iFlightPlanner

 

...
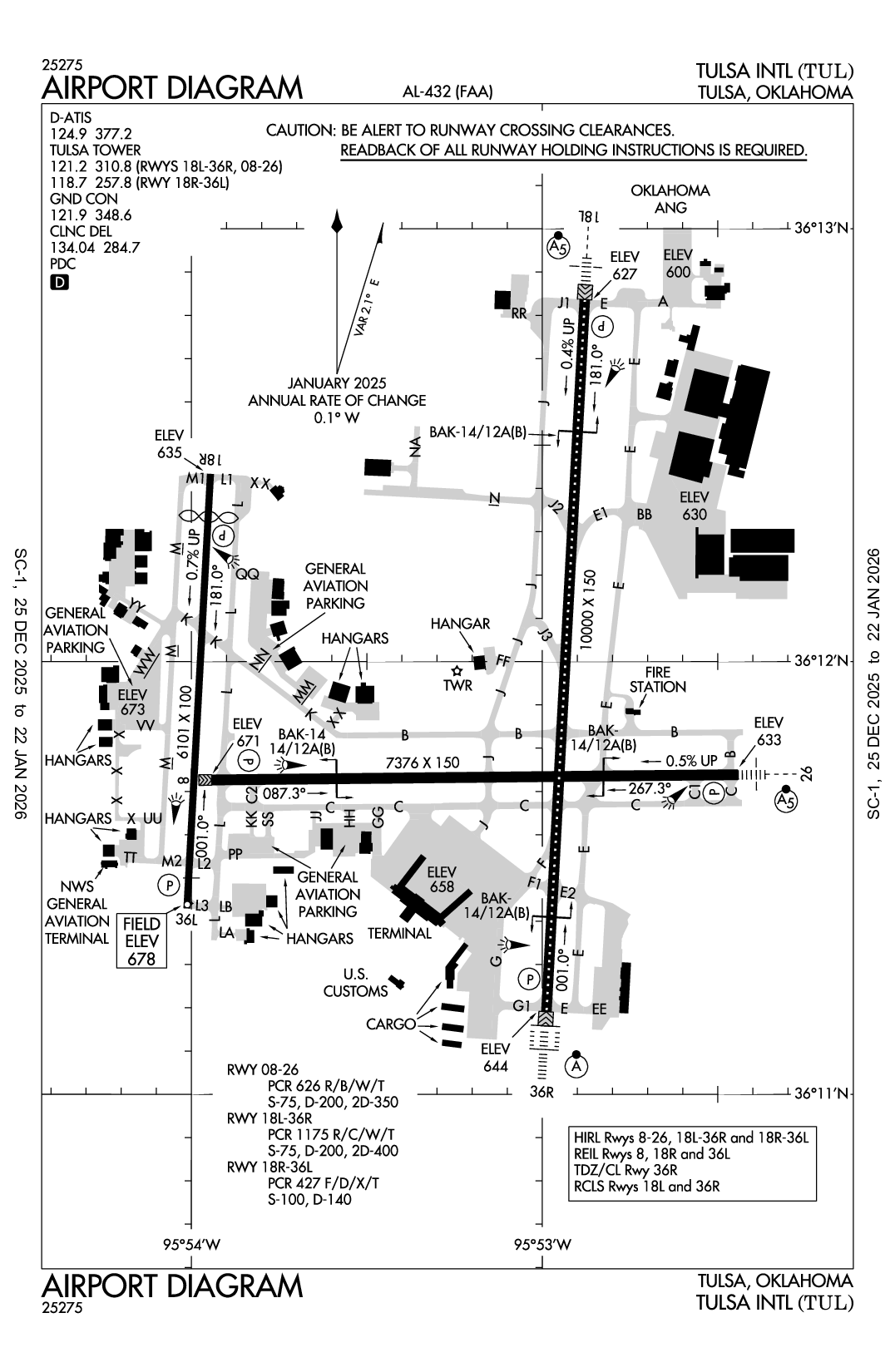
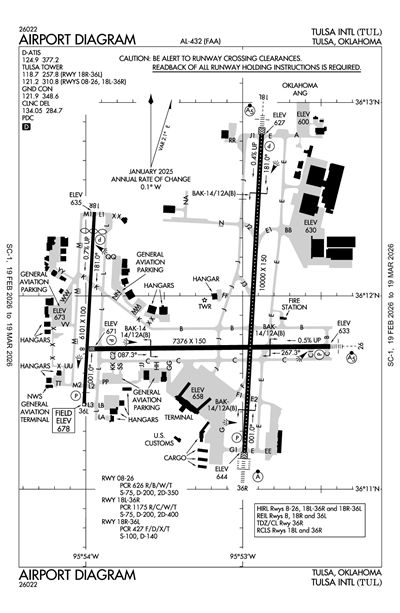
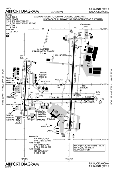
TULSA INTL - Airport Diagram
LiveATC.net: Live Air Traffic - From Their Headsets to You

KTUL
ICAO KTULIATA TULLocal TUL
TULSA INTL
PublicPUB

5 miles NE of TULSA, OK, US
LiveATC.net: Live Air Traffic - From Their Headsets to You
Status
Operational
Coordinates
36° 11' 54"N 95° 53' 17"W
Elevation
678' MSL
Pattern Alt
1678' MSL
Mag Variation
2°E
Declination
3°E
Fuel
JET A, 100LL
FSS
MC ALESTER (MLC)
Sectional
KANSAS CITY
ARTCC
KANSAS CITY (ZKC)
Data Effective
4/16/26-5/14/26
KTUL VFR
3:53 AM CDT  
Light Thunderstorm and Rain
Overcast 8,000'
Scattered 5,500'
Few 400'
7sm
60°F
59°F
29.64"Hg
120° 12kts
AO2 PRESFR SLP031 FRQ LTGICCC SE-SW TS SE-SW MOV E P0002 60190 T01560150 56021
METAR KTUL 240853Z 12012KT 7SM -TSRA FEW004 SCT055CB OVC080 16/15 A2964 RMK AO2 PRESFR SLP031 FRQ LTGICCC SE-SW TS SE-SW MOV E P0002 60190 T01560150 56021

KTUL FBOs

United States Aviation
UNICOM: 122.95
Phone: (918) 836-7345
Other: (251) 233-3786
No Rating Available
0 Reviews (Read | Sign In To Write)
Other
As of 4/20
100LL JET A JET A (FSII) MOGAS UL94
Self Serve
Full Serve 5.71 5.86
Fuel Notes
Prices include tax
Sparks Aviation Center
UNICOM: 122.95
Phone: (918) 835-2048
No Rating Available
0 Reviews (Read | Sign In To Write)
Independent
As of 4/13
100LL JET A JET A (FSII) MOGAS UL94
Self Serve
Full Serve 6.75 5.75
Fuel Notes
Prices include tax
Atlantic Aviation
UNICOM: 130.1
Phone: (918) 836-6592
No Rating Available
0 Reviews (Read | Sign In To Write)
Independent
As of 4/22
100LL JET A JET A (FSII) MOGAS UL94
Self Serve
Full Serve 7.59 8.34
Fuel Notes
Prices include tax

KTUL Aircraft Service & Maintenance

Omni Aircraft Maintenance
Phone: (539) 593-6880
No Rating Available
0 Reviews (Read | Sign In To Write)
Autopilots Central Inc.
Phone: (918) 836-6418
Fax: (918) 832-0136
No Rating Available
0 Reviews (Read | Sign In To Write)
Iliff Aircraft ATA 38
Phone: (918) 835-5554
No Rating Available
0 Reviews (Read | Sign In To Write)
Intercontinental Jet Service Corp.
Phone: (918) 834-8888
Fax: (918) 834-1751
No Rating Available
0 Reviews (Read | Sign In To Write)
Tulsa Avionics Services Inc.
Phone: (918) 838-8711
Fax: (918) 835-2282
No Rating Available
0 Reviews (Read | Sign In To Write)
Liberty Partners Inc.
Phone: (918) 756-6474
Fax: (866) 786-0501
No Rating Available
0 Reviews (Read | Sign In To Write)

KTUL Flight Schools & Aircraft Rental

Spartan College of Aeronautics
Phone: (918) 831-5328
Fax: (918) 831-5272
Other: (800) 331-1204
No Rating Available
0 Reviews (Read | Sign In To Write)
X

Send Message to Airport Company
Enter your information and message below.

Your Information
 
Processing 

Weather and Advisory

Digital ATIS 124.9
(918) 831-6718
ASOS (539) 399-0187

Common

UNICOM 122.95

Clearance

TULSA CLEARANCE DELIVERY 134.05

Ground

TULSA GROUND 121.9

Tower

Tower Final Control 119.85
When assigned On approach - 355-174
Tower Final Control 132.1
When assigned On approach - 175-354
TULSA TOWER 118.7
RWY 18R/36L
TULSA TOWER 121.2
RWY 08/26, 18L/36R

Arrival

VINTA STAR 119.1

Approach

TULSA APPROACH 119.1
355-174
TULSA APPROACH 124.0
Initial Contact - 175-354

Departure

TULSA DEPARTURE 119.1
355-174
TULSA DEPARTURE 124.0
Initial Contact - 175-354
TULSA DP 124.0

Flight Service

Flight Service 122.2
(MLC)

Emergency

Emergency 121.5

Military

NG OPS 46.9

Other

CLASS C 119.1
355-174
CLASS C 124.0
175-354

Terminal Area Forecast

KTUL
Fri, 4/24 12:40 AM CDT
Fri, 4/24 1:00 AM CDT - Sat, 4/25 1:00 AM CDT
IFR
Temporary 1:00 AM CDT - 3:00 AM CDT
Thunderstorm and Rain
Broken 2,500'
2sm
VRB° 25kts
Gusts 40kts
VFR
1:00 AM CDT - 5:00 AM CDT
Light Showers and Rain and Thunderstorm in vicinity
Broken 10,000'
Broken 3,500'
6sm
190° 14kts
Gusts 24kts
MVFR
Temporary 5:00 AM CDT - 9:00 AM CDT
Broken 2,500'
Broken 1,500'
N/A
Calm
VFR
5:00 AM CDT - 10:00 AM CDT
Broken 15,000'
Broken 4,000'
Scattered 2,500'
6sm
020° 6kts
VFR
10:00 AM CDT - 2:00 PM CDT
Scattered 18,000'
Scattered 3,500'
Scattered 2,500'
6sm
020° 10kts
VFR
2:00 PM CDT - 8:00 PM CDT
Scattered 18,000'
Scattered 4,000'
6sm
030° 11kts
VFR
8:00 PM CDT - 1:00 AM CDT
Few 25,000'
6sm
040° 7kts
TAF KTUL 240540Z 2406/2506 19014G24KT 6SM -SHRA VCTS BKN035CB BKN100
   TEMPO 2406/2408 VRB25G40KT 2SM TSRA BKN025CB
   FM241000 02006KT P6SM SCT025 BKN040 BKN150
   TEMPO 2410/2414 BKN015 BKN025
   FM241500 02010KT P6SM SCT025 SCT035 SCT180
   FM241900 03011KT P6SM SCT040 SCT180
   FM250100 04007KT P6SM FEW250
KTUL
EffectiveExpiresCategoryNOTAM
Domestic
4/27/26
1100Z
5/15/26
2200Z
!TUL 04/060 TUL SVC TAR/SSR U/S 2604271100-2605152200
4/26/26
1800Z
4/26/26
2200Z
!TUL 04/061 TUL AIRSPACE UNMANNED ROCKET WI AN AREA DEFINED AS 1NM RADIUS OF TUL171015.75 SFC-10000FT 2604261800-2604262200
4/25/26
2100Z
4/26/26
0200Z
!TUL 04/064 TUL TWY L RUNUP PAD AND COMPASS ROSE CLSD 2604252100-2604260200
4/25/26
2100Z
4/26/26
0200Z
!TUL 04/063 TUL TWY L BTN TWY QQ AND TWY L1 CLSD 2604252100-2604260200
4/25/26
2100Z
4/26/26
0200Z
Runway!TUL 04/062 TUL RWY 18R/36L CLSD 2604252100-2604260200
4/24/26
1134Z
4/24/26
1700Z
!TUL 04/065 TUL NAV ILS RWY 36R GP U/S 2604241134-2604241700
4/24/26
0557Z
4/25/26
0557Z
Runway!TUL 04/067 TUL RWY 36L FICON 5/5/5 100 PCT WET OBS AT 2604240557. 2604240557-2604250557
4/24/26
0556Z
4/25/26
0556Z
Runway!TUL 04/066 TUL RWY 36R FICON 5/5/5 100 PCT WET OBS AT 2604240556. 2604240556-2604250556
4/15/26
0004Z
5/30/26
0003Z
!TUL 04/052 TUL OBST TOWER LGT (ASR 1011429) 361410.80N0955718.50W (4.0NM NW TUL) 864.8FT (220.8FT AGL) U/S 2604150004-2605300003
4/14/26
1118Z
5/6/26
1700Z
!TUL 04/051 TUL TWY K BTN TWY B AND TWY NN CLSD 2604141118-2605061700
4/14/26
1107Z
5/6/26
1700Z
!TUL 04/050 TUL TWY L BTN TWY K AND TWY PP CLSD 2604141107-2605061700
4/13/26
1507Z
5/6/26
1700Z
!TUL 04/045 TUL TWY KK CLSD 2604131507-2605061700
4/13/26
1502Z
5/6/26
1700Z
!TUL 04/043 TUL TWY C2 CLSD 2604131502-2605061700
4/13/26
1502Z
5/6/26
1700Z
!TUL 04/042 TUL TWY C1 CLSD 2604131502-2605061700
4/13/26
1500Z
5/6/26
1700Z
!TUL 04/040 TUL TWY C BTN TWY L AND TWY SS CLSD 2604131500-2605061700
4/13/26
1446Z
5/6/26
1700Z
Runway!TUL 04/039 TUL RWY 08/26 CLSD 2604131446-2605061700
3/8/26
2310Z
5/22/26
1200Z
!TUL 03/028 TUL OBST TOWER LGT (ASR 1011061) 361214.00N0955701.00W (3.0NM W TUL) 918.0FT (263.1FT AGL) U/S 2603082310-2605221200
3/3/26
2348Z
5/29/26
2000Z
!TUL 03/006 TUL NAV VORTAC NOT MNT 2603032348-2605292000
3/2/26
1300Z
4/30/26
2000Z
!TUL 02/076 TUL TWY MM CLSD 2603021300-2604302000
3/2/26
1300Z
4/30/26
2000Z
!TUL 02/074 TUL TWY B BTN TWY J AND TWY K CLSD 2603021300-2604302000
2/20/26
0343Z
!TUL 02/067 TUL NAV VORTAC NOT MNT 2602200343-2605202000EST
2/17/26
1704Z
12/31/26
2359Z
!TUL 02/056 TUL AIRSPACE UAS WI AN AREA DEFINED AS 1.5NM RADIUS OF 361702N0952154W (3.8NM NNW H71) SFC-225FT AGL 2602171704-2612312359
FDC
4/20/26
1315Z
!FDC 6/4338 TUL IAP U.S. DOD TULSA INTL, TULSA, OK.
HI - VOR Z OR TACAN Z RWY 26, AMDT 3B...
VOR Y OR TACAN Y RWY 26, AMDT 24F...
VOR/DME RWY 8, AMDT 4B...
PROCEDURE NA.
2604201315-2804201314EST
2/6/26
1516Z
!FDC 6/1064 TUL IAP TULSA INTL, TULSA, OK.
VOR/DME RWY 8, AMDT 4B...
PROCEDURE NA.
2602061516-2802051516EST
12/19/25
1200Z
!FDC 5/1593 TUL IAP TULSA INTL, TULSA, OK.
RADAR-1, AMDT 19...
CIRCLING CAT A/B MDA 1360/HAA 682.
TEMPORARY CRANES, 1005 MSL, BEGINNING 1706FT NW OF KTUL AIRPORT (2024-ASW-8599 THRU 8602-NRA), TEMPORARY CRANE, 1005 MSL, 1637FT NW OF KTUL AIRPORT (2024-ASW-8598-NRA), TEMPORARY CRANE, 946 MSL, 1582FT NW OF KTUL AIRPORT (2024-ASW-8513-NRA).
2512191200-2611150519EST
12/19/25
1200Z
!FDC 5/1592 TUL IAP U.S. DOD TULSA INTL, TULSA, OK.
HI - VOR Z OR TACAN Z RWY 26, AMDT 3B...
S-26 CAT C/D/E MDA 1200/HAT 548 ALL CATS. VIS CATS C/D/E 1 1/8.
VDP NA.
DISREGARD HUKDO FIX.
WHEN ALS INOP, INCREASE S-26 CATS C/D/E VISIBILITY TO 1 5/8 SM.
TEMPORARY CRANES, 1005 MSL, 5221FT WEST OF RWY 26 (2024-ASW-8599 THRU 8602-NRA), TEMPORARY CRANE, 1005 MSL, 5686FT NW OF RWY 26 (2024-ASW-8598-NRA).
2512191200-2611150519EST
12/19/25
1200Z
!FDC 5/1591 TUL IAP TULSA INTL, TULSA, OK.
RNAV (GPS) RWY 36L, AMDT 2...
LPV DA 1000/HAT 322 ALL CATS. VIS 1 ALL CATS.
CIRCLING CAT A/B MDA 1360/HAA 682.
TEMPORARY CRANES, 1005 MSL, BEGINNING 4317FT NE OF RWY 36L (2024-ASW-8599 THRU 8602-NRA), TEMPORARY CRANE, 1005 MSL, 4809FT NE OF RWY 36L (2024-ASW-8598-NRA).
2512191200-2611150519EST
12/19/25
1200Z
!FDC 5/1588 TUL IAP TULSA INTL, TULSA, OK.
VOR Y OR TACAN Y RWY 26, AMDT 24F...
CIRCLING CAT A/B MDA 1360/HAA 682.
HUKDO FIX MINIMUMS NA.
TEMPORARY CRANES, 1005 MSL, BEGINNING 5221FT WEST OF RWY 26 (2024-ASW-8599 THRU 8602-NRA), TEMPORARY CRANE, 1005 MSL, 5686FT NW OF RWY 26 (2024-ASW-8598-NRA).
2512191200-2611150519EST
12/19/25
1200Z
!FDC 5/1587 TUL IAP TULSA INTL, TULSA, OK.
VOR/DME RWY 8, AMDT 4B...
S-8 MDA 1260/HAT 589 ALL CATS. VIS CAT C/D/E 1 3/4.
CIRCLING CAT A/B MDA 1360/HAA 682.
VDP NA.
TEMPORARY CRANES, 1005 MSL, BEGINNING 2641FT NE OF RWY 8 (2024-ASW-8599 THRU 8602-NRA), TEMPORARY CRANE, 1005 MSL, 3155FT NE OF RWY 8 (2024-ASW-8598-NRA).
2512191200-2611150519EST
12/19/25
1200Z
!FDC 5/1585 TUL IAP TULSA INTL, TULSA, OK.
RNAV (GPS) RWY 26, AMDT 3D...
LPV DA 984/HAT 332 ALL CATS.
CIRCLING CAT A/B MDA 1360/HAA 682.
TEMPORARY CRANES, 1005 MSL, BEGINNING 5221FT WEST OF RWY 26 (2024-ASW-8599 THRU 8602-NRA), TEMPORARY CRANE, 1005 MSL, 5686FT NW OF RWY 26 (2024-ASW-8598-NRA), TEMPORARY CRANE, 946 MSL, 5682FT WEST OF RWY 26 (2024-ASW-8513-NRA).
2512191200-2611150519EST
12/19/25
1200Z
!FDC 5/1584 TUL IAP TULSA INTL, TULSA, OK.
ILS RWY 36R (SA CAT I), AMDT 29H ...
ILS RWY 36R (CAT II) AMDT 29H ...
PROCEDURE NA.
TEMPORARY CRANES, 1005 MSL, BEGINNING 5625FT NW OF RWY 36R (2024-ASW-8599 THRU 8602-NRA) 2512191200-2611150519EST
12/19/25
1200Z
!FDC 5/1583 TUL IAP TULSA INTL, TULSA, OK.
ILS OR LOC RWY 18L, AMDT 16A...
S-ILS 18L DA 962/HAT 321 ALL CATS.
CIRCLING CAT A/B MDA 1360/HAA 682.
PALIY FIX MINIMUMS NA.
TEMPORARY CRANES, 1005 MSL, 4885FT SW OF RWY 18L (2024-ASW-8599 THRU 8602-NRA).
2512191200-2611150519EST
12/19/25
1200Z
!FDC 5/1582 TUL IAP TULSA INTL, TULSA, OK.
ILS OR LOC RWY 18R, AMDT 9...
S-ILS 18R DA 1039/HAT 370 ALL CATS. VIS 1 ALL CATS.
CIRCLING CAT A/B MDA 1360/HAA 682.
TEMPORARY CRANES, 1005 MSL, 2102FT SE OF RWY 18R (2024-ASW-8599 THRU 8602-NRA).
2512191200-2611150519EST
12/19/25
1200Z
!FDC 5/1579 TUL IAP TULSA INTL, TULSA, OK.
RNAV (GPS) RWY 36R, AMDT 1C...
LPV DA 975/HAT 325 ALL CATS. VIS RVR 2600 ALL CATS.
CIRCLING CAT A/B MDA 1360/HAA 682.
FOR INOP ALSF-2, INCREASE LPV ALL CATS VISIBILITY TO RVR 5000, REST OF NOTE UNCHANGED.
TEMPORARY CRANES, 1005 MSL, BEGINNING 5625FT NW OF RWY 36R (2024-ASW-8599 THRU 8602-NRA), TEMPORARY CRANE, 1005 MSL, 1637FT NW OF KTUL AIRPORT (2024-ASW-8598-NRA), TEMPORARY CRANE, 946 MSL, 1582FT NW OF KTUL AIRPORT (2024-ASW-8513-NRA).
2512191200-2611150519EST
12/19/25
1200Z
!FDC 5/1578 TUL IAP TULSA INTL, TULSA, OK.
RNAV (GPS) RWY 18R, AMDT 2A...
LPV DA 1040/HAT 371 ALL CATS. VIS 1 ALL CATS.
LNAV/VNAV DA 1216/HAT 548 ALL CATS. VIS 1 5/8 ALL CATS.
LNAV MDA 1320/HAT 652 ALL CATS. VIS CATS C/D/E 1 7/8.
CIRCLING CAT A/B MDA 1360/HAA 682.
MISSED APPROACH : CLIMB TO 3500 DIRECT SUSNE AND HOLD. CONTINUE CLIMB-IN-HOLD TO 3500.
VDP 2.16 NM TO RW18R.
TEMPORARY CRANES, 1005 MSL, BEGINNING 2102FT SE OF RWY 18R (2024-ASW-8599 THRU 8602-NRA), TEMPORARY CRANE, 1005 MSL, 2595FT SE OF RWY 18R (2024-ASW-8598-NRA), TEMPORARY CRANE, 946 MSL, 2982FT SE OF RWY 18R (2024-ASW-8513-NRA).
2512191200-2611150519EST
12/19/25
1200Z
!FDC 5/1577 TUL IAP TULSA INTL, TULSA, OK.
RNAV (GPS) RWY 18L, AMDT 2...
LPV DA 979/HAT 338 ALL CATS. VIS RVR 2600 ALL CATS.
LNAV/VNAV DA 1087/HAT 446 ALL CATS. VIS RVR 4500 ALL CATS.
LNAV MDA 1160/HAT 519 ALL CATS. VIS CATS C/D/E RVR 5500.
CIRCLING CAT A/B MDA 1360/HAA 682.
VDP 1.63 NM TO RW18L.
MISSED APPROACH: CLIMB TO 3500 DIRECT ICECE AND HOLD, CONTINUE CLIMB-IN-HOLD TO 3500.
FOR INOP ALS, INCREASE LPV ALL CATS VISIBILITY TO RVR 5000, LNAV/VNAV ALL CATS VISIBILITY AND LNAV CATS C/D/E VISIBILITY TO 1 3/8 SM.
TEMPORARY CRANES, 1005 MSL, BEGINNING 4885FT SW OF RWY 18L (2024-ASW-8599 THRU 8602-NRA), TEMPORARY CRANE, 1005 MSL, 5390FT SW OF RWY 18L (2024-ASW-8598-NRA).
2512191200-2611150519EST
12/19/25
1200Z
!FDC 5/1572 TUL IAP TULSA INTL, TULSA, OK.
RNAV (GPS) RWY 8, AMDT 3...
LPV DA 1043/HAT 372 ALL CATS. VIS 1 ALL CATS.
LNAV/VNAV DA 1216/HAT 545 ALL CATS. VIS 1 5/8 ALL CATS.
LNAV MDA 1320/HAT 649 ALL CATS. VIS CATS C/D/E 1 7/8.
CIRCLING CAT A/B MDA 1360/HAA 682.
VDP NA.
TEMPORARY CRANES, 1005 MSL, BEGINNING 2641FT NE OF RWY 8 (2024-ASW-8599 THRU 8602-NRA), TEMPORARY CRANE, 1005 MSL, 3155FT NE OF RWY 8 (2024-ASW-8598-NRA).
2512191200-2611150519EST
12/19/25
1200Z
!FDC 5/1571 TUL IAP TULSA INTL, TULSA, OK.
ILS OR LOC RWY 36R, AMDT 29H...
S-ILS 36R DA 974/HAT 324 ALL CATS. VIS RVR 2600 ALL CATS.
CIRCLING CAT A/B MDA 1360/HAA 682.
YEPUT FIX MINIMUMS (DME REQUIRED):
S-LOC 36R MDA 1180/HAT 530 ALL CATS. VIS CATS C/D/E RVR 5500.
CIRCLING CAT A/B MDA 1360/HAA 682.
VDP NA.
MISSED APPROACH: CLIMB TO 2000 THEN CLIMBING RIGHT TURN TO 2500 DIRCT TUL VORTAC AND HOLD, CONTINUE CLIMB-IN-HOLD TO 2500. REST OF MISSED APPROACH UNCHANGED.
FOR INOP ALS, INCREASE S-ILS 36R ALL CATS VISIBILITY TO RVR 5000. FOR INOP ALS, INCREASE S-LOC 36R CAT E VISIBILITY TO 1 7/8 SM. YEPUT FIX MINIMUMS: FOR INOP ALS INCREASE S-LOC 36R CATS C/D/E VISIBILITY TO 1 1/2 SM.
TEMPORARY CRANES, 1005 MSL, BEGINNING 5625FT NW OF RWY 36R (2024-ASW-8599 THRU 8602-NRA), TEMPORARY CRANE, 1005 MSL, 1.01 NM NW OF RWY 36R (2024-ASW-8598-NRA).
2512191200-2611150519EST
Military
3/30/26
2107Z
4/30/26
2359Z
OKLAHOMA AIR NTL GUARD RAMP TOWER OBST LGT OUT ON CENTRAL RADIO TOWER, BLDG OBST LGT OUT ON MAIN HANGER
Yes
ALL
CITY OF TULSA
TULSA ARPT AUTH. BOX 581838
TULSA, OK 74158
Phone: 918-838-5000
ALEXIS HIGGINS
PO BOX 581838
TULSA, OK 74158
Phone: 918-838-5000
MC ALESTER FSS (MLC)
Toll Free: 1-800-WX-BRIEF
TUL
Sunset to Sunrise
--
N/A
Yes - Lighted
No
No
Hanger, Tie-Down
Landing Rights Airport
NOT an Airport of Entry
Major
Major
High & Low Pressure
High & Low Pressure
Air Freight
Air Ambulance
Avionics
Cargo Handling
Charter Service
Pilot Instruction
Aircraft Rental
Aircraft Sales

Runway 08/26

7376 ft. x 150 ft.
CONC  
Fair 
GRVD 
HIGH 
 
75,000lbs 
200,000lbs 
350,000lbs 
-- 
  Runway 08 Runway 26
True Heading 89°269°
Traffic Pattern Left Left
Markings NPI NPI
Markings Condition GOOD GOOD
Latitude 36° 11' 44"N 36° 11' 44"N
Longitude 95° 53' 57"W 95° 52' 27"W
Elevation 671' 633'
Threshold Crossing Height 52 ft. AGL 57 ft. AGL
Visual Glide Path Angle
Visual Slope Indicator P4L P4L
Approach Lights MALSR
Centerline Lights
Runway End Identifier Lights Yes No

Runway 18L/36R

10000 ft. x 150 ft.
CONC  
Excellent 
GRVD 
HIGH 
 
75,000lbs 
200,000lbs 
400,000lbs 
-- 
  Runway 18L Runway 36R
True Heading 183°
Traffic Pattern Left Right
Markings PIR PIR
Markings Condition GOOD GOOD
Latitude 36° 12' 50"N 36° 11' 11"N
Longitude 95° 52' 53"W 95° 52' 59"W
Elevation 627' 644'
Threshold Crossing Height 56 ft. AGL 52 ft. AGL
Visual Glide Path Angle 2.75°
Visual Slope Indicator P4L P4L
Approach Lights MALSR ALSF2
Centerline Lights Yes Yes
Runway End Identifier Lights

Runway 18R/36L

6101 ft. x 100 ft.
ASPH  
Good 
GRVD 
HIGH 
 
100,000lbs 
140,000lbs 
-- 
-- 
  Runway 18R Runway 36L
True Heading 183°
Traffic Pattern Right Left
Markings PIR NPI
Markings Condition GOOD GOOD
Latitude 36° 12' 26"N 36° 11' 26"N
Longitude 95° 53' 57"W 95° 54' 01"W
Elevation 635' 677'
Threshold Crossing Height 42 ft. AGL 45 ft. AGL
Visual Glide Path Angle 2.75°
Visual Slope Indicator P4L P4L
Approach Lights
Centerline Lights
Runway End Identifier Lights Yes Yes
A110-3CTN: 4000 FT BLACKTOP TRACK 1.5 NM E RWY 26; DO NOT MISTAKE FOR RWY.
A110-41TXLS LA, LB, NN & QQ NOT VSB FM ATCT.
A110-43BIRDS ON & INVOF ARPT.
A110-44APVD ACFT RUN UP AREA: 2300-0600 N END TWY J ACFT ORIENTATION N & S. 24 HR APCH END RWY 26 ACFT ORIENTATION E & W. 0600-2300 N END TWY L ACFT ORIENTATION N & S.
A110-45TWY L SOUTH OF TWY L3 NOT VSB TO ATCT.
A110-46TXL LB NOT VSB TO ATCT.
A110-5WT RSTRD AREAS: TWY JJ S-35; TWY M2 S-81/D-140/DT-186; TWY HH S-55/D-60; TWY L NORTH OF RWY 08/26 S-93/D-140/DT 209; TWY L BTN TWY C & TWY L2 S-120/D-250/DT 372; TWY L2 S-70/D-100/DT-166.
A110-7NOISE ABATEMENT ALL RWYS: CLIMB TO 3000 FT ASAP AFT TKOF.
A30A-18RIREG WIND PAT.
A39-08/26PCR VALUE: 626/R/B/W/T
A39-18L/36RPCR VALUE: 1175/R/C/W/T
A39-18R/36LPCR VALUE: 427/F/D/X/T
A43-08PAPI UNUSBL BYD 8 DEGS LEFT & RIGHT OF RWY CNTRLN.
A43-26PAPI UNUSBL BYD 7 DEGS RIGHT & 9 DEGS LEFT OF CNTRLN.
E60-08_BAK-14BAK-14 BAK-12A(B) (1500 FT).
E60-18L_BAK-14BAK-14 BAK-12A(B) (1500 FT).
E60-26_BAK-14BAK-14 BAK-12A(B) (1500 FT).
E60-36R_BAK-14BAK-14 BAK-12A(B) (1500 FT).
TULSA INTL (ICAO: KTUL, IATA: TUL) is a public airport located in TULSA, OK, US.