iFlightPlanner
»
Sign In
X
Home
Features
Join
Resources
A/FD - Airport/Facility Directory
Aviation Charts & Wx on Google Maps
Flight Instructor Directory
METAR & TAF Translator
Coded Departure Route Lookup
Preferred Route Lookup
Data Services
Aviation Chart Map Tile Service
Business & Fuel Price Data
Blog
Contact Us
KVDF
ICAO
KVDF
IATA
VDF
Local
VDF
TAMPA EXEC
Public
PUB
6 miles E of TAMPA, FL, US
View on
Map
Status
Operational
Coordinates
28° 00' 50"N
82° 20' 43"W
Elevation
21' MSL
Pattern Alt
1021' MSL
Mag Variation
6°W
Declination
4°W
Fuel
JET A, 100LL
FSS
SAINT PETERSBURG (PIE)
Sectional
JACKSONVILLE
ARTCC
JACKSONVILLE (ZJX)
Data Effective
2/19/26-3/19/26
KVDF
VFR
11:55 AM EDT
RAW
Scattered 10,000'
Few 2,300'
Viz
10sm
Temp
80°F
Dew
65°F
Pres
30.03"Hg
Wind
180° 5kts
RMK
AO2 T02660183
METAR KVDF 151555Z AUTO 18005KT 10SM FEW023 SCT100 27/18 A3003 RMK AO2 T02660183
Services
Frequencies & Documents
Freqs & Docs
TAF
NOTAM
Operations
Runways
Remarks
Add Your Business
KVDF FBOs
Promote Listing
Skyport Aviation
UNICOM: 122.7
Phone: (813) 626-1515
0 Reviews
(
Read
|
Sign In To Write
)
AEG, World Fuel
As of
3/12
100LL
JET
A
JET
A (FSII)
MOGAS
UL94
Self Serve
Full Serve
7.63
8.56
8.66
Fuel Notes
Prices include tax
X
Send Message to Airport Company
Enter your information and message below.
Your Information
Business
x
Weather and Advisory
AWOS-3
121.125
(813) 630-0924
Common
CTAF
122.7
ACTVT MALSR RWY 23; REIL RWY 05, 18, 36; PAPI RWY 05, 23, 18, 36; MIRL RWY 05/23, 18/36 - CTAF.
UNICOM
122.7
Arrival
DADES STAR
135.5
MAATY STAR
118.8
Approach
TAMPA APPROACH
119.9
Departure
TAMPA DEPARTURE
119.9
FAA A/FD Pages
FAA A/FD Page
Airport Diagrams
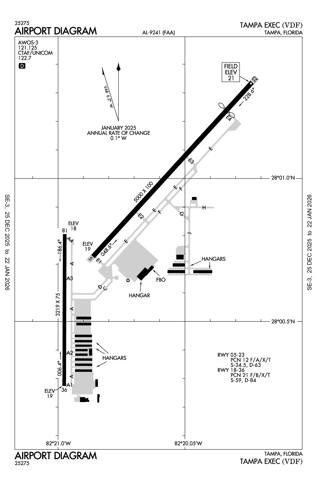
AIRPORT DIAGRAM
Airport Minimums
ALTERNATE MINIMUMS
TAKEOFF MINIMUMS
Arrival Procedures
DADES TWO (RNAV)
MAATY FIVE (RNAV)
RAYZZ THREE (RNAV)
Instrument Approach
ILS OR LOC RWY 23
RNAV (GPS) RWY 05
RNAV (GPS) RWY 18
RNAV (GPS) RWY 23
Terminal Area Forecast
KTPA (11nm)
RAW
Reported
Sun, 3/15 10:59 AM EDT
Valid
Sun, 3/15 11:00 AM EDT - Mon, 3/16 2:00 PM EDT
VFR
11:00 AM EDT - 3:00 PM EDT
Scattered 25,000'
Scattered 4,000'
Viz
6sm
Wind
190° 10kts
VFR
3:00 PM EDT - 10:00 PM EDT
Showers in vicinity
Broken 25,000'
Broken 4,000'
Viz
6sm
Wind
220° 12kts
Gusts 20kts
MVFR
4:00 PM EDT - 8:00 PM EDT
Light Thunderstorm and Rain
Broken 12,000'
Broken 2,500'
Viz
3sm
Wind
VRB° 15kts
Gusts 25kts
VFR
10:00 PM EDT - 8:00 AM EDT
Broken 25,000'
Scattered 12,000'
Scattered 2,500'
Viz
6sm
Wind
170° 10kts
VFR
8:00 AM EDT - 2:00 PM EDT
Thunderstorm in vicinity
Broken 12,000'
Scattered 3,000'
Viz
6sm
Wind
220° 12kts
TAF KTPA 151459Z 1515/1618 19010KT P6SM SCT040 SCT250
FM151900 22012G20KT P6SM VCSH BKN040 BKN250
PROB30 1520/1524 VRB15G25KT 3SM -TSRA BKN025CB BKN120
FM160200 17010KT P6SM SCT025 SCT120 BKN250
FM161200 22012KT P6SM VCTS SCT030CB BKN120
KVDF
Effective
Expires
Category
NOTAM
Domestic
2/21/26
0715Z
6/1/26
2359Z
!VDF 02/012 VDF OBST TOWER LGT (ASR 1228625) 280308.10N0822449.30W (4.2NM WNW VDF) 381.9FT (317.9FT AGL) U/S 2602210715-2606012359
2/9/26
1528Z
!VDF 02/006 VDF SVC AUTOMATED WX BCST SYSTEM 121.125 U/S 2602091528-2604302000EST
1/3/26
0038Z
6/30/26
2359Z
!VDF 01/001 VDF OBST TOWER LGT (ASR 1312953) 275621.70N0821634.00W (5.78NM SE VDF) 267FT (201FT AGL) U/S 2601030038-2606302359
12/31/25
2228Z
3/31/26
2359Z
!VDF 12/017 VDF OBST TOWER LGT (ASR 1030542) 280135.00N0821657.00W (3.5NM ENE VDF) 356.0FT (306.1FT AGL) U/S 2512312228-2603312359
12/31/25
2227Z
3/31/26
2359Z
!VDF 12/016 VDF OBST TOWER LGT (ASR 1030541) 280132.00N0821658.00W (3.4NM ENE VDF) 356.0FT (306.1FT AGL) U/S 2512312227-2603312359
12/31/25
2227Z
3/31/26
2359Z
!VDF 12/015 VDF OBST TOWER LGT (ASR 1030540) 280129.00N0821660.00W (3.4NM E VDF) 356.0FT (306.1FT AGL) U/S 2512312227-2603312359
12/31/25
2227Z
3/31/26
2359Z
!VDF 12/014 VDF OBST TOWER LGT (ASR 1030539) 280126.00N0821701.00W (3.4NM E VDF) 356.0FT (306.1FT AGL) U/S 2512312227-2603312359
12/19/25
0933Z
!VDF 12/011 VDF NAV LOC RWY 23 NOT MNT 2512190933-2606262000EST
9/23/25
1608Z
4/1/26
2359Z
!VDF 09/024 VDF SVC AUTOMATED WX BCST SYSTEM U/S 2509231608-2604012359
ATC Tower
No
Attendance
MON-FRI 0700-2200
SAT-SUN 0700-1900
Owner
HILLSBOROUGH COUNTY AVIATION AUTH
PO BOX 22287
TAMPA, FL 33622
Phone: 813-870-8711
Manager
BRETT W FAY, C.M.
PO BOX 22287
TAMPA, FL 33622
Phone: 813-870-8735
FSS
SAINT PETERSBURG FSS (PIE)
Toll Free: 1-800-WX-BRIEF
NOTAM
VDF
Light Schedule
--
Lights
ACTVT MALSR RWY 23; REIL RWY 05, 18, 36; PAPI RWY 05, 23, 18, 36; MIRL RWY 05/23, 18/36 - CTAF.
Beacon
N/A
Wind Indicator
Yes - Lighted
Segmented Cir.
Yes
Landing Fee
No
Parking
Hanger, Tie-Down
Int'l Operations
NOT a Landing Rights Airport
NOT an Airport of Entry
Airframe Repair
Major
Pwrplant Repair
Major
Bottled Oxygen
None
Bulk Oxygen
None
Other Services
Avionics
Charter Service
Pilot Instruction
Aircraft Rental
Aircraft Sales
Runway 05/23
Dimensions
5000 ft. x 100 ft.
Surface Type
ASPH
Surface Cond
Excellent
Treatment
NONE
Rwy Edge Lgts
MED
Pavement Class
12/F/A/X/T
Single Wheel
34,000lbs
Double Wheel
63,000lbs
Double Tandem
--
Dual Dbl Tand
--
Runway 05
Runway 23
True Heading
42°
222°
Traffic Pattern
Markings
NPI
PIR
Markings Condition
GOOD
GOOD
Latitude
28° 00' 44"N
28° 01' 20"N
Longitude
82° 20' 52"W
82° 20' 14"W
Elevation
19'
21'
Threshold Crossing Height
45 ft. AGL
40 ft. AGL
Visual Glide Path Angle
3.02°
3.1°
Visual Slope Indicator
P2L
P2L
Approach Lights
MALSR
Centerline Lights
Runway End Identifier Lights
Yes
No
Runway 18/36
Dimensions
3219 ft. x 75 ft.
Surface Type
ASPH
Surface Cond
Excellent
Treatment
NONE
Rwy Edge Lgts
MED
Pavement Class
21/F/B/X/T
Single Wheel
59,000lbs
Double Wheel
84,000lbs
Double Tandem
--
Dual Dbl Tand
--
Runway 18
Runway 36
True Heading
180°
0°
Traffic Pattern
Left
Left
Markings
NPI
NPI
Markings Condition
GOOD
GOOD
Latitude
28° 00' 48"N
28° 00' 16"N
Longitude
82° 20' 58"W
82° 20' 59"W
Elevation
18'
18'
Threshold Crossing Height
41 ft. AGL
43 ft. AGL
Visual Glide Path Angle
3.8°
3.4°
Visual Slope Indicator
P4R
P2L
Approach Lights
Centerline Lights
Runway End Identifier Lights
Yes
Yes
A110-10
GA TPC DEPARTING TPF SHOULD BE ADVISED THAT THERE IS MIL CLASS D ASP 0.6 MILES OFF THE DEP END OF RWY 22. GA TPC MUST EXER EXTREME CTN FOR MIL TPC IN THE PAT FOR RWY 5-23 AT MACDILL AFB.
A110-11
24 HR PPR FOR ACFT EQUIPPED WITH WEATHER MODIFICATION OR GEOENGINEERING EQPT 813-870-8770 EXT. 3.
A110-3
AFTER HRS FUEL AND SVCS AVBL. JET SINGLE POINT FUELING AND LAV SVS AVBL. CTC FBO ON CALL ATTENDANT AT 813-695-6097.
A110-4
CTC GENERAL AVIATION DEPT AT 813-870-8770.
A110-5
NOISE ABATEMENT PROCEDURES IN EFFECT FOR RY 18. NO TURNS UNTIL OVER INTERSTATE. NO TURNS BLO 400 FT AGL.
A110-6
WHEN DEPG RWY 05 BE ALERT FOR MALSR LGT FIXTURE LCTD 55 FT BYD RWY END & 9 FT ABV RWY END ELEV.
A110-7
FOR CD CTC TAMPA APCH ON 119.9.
A110-8
TREES 510 FT NW OF RWY 5/23 FULL LEN LCTD INSIDE TRSN SFC.
A110-9
BE ADZD OF SEAPLANE FLT ACTIVITY 3NM SE OF ARPT.
A14
AIRPORT PHYSICAL ADDRESS: 6530 TAMPA EXECUTIVE AIRPORT RD, TAMPA, FL 33610
A57-18
RWY 18 APRCH SLOPE 20:1 TO AER.
A57-23
RWY 23 APCH SLOPE 50:1 TO DTHR.
A81-APT
ACTVT MALSR RWY 23; REIL RWY 05, 18, 36; PAPI RWY 05, 23, 18, 36; MIRL RWY 05/23, 18/36 - CTAF.
E111
VFR OPNS ONLY
TAMPA EXEC (ICAO: KVDF, IATA: VDF) is a public airport located in TAMPA, FL, US.
© iFlightPlanner | Web, iPad, & iPhone Flight Planning
|
Site Map
|
Privacy Policy