SPG RWY 18 PAPI U/S 2602131346-2604301500
2/13/26
1346Z
4/30/26
1500Z
Runway!SPG 02/002 SPG RWY 25 PAPI U/S 2602131346-2604301500
2/13/26
1345Z
4/30/26
1500Z
Runway!SPG 02/001 SPG RWY 07 PAPI U/S 2602131345-2604301500
1/23/26
1823Z
3/31/26
1900Z
!SPG 01/008 SPG OBST GRAND STANDS (ASN UNKNOWN) 274555N0823748W (.1NM N APCH END RWY 7) 57FT (50FT AGL) NOT LGTD 2601231823-2603311900
1/22/26
1230Z
3/20/26
1500Z
!SPG 01/007 SPG TWY D3 CLSD 2601221230-2603201500
1/22/26
1230Z
3/20/26
1500Z
!SPG 01/006 SPG TWY D BTN EAST TERMINAL RAMP AND TWY B CLSD 2601221230-2603201500
FDC
1/30/26
1100Z
!FDC 6/8448 SPG IAP ALBERT WHITTED, ST PETERSBURG, FL.
RNAV (GPS) RWY 36, AMDT 2...
LNAV CATS A/B MDA 660/HAT 654. CIRCLING CATS A/B MDA 660/HAA 653. TEMPORARY CRANE 645 MSL 3567FT NW OF SPG AIRPORT (2025-ASO-20714-OE).
2601301100-2607150901EST
1/30/26
1100Z
!FDC 6/8447 SPG IAP ALBERT WHITTED, ST PETERSBURG, FL.
RNAV (GPS) RWY 7, AMDT 4...
LNAV CATS A/B/C MDA 900/HAT 893, VIS CAT A 1 1/4. CIRCLING CATS A/B/C MDA 900/HAA 893, VIS CAT A 1 1/4, CAT C 2 3/4. TEMPORARY CRANE 645 MSL 3567FT NW OF SPG AIRPORT (2025-ASO-20714-OE).
2601301100-2607150901EST
1/30/26
1100Z
!FDC 6/8446 SPG ODP ALBERT WHITTED, ST PETERSBURG, FL.
TAKEOFF MINIMUMS AND (OBSTACLE) DEPARTURE PROCEDURES AMDT 4...
DEPARTURE PROCEDURE: RWY 25, CLIMB ON HEADING 247 TO 800 BEFORE TURNING RIGHT. TEMPORARY CRANE 645 MSL 3567FT NW OF SPG AIRPORT (2025-ASO-20714-OE). ALL OTHER DATA REMAINS AS PUBLISHED. 2601301100-2607150901EST
Yes
0600-2100
CITY OF ST PETERSBURG
107 8TH AVENUE, S.E.
ST PETERSBURG, FL 33701
Phone: 727-892-5715
RICH LESNIAK
ALBERT WHITTED AIRPORT 107 8TH AVENUE SOUTHEAST
ST PETERSBURG, FL 33701
Phone: 727-893-7657
SAINT PETERSBURG FSS (PIE)
Toll Free: 1-800-WX-BRIEF
SPG
--
ACTVT MIRL RWY 18/36 & RWY 07/25 - CTAF, REIL RWYS 7, 25, & 36 ACTVT WHEN MIRL ACTVT, REIL RWY 18 ONLY ACTVT ON STEP 3 MIRL, PAPI RWYS 07, 25, 18 & 36 OPERATE CONTINUOUSLY.
N/A
Yes - Lighted
Yes
No
Hanger, Tie-Down
NOT a Landing Rights Airport
NOT an Airport of Entry
Major
Major
Low Pressure
None
Air Ambulance
Avionics
Charter Service
Pilot Instruction
Aircraft Rental
Aircraft Sales
Annual Surveying

Runway 07/25

3676 ft. x 75 ft.
ASPH  
Good 
NONE 
MED 
9/F/B/X/T 
60,000lbs 
105,000lbs 
190,000lbs 
-- 
  Runway 07 Runway 25
True Heading 62°242°
Traffic Pattern Right Left
Markings NPI BSC
Markings Condition FAIR FAIR
Latitude 27° 45' 47"N 27° 46' 04"N
Longitude 82° 38' 01"W 82° 37' 25"W
Elevation 5' 6'
Threshold Crossing Height 40 ft. AGL 40 ft. AGL
Visual Glide Path Angle 3.31° 3.9°
Visual Slope Indicator P2L P2L
Approach Lights
Centerline Lights
Runway End Identifier Lights Yes Yes

Runway 18/36

2864 ft. x 75 ft.
ASPH  
Excellent 
NONE 
MED 
14/F/A/X/T 
60,000lbs 
105,000lbs 
190,000lbs 
-- 
  Runway 18 Runway 36
True Heading 180°360°
Traffic Pattern Right
Markings NPI NPI
Markings Condition GOOD GOOD
Latitude 27° 46' 07"N 27° 45' 38"N
Longitude 82° 37' 29"W 82° 37' 29"W
Elevation 5' 5'
Threshold Crossing Height 48 ft. AGL 45 ft. AGL
Visual Glide Path Angle
Visual Slope Indicator P2R P2L
Approach Lights
Centerline Lights
Runway End Identifier Lights Yes Yes
A110-10+/- 100 FT LIT/UNLIT BOAT MASTS IN RWY 18, 25 & 36 APCH AREA.
A110-11EMERG HELI WITH ROTG BCN 1/2 MI W OF ARPT.
A110-12WHEN ATCT CLSD; FOR CD CTC TAMPA APCH - 813-878-2528.
A110-3BANNER TOWING E OF RWY 18/36.
A110-7BIRDS ON & INVOF ARPT; GULLS ON RWY DURG INCLEMENT WX.
A110-8OCEAN VESSELS IN SHIP CHANNELS.
A110-9ALERT - HEAVY JET ACFT INVOF ARPT 1600 FT & ABV.
A30A-25TGL NA.
A30A-36SHIP CHANNEL & OCEAN VESSELS IN APCH AREA.
A57-07CONTROLLING OBSTN EXCEEDS A 45 DEG SLP. BLAST FENCE 6 FT BFR AER. RWY 07 APCH RATIOS 20:1 FM DTHR.
A57-18RWY 18 APRCH SLP 29:1 TO DTHR.
A57-25RWY 25 APCH RATIO 25:1 FM DTHR.
A58-0719 FT BLAST FENCE AT RWY END, 15 FT STREET 5 FT FM RWY END, 24 FT BLDG 100 FT FM RWY END.
A81-APTACTVT MIRL RWY 18/36 & RWY 07/25 - CTAF, REIL RWYS 7, 25, & 36 ACTVT WHEN MIRL ACTVT, REIL RWY 18 ONLY ACTVT ON STEP 3 MIRL, PAPI RWYS 07, 25, 18 & 36 OPERATE CONTINUOUSLY.
ALBERT WHITTED (ICAO: KSPG, IATA: SPG) is a public airport located in ST PETERSBURG, FL, US.